| Autore |
Messaggio |
|
Andrea Pergine
|
Inviato: 11/04/2020, 14:22 |
|
Iscritto il: 22/05/2009, 21:00 Messaggi: 2780 Località: Pergine Valsugana (TN)
Nome: Andrea Carlin
|
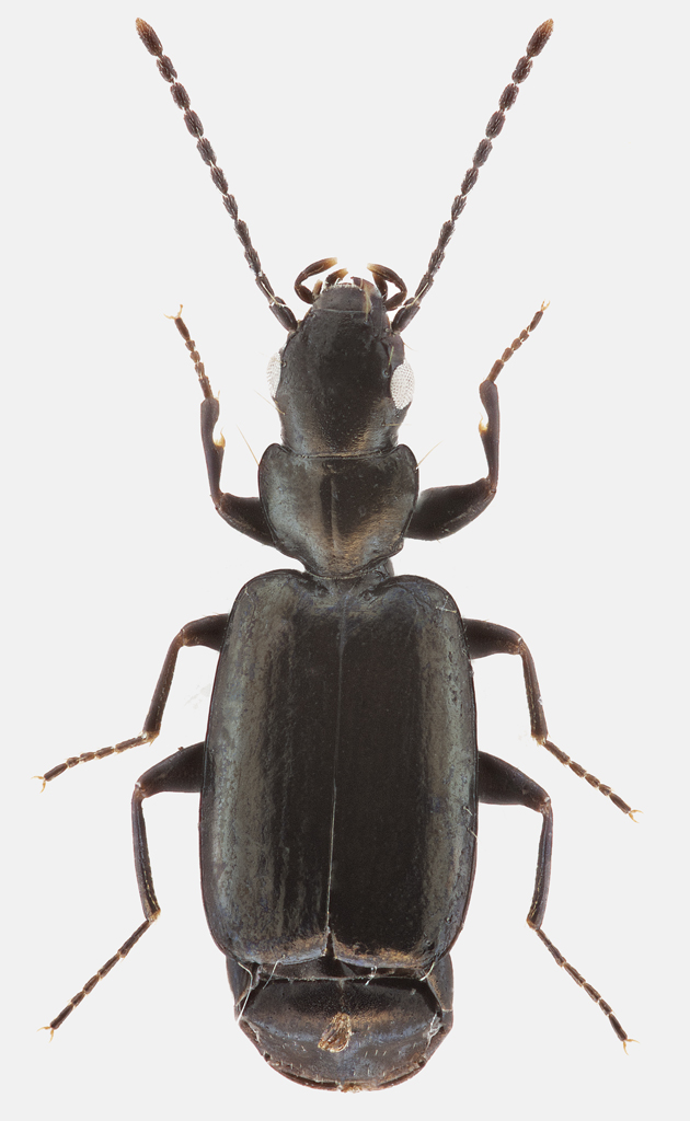
 Ciao a tutti, oggi inserisco un Syntomus raccolto in Sicilia! Chiedo gentilmente aiuto per la sua determinazione. Il truncatellus mi risulta che non sia segnalato per la regione siciliana...  Ma forse non è lui! Lunghezza: 3 mm  Grazie mille!
_________________ Andrea Carlin, Pergine Valsugana (TN) carlin.andrea(AT)gmail.com
Nota: tutti gli esemplari inseriti nelle discussioni aperte da me sono da ritenere "Andrea Carlin legit" se non diversamente specificato.
|
|
| Top |
|
 |
|
ricdoc57
|
Inviato: 11/04/2020, 15:56 |
|
Iscritto il: 08/05/2010, 22:25 Messaggi: 1463 Località: Milano
Nome: Riccardo Sciaky
|
Sinceramente dalla forma dell'apice elitrale mi sembrerebbe più un Microlestes che un Syntomus 
_________________ Riccardo
|
|
| Top |
|
 |
|
Andrea Pergine
|
Inviato: 11/04/2020, 21:10 |
|
Iscritto il: 22/05/2009, 21:00 Messaggi: 2780 Località: Pergine Valsugana (TN)
Nome: Andrea Carlin
|
|
_________________ Andrea Carlin, Pergine Valsugana (TN) carlin.andrea(AT)gmail.com
Nota: tutti gli esemplari inseriti nelle discussioni aperte da me sono da ritenere "Andrea Carlin legit" se non diversamente specificato.
|
|
| Top |
|
 |
|
Notoxus59
|
Inviato: 12/04/2020, 10:13 |
|
Iscritto il: 06/02/2009, 9:03 Messaggi: 6377 Località: Bubano di Mordano (Bologna)
Nome: Augusto Degiovanni
|
Microlestes tutta la vita, come dice Riccardo per la forma dell'apice delle elitre  . Per la specie non è facile da classificare solo dall'habitus, in Sicilia incontriamo molto comunemente il M. laevipennis seguito dal luctuosus e dall' abeillei brisouti, poi il mauritanicus molto più localizzato. Diciamo che i 3 mm se così fossero farebbero pensare al laevipennis (le altre sono più piccole), ma è un azzardo. Sulla pubescenza degli articoli antennali bisognerebbe fare chiarezza. Microlestes: alcune specie hanno il 2° articolo con alcuni peluzzi nella metà apicale oltre alle setole apicali, in altre specie il 2° è completamente glabro, alcune hanno il 3° articolo solo dalla metà verso l'apice setoloso, altri hanno il 3° completamente setoloso. Sintomus: alcune specie hanno il terzo articolo con alcuni peluzzi (ma qualche rado peluzzo a mio parere non vuol dire pubescente) dalla metà fino all'apice, altri il 3° lo hanno completamente glabro. La bibliografia parla di: 3° articolo pubescente per i Microlestes . 4° articolo pubescente per i Sintomus.
|
|
| Top |
|
 |
|
Andrea Pergine
|
Inviato: 12/04/2020, 11:27 |
|
Iscritto il: 22/05/2009, 21:00 Messaggi: 2780 Località: Pergine Valsugana (TN)
Nome: Andrea Carlin
|
 Acc.... grazie mille Augusto. Mi ero fatto ingannare da una chiave che dava per Syntomus gli esemplari con il secondo articolo antennale glabro! Quindi sarà dura arrivare alla specie....  (i 3 mm sono esattamente 3,1) Grazie ancora e tantissimi auguriii! 
_________________ Andrea Carlin, Pergine Valsugana (TN) carlin.andrea(AT)gmail.com
Nota: tutti gli esemplari inseriti nelle discussioni aperte da me sono da ritenere "Andrea Carlin legit" se non diversamente specificato.
|
|
| Top |
|
 |
|
ricdoc57
|
Inviato: 14/04/2020, 14:40 |
|
Iscritto il: 08/05/2010, 22:25 Messaggi: 1463 Località: Milano
Nome: Riccardo Sciaky
|
Come accennava Augusto, le dimensioni e altri caratteri mi farebbero pensare a Microlestes laevipennis (Lucas, 1846) con abbastanza certezza. Le altre specie o sono notevolmente più piccole o hanno rapporti di lunghezza elitre/pronoto differenti. Quindi proporei di considerarlo così, modificando anche il titolo, se possibile. Saluti 
_________________ Riccardo
|
|
| Top |
|
 |
|
Andrea Pergine
|
Inviato: 14/04/2020, 21:16 |
|
Iscritto il: 22/05/2009, 21:00 Messaggi: 2780 Località: Pergine Valsugana (TN)
Nome: Andrea Carlin
|
|
_________________ Andrea Carlin, Pergine Valsugana (TN) carlin.andrea(AT)gmail.com
Nota: tutti gli esemplari inseriti nelle discussioni aperte da me sono da ritenere "Andrea Carlin legit" se non diversamente specificato.
|
|
| Top |
|
 |
|
Notoxus59
|
Inviato: 14/04/2020, 23:07 |
|
Iscritto il: 06/02/2009, 9:03 Messaggi: 6377 Località: Bubano di Mordano (Bologna)
Nome: Augusto Degiovanni
|
|
Penso proprio che il nome corretto sia levipennis come indicato sia in fauna europea che in molti altri cataloghi.
Ma è meglio sentire altri coleghi più informati.
|
|
| Top |
|
 |
|
Andrea Pergine
|
Inviato: 12/10/2022, 18:38 |
|
Iscritto il: 22/05/2009, 21:00 Messaggi: 2780 Località: Pergine Valsugana (TN)
Nome: Andrea Carlin
|
 A distanza inserisco l'immagine dell'edeago (fatta al volo) di un esemplare raccolto nella stessa località e nella stessa data. Può essere utile per la conferma? Grazie mille. Andrea 
_________________ Andrea Carlin, Pergine Valsugana (TN) carlin.andrea(AT)gmail.com
Nota: tutti gli esemplari inseriti nelle discussioni aperte da me sono da ritenere "Andrea Carlin legit" se non diversamente specificato.
|
|
| Top |
|
 |
|
Andrea Pergine
|
Inviato: 13/10/2022, 12:45 |
|
Iscritto il: 22/05/2009, 21:00 Messaggi: 2780 Località: Pergine Valsugana (TN)
Nome: Andrea Carlin
|
Forse questa nuova immagine rende meglio l'idea.... ma non ho ancora trovato alcun lavoro per poter fare un confronto!  Grazie mille.
_________________ Andrea Carlin, Pergine Valsugana (TN) carlin.andrea(AT)gmail.com
Nota: tutti gli esemplari inseriti nelle discussioni aperte da me sono da ritenere "Andrea Carlin legit" se non diversamente specificato.
|
|
| Top |
|
 |
|
wgliinsetti
|
Inviato: 09/02/2023, 14:19 |
|
Iscritto il: 05/05/2016, 11:22 Messaggi: 2980 Località: Santa Maria delle mole, Marino, Rm
Nome: Roberto Vanzini
|
|
Essendomici imbattuto proprio ora nel laevipennis questo edago è di un'altra specie (forse M. plagiatus). Può essere che le 2 convivano. Magari interverranno Riccardo o Augusto.
_________________ Roberto Vanzini
|
|
| Top |
|
 |
|
gabrif
|
Inviato: 09/02/2023, 15:18 |
|
Iscritto il: 14/03/2009, 12:59 Messaggi: 3246 Località: Milano
Nome: Gabriele Franzini
|
|
| Top |
|
 |
|
Andrea Pergine
|
Inviato: 10/02/2023, 19:36 |
|
Iscritto il: 22/05/2009, 21:00 Messaggi: 2780 Località: Pergine Valsugana (TN)
Nome: Andrea Carlin
|
|
_________________ Andrea Carlin, Pergine Valsugana (TN) carlin.andrea(AT)gmail.com
Nota: tutti gli esemplari inseriti nelle discussioni aperte da me sono da ritenere "Andrea Carlin legit" se non diversamente specificato.
|
|
| Top |
|
 |
|
wgliinsetti
|
Inviato: 13/02/2023, 16:44 |
|
Iscritto il: 05/05/2016, 11:22 Messaggi: 2980 Località: Santa Maria delle mole, Marino, Rm
Nome: Roberto Vanzini
|
|
Riesci a fare una foto del profilo opposto dell'edago? Da questa rimango dell'idea che sia il plagiatus. M. luctuosus non dovrebbe avere quel dentino sotto. Forse è solo un inganno di prospettiva.
_________________ Roberto Vanzini
|
|
| Top |
|
 |
|