Benvenuto Ospite

Forum Entomologi Italiani

www.entomologiitaliani.net/forum
 
Oggi è 27/03/2026, 21:23

Tutti gli orari sono UTC + 1 ora [ ora legale ]

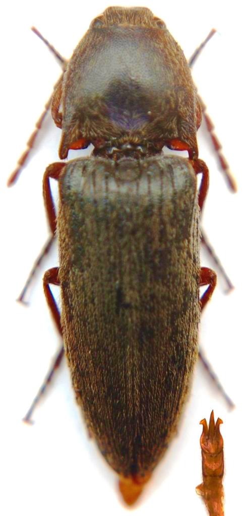
Melanotus fusciceps (Gyllenhal, 1817) - Elateridae

19.VI.2019 - GRECIA - EE, Rodi - Epta Piges 70m


nuovo argomento
rispondi
Pagina 1 di 1 [ 3 messaggi ]
Autore Messaggio
MessaggioInviato: 07/11/2019, 10:40 
Avatar utente

Iscritto il: 09/11/2009, 14:12
Messaggi: 5197
Località: Hradec Kralove,Czech republik
Nome: Jan Matějíček
Per favore aiuto con determinazione di questo species.


DSC_0005.JPG

DSC_0004 - Kopie.JPG


_________________
Research Fields
Taxonomy, ecology, biomonitoring , faunistic of Staphylinidae
Top
profilo
 Oggetto del messaggio: Re: Elateridae
MessaggioInviato: 07/11/2019, 14:00 
Avatar utente

Iscritto il: 24/09/2009, 20:40
Messaggi: 1956
Nome: Giuseppe Platia
:hp: :hp: Melanotus fusciceps (Gyllenhal)

:hi: :hi:


Top
profilo
MessaggioInviato: 08/11/2019, 14:17 
Avatar utente

Iscritto il: 09/11/2009, 14:12
Messaggi: 5197
Località: Hradec Kralove,Czech republik
Nome: Jan Matějíček
Grazie mille Giuseppe per l'aiuto con determinazione. :lov1:

_________________
Research Fields
Taxonomy, ecology, biomonitoring , faunistic of Staphylinidae


Top
profilo
Visualizza ultimi messaggi:  Ordina per  
nuovo argomento
rispondi
Pagina 1 di 1 [ 3 messaggi ]

Tutti gli orari sono UTC + 1 ora [ ora legale ]


Chi c’è in linea

Visitano il forum: Nessuno e 2 ospiti


Non puoi aprire nuovi argomenti
Non puoi rispondere negli argomenti
Non puoi modificare i tuoi messaggi
Non puoi cancellare i tuoi messaggi
Non puoi inviare allegati

Cerca per:
Vai a: