Benvenuto Ospite

Forum Entomologi Italiani

www.entomologiitaliani.net/forum
 
Oggi è 21/11/2025, 14:17

Tutti gli orari sono UTC + 1 ora [ ora legale ]

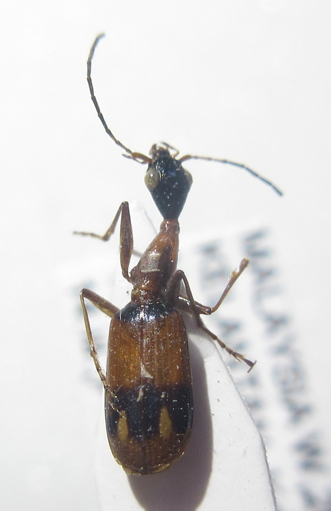
Ophionea (Ophionea) interstitialis (Schmidt-Goebel, 1846) (cf.) - Carabidae Lebiinae Odacanthini

5.V.2016 - MALESIA - EE, W. Kelantan, 90 km N of Gua Musang, Gunun Bassor, 1700 mt. Kampong Kubur Dalu.


nuovo argomento
rispondi
Pagina 1 di 1 [ 5 messaggi ]
Autore Messaggio
MessaggioInviato: 12/10/2019, 18:51 
 

Iscritto il: 27/04/2017, 18:29
Messaggi: 1141
Località: Cava de' Tirreni (SA)/ Roma
Nome: Mattia Francesco D'Amato
Buonasera a tutti, continuiamo con gli acquisti di Modena. Questo penso sia un carabide, ma non ne sono sicuro. Di chi si tratta?
Lunghezza 6 mm, Petr Cechovsky legit.
Grazie in anticipo,
Mattia :hi: :hi:


IMG_7682.JPG


_________________
MATTIA

Non andartene docile in quella buona notte,
i vecchi dovrebbero bruciare e delirare al serrarsi del giorno
infuria, infuria! Contro il morire della luce!
Dylan Thomas, Non andartene docile in quella buona notte (Maggio 1951)
Top
profilo
 Oggetto del messaggio: Re: Carabidae sp.?
MessaggioInviato: 12/10/2019, 20:13 
 

Iscritto il: 25/01/2012, 21:39
Messaggi: 496
Località: athens, greece
Nome: Kakiopoulos George
Hello Mattia !!!
Carabidae, Odacanthini, genus Ophionea, with about 20 species.
:hi: :hi:
George


Top
profilo
 Oggetto del messaggio: Re: Carabidae sp.?
MessaggioInviato: 12/10/2019, 21:08 
 

Iscritto il: 27/04/2017, 18:29
Messaggi: 1141
Località: Cava de' Tirreni (SA)/ Roma
Nome: Mattia Francesco D'Amato
Hello George, thank you for the identification, I see that some of the species are similar to my specimen, is there a way to know which one my exemplar belongs?
Mattia :hi: :hi:

_________________
MATTIA

Non andartene docile in quella buona notte,
i vecchi dovrebbero bruciare e delirare al serrarsi del giorno
infuria, infuria! Contro il morire della luce!
Dylan Thomas, Non andartene docile in quella buona notte (Maggio 1951)


Top
profilo
 Oggetto del messaggio: Re: Carabidae sp.?
MessaggioInviato: 12/10/2019, 22:23 
 

Iscritto il: 25/01/2012, 21:39
Messaggi: 496
Località: athens, greece
Nome: Kakiopoulos George
The work of M. Baehr with the revision of Casnoidea (=Ophionea) isn't free, I have only the abstract of it:
https://www.publish.csiro.au/IS/IT9961041

There are 2 free articles for Ophionea (of Sulawezi and of Taiwan), but without all the species of the world...
https://www.zobodat.at/pdf/Spixiana_026_0057-0063.pdf
http://web2.nmns.edu.tw/PubLib/Library/ ... 412-15.pdf


Top
profilo
 Oggetto del messaggio: Re: Carabidae sp.?
MessaggioInviato: 13/10/2019, 9:13 
Avatar utente

Iscritto il: 08/05/2010, 22:25
Messaggi: 1463
Località: Milano
Nome: Riccardo Sciaky
Con tutta probabilità si tratta di Ophionea (Ophionea) interstitialis (Schmidt-Goebel, 1846)

Saluti ;)

_________________
Riccardo


Top
profilo
Visualizza ultimi messaggi:  Ordina per  
nuovo argomento
rispondi
Pagina 1 di 1 [ 5 messaggi ]

Tutti gli orari sono UTC + 1 ora [ ora legale ]


Chi c’è in linea

Visitano il forum: Calathus e 11 ospiti


Non puoi aprire nuovi argomenti
Non puoi rispondere negli argomenti
Non puoi modificare i tuoi messaggi
Non puoi cancellare i tuoi messaggi
Non puoi inviare allegati

Cerca per:
Vai a: