Benvenuto Ospite

Forum Entomologi Italiani

www.entomologiitaliani.net/forum
 
Oggi è 22/04/2026, 1:37

Tutti gli orari sono UTC + 1 ora [ ora legale ]

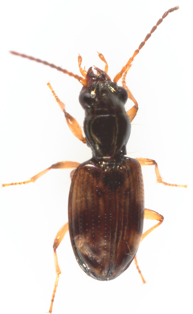
Trepanes (Trepanes) articulatus (Panzer, 1796) - Carabidae

3.III.2020 - ITALIA - Lombardia - CO, Albavilla


nuovo argomento
rispondi
Pagina 1 di 1 [ 3 messaggi ]
Autore Messaggio
MessaggioInviato: 06/03/2020, 18:59 
 

Iscritto il: 28/03/2013, 18:37
Messaggi: 595
Nome: marco salemi
ciao a a tutti
trovato in zona molto umida vicino ad un stagno sotto legno marcio
sui 4-5 mm.
grazie per l'aiuto


carabide-como-002.jpg

Top
profilo
 Oggetto del messaggio: Re: Carabide ID?
MessaggioInviato: 06/03/2020, 19:09 
Avatar utente

Iscritto il: 19/06/2012, 14:35
Messaggi: 5666
Località: Alfonsine (RA)
Nome: Marco Villani
Trepanes (Trepanes) articulatus (Panzer, 1796).
Marco :hi:


Top
profilo
MessaggioInviato: 07/03/2020, 8:37 
 

Iscritto il: 28/03/2013, 18:37
Messaggi: 595
Nome: marco salemi
Perfetto, grazie mille Marco :hi:


Top
profilo
Visualizza ultimi messaggi:  Ordina per  
nuovo argomento
rispondi
Pagina 1 di 1 [ 3 messaggi ]

Tutti gli orari sono UTC + 1 ora [ ora legale ]


Chi c’è in linea

Visitano il forum: Nessuno e 1 ospite


Non puoi aprire nuovi argomenti
Non puoi rispondere negli argomenti
Non puoi modificare i tuoi messaggi
Non puoi cancellare i tuoi messaggi
Non puoi inviare allegati

Cerca per:
Vai a:  
cron