Benvenuto Ospite

Forum Entomologi Italiani

www.entomologiitaliani.net/forum
 
Oggi è 24/12/2025, 11:20

Tutti gli orari sono UTC + 1 ora [ ora legale ]

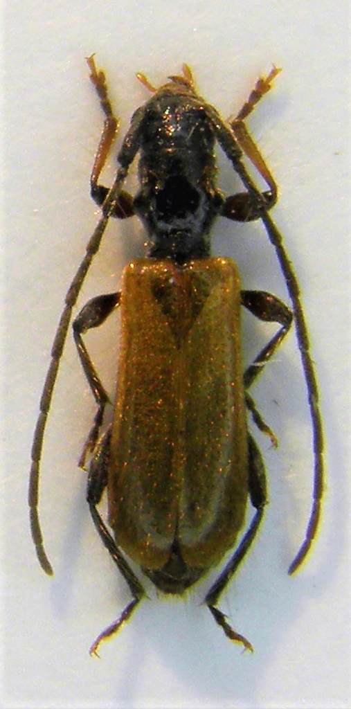
Stenhomalus (Obriopsis) bicolor (Kraatz, 1862) Dettagli della specie

28.IV.2020 - ITALIA - Friuli-Venezia Giulia - GO, Carso goriziano - Ronchi dei Legionari


nuovo argomento
rispondi
Vai alla pagina 1, 2  Prossimo
Pagina 1 di 2 [ 29 messaggi ]
Autore Messaggio
MessaggioInviato: 29/04/2020, 16:39 
Avatar utente

Iscritto il: 24/04/2010, 8:24
Messaggi: 5095
Nome: Lucio Morin
Non ho mai catturato prima questa specie, che credo correttamente id come Stenhomalus (Obriopsis) bicolor (Kraatz 1852)
dim: 6mm catturato sbattendo i biancospini, ce n'erano diversi ma sono molto veloci e si sono involati.
Da i post letti vedo che non è specie frequente da trovare se non con allevamento, visto che il mio ex sembra appena nato, come identificare i rametti da cui può essere emerso?
Grazie
Ciao Lucio
P4290013.jpg


_________________
A VOLTE E' MEGLIO TACERE E SEMBRARE STUPIDI CHE APRIR BOCCA E TOGLIERE OGNI DUBBIO Oscar Wilde


Top
profilo
 Oggetto del messaggio: Re: cerambice da id
MessaggioInviato: 29/04/2020, 16:55 
Avatar utente

Iscritto il: 21/05/2009, 14:59
Messaggi: 6994
Località: Parigi
Nome: Riccardo Poloni
La specie è prevalentemente mediterranea, quindi il ritrovamento dalle tue parti benchè la presenza della specie sia nota, è sempre interessante. Io se ce n'erano diversi sui biancospini proverei prima di tutto a battere al mattino prima che si scaldino o ancor meglio alla sera quando il sole non ci batte più ed è più fresco.
Per la legna dovresti cercare rametti di lentisco (che immagino non ci sia lì, ginestra o altri arbusti mediterranei di piccolo diametro, ma di più non so dirti, l'ho allevato una sola volta e per caso.

_________________
Riccardo Poloni
La dignità degli elementi
la libertà della poesia,
al di là dei tradimenti degli uomini
è magia, è magia, è magia...
Negrita, Rotolando verso sud


Top
profilo
 Oggetto del messaggio: Re: cerambice da id
MessaggioInviato: 29/04/2020, 17:36 
Avatar utente

Iscritto il: 24/04/2010, 8:24
Messaggi: 5095
Nome: Lucio Morin
Grazie, proverò a battere i biancospini come mi consigli, circa le piante ci sono pioppi, robinie e carpino, poi evonymus e biancospino edere ma nessuna pianta mediterranea . proverò a vedere.
Grazie
Ciao Lucio

_________________
A VOLTE E' MEGLIO TACERE E SEMBRARE STUPIDI CHE APRIR BOCCA E TOGLIERE OGNI DUBBIO Oscar Wilde


Top
profilo
 Oggetto del messaggio: Re: cerambice da id
MessaggioInviato: 29/04/2020, 18:06 
Avatar utente

Iscritto il: 10/05/2010, 22:31
Messaggi: 4372
Località: Gavorrano (GR)
Nome: marco bastianini
Agdistis ha scritto:
ci sono pioppi, robinie e carpino, poi evonymus e biancospino edere

Con l'amico Stefano lo abbiamo allevato proprio da lui.Dentro ai fusticini morti ce ne erano assai. :ok: :ok:
:hi: :hi:

_________________
:to: Marco
"Le foreste a precedere le civiltà, i deserti a seguire."
François-René de Chateaubriand


Top
profilo
 Oggetto del messaggio: Re: cerambice da id
MessaggioInviato: 29/04/2020, 18:51 
Avatar utente

Iscritto il: 24/04/2010, 8:24
Messaggi: 5095
Nome: Lucio Morin
hypotyphlus ha scritto:
Agdistis ha scritto:
ci sono pioppi, robinie e carpino, poi evonymus e biancospino edere

Con l'amico Stefano lo abbiamo allevato proprio da lui.Dentro ai fusticini morti ce ne erano assai. :ok: :ok:
:hi: :hi:

perfetto, domattina se non piove vado a farmi un giro e vedo se riesco a trovarne altri e raccogliere qualche rametto di evonymus.
Grazie
Ciao Lucio

_________________
A VOLTE E' MEGLIO TACERE E SEMBRARE STUPIDI CHE APRIR BOCCA E TOGLIERE OGNI DUBBIO Oscar Wilde


Top
profilo
 Oggetto del messaggio: Re: cerambice da id
MessaggioInviato: 29/04/2020, 21:36 
Avatar utente

Iscritto il: 13/10/2010, 18:21
Messaggi: 1990
Nome: Andrea Liberto
Sottoscrivo Evonymus, in Grecia va anche sui suoi fiori.
Sugli Aurunci (Lazio meridionale) allevato ripetutamente da Ficus (Izzillo) e da Spartium. Ciao, A.


Top
profilo
 Oggetto del messaggio: Re: cerambice da id
MessaggioInviato: 29/04/2020, 21:44 
Avatar utente

Iscritto il: 24/04/2010, 8:24
Messaggi: 5095
Nome: Lucio Morin
Clickie ha scritto:
Sottoscrivo Evonymus, in Grecia va anche sui suoi fiori.
Sugli Aurunci (Lazio meridionale) allevato ripetutamente da Ficus (Izzillo) e da Spartium. Ciao, A.

:ok: Grazie, vediamo come va la giornata domani….sono due mesi che non pioveva e ora che si può uscire ……..strano ma piove :mrgreen:
Ciao Lucio

_________________
A VOLTE E' MEGLIO TACERE E SEMBRARE STUPIDI CHE APRIR BOCCA E TOGLIERE OGNI DUBBIO Oscar Wilde


Top
profilo
 Oggetto del messaggio: Re: cerambice da id
MessaggioInviato: 29/04/2020, 21:51 
Avatar utente

Iscritto il: 22/12/2009, 13:31
Messaggi: 9646
Località: Napoli
Nome: Francesco Izzillo
A me, a Esperia nel Lazio, esce regolarmente da fico.

_________________
Francesco Izzillo


Top
profilo
 Oggetto del messaggio: Re: cerambice da id
MessaggioInviato: 29/04/2020, 22:15 
Avatar utente

Iscritto il: 10/05/2010, 22:31
Messaggi: 4372
Località: Gavorrano (GR)
Nome: marco bastianini
Clickie ha scritto:
Aurunci (Lazio meridionale)

f.izzillo ha scritto:
Esperia nel Lazio

Aaaaaaah gli Aurunci, Esperia, la grotta dei Serini, il Duvalius auruncus ed il Duvalius bertagnii (conviventi).
Che cacciate formidabili. :hp: ;) :hp: ;) :hp: ;)

_________________
:to: Marco
"Le foreste a precedere le civiltà, i deserti a seguire."
François-René de Chateaubriand


Top
profilo
 Oggetto del messaggio: Re: cerambice da id
MessaggioInviato: 29/04/2020, 22:23 
Avatar utente

Iscritto il: 13/10/2010, 18:21
Messaggi: 1990
Nome: Andrea Liberto
Belli gli Aurunci, eh? Degradati, pelati, pascolati, strabruciati, ma belli. Sarà l'affaccio sul Golfo di Gaeta con la storia immensa che c'è da quelle parti. Mai viste tante Orchidaceae come su quei monti in vita mia.

Ma allora sei "grottesco"….. Cavernicolo.

Io, più "tavernicolo". Solo una consonante, e cambia tutto.

A Roma, purtroppo, taverne "con sonanti", cioè musicisti da strapazzo (almeno prima del virus).

In Grecia, meno.

Ariciao, A.


Top
profilo
 Oggetto del messaggio: Re: cerambice da id
MessaggioInviato: 29/04/2020, 22:39 
Avatar utente

Iscritto il: 13/10/2010, 18:21
Messaggi: 1990
Nome: Andrea Liberto
Io davvero poco cavernicolo, il mondo ctonio mi affascina ma non mi attrae. Ne ho timore.

Tutt'al più resto in estasi davanti (o dentro, ma con prudenza) certi monasteri che testimoniano il ricorso alle cavità naturali tipiche del monachesimo originario, quello dei cenobiti, con partenza dalle chiese rupestri di Puglia e Basilicata ed approdo agli strabilianti eremi della Majella.

Che tante tracce ha seminato, da oriente verso occidente, nella nostra penisola. Per dire, San Benedetto appena vedeva una cavità, una piccola caverna, subito ci si insediava per mesi o anni, disinteressandosi della sua propria sussistenza.

Provavano a trattenerlo, ma no, che ti rintani a fare, resta alla luce del sole, sintetizza la vitamina D… Niente da fare, per il santo la nicchia, il foro, il mondo anche appena sotterraneo erano irresistibili.

E allora una gara tra pastori e contadini, chi una ricotta, chi un cacio stagionato, per sfamare il corpo terreno del sant'uomo.
Non scherzo, Lazio e Abruzzo sono segnati dal cammino del santo, che sapeva scegliere i luoghi dell'anima. La Mentorella, il Sacro Speco di Subiaco, dovunque c'è il nome di Benedetto, aspettatevi grandi cose.

La fibra forte: a Norcia la Cattedrale è venuta giù, col sisma. La statua di Benedetto, no.

A.


Top
profilo
 Oggetto del messaggio: Re: cerambice da id
MessaggioInviato: 29/04/2020, 22:46 
Avatar utente

Iscritto il: 10/05/2010, 22:31
Messaggi: 4372
Località: Gavorrano (GR)
Nome: marco bastianini
Clickie ha scritto:
Ma allora sei "grottesco"….. Cavernicolo.

Io, più "tavernicolo". Solo una consonante, e cambia tutto.

Comunque i cavernicoli alla sera ( il giorno no, poco tempo quindi pedalare ) stremati ed affamati si facevano delle grandi magnate nelle trattorie locali.Bucatini all'amatriciana evvaiiiiiiiiiiiiiiiiiiiiiiiiiii!!!!!! :p :p :p

_________________
:to: Marco
"Le foreste a precedere le civiltà, i deserti a seguire."
François-René de Chateaubriand


Top
profilo
 Oggetto del messaggio: Re: cerambice da id
MessaggioInviato: 29/04/2020, 22:58 
Avatar utente

Iscritto il: 22/12/2009, 13:31
Messaggi: 9646
Località: Napoli
Nome: Francesco Izzillo
Clickie ha scritto:
Sottoscrivo Evonymus, in Grecia va anche sui suoi fiori.
Sugli Aurunci (Lazio meridionale) allevato ripetutamente da Ficus (Izzillo) e da Spartium. Ciao, A.

Non avevo fatto caso a questo messaggio di Andrea.

_________________
Francesco Izzillo


Top
profilo
 Oggetto del messaggio: Re: cerambice da id
MessaggioInviato: 30/04/2020, 15:22 
 

Iscritto il: 13/09/2009, 18:04
Messaggi: 881
Nome: Pierpaolo Rapuzzi
Ciao Lucio,
qui a Cialla lo allevo sempre numeroso da rami di Ficus secchi. I rametti vanno dal diametri di pochi millimetri sino a qualche centimetro. Quando trovi quello giusto (in ogni caso sempre attaccato alla pianta) nei puoi tirare fuori svariate decine!
Un caro saluto,
Pierpaolo


Top
profilo
 Oggetto del messaggio: Re: cerambice da id
MessaggioInviato: 30/04/2020, 18:40 
Avatar utente

Iscritto il: 24/04/2010, 8:24
Messaggi: 5095
Nome: Lucio Morin
Allora, oggi pomeriggio sono andato a cercare i rametti come suggerito, purtroppo gli arbusti di Euonymus europaea erano ben pochi e praticamente tutti sani.. mi sono un po' addentrato nel boschetto cresciuto in una montagna di me_da e immondizie (vedi foto) tanto che volevo girare subito i tacchi ed tornarmene mesto a casa ma si vede che entrando nel fitto qualche cacchina devo averla pestata, impossibile non farlo, e come si dice porta fortuna :dead: , tanto che ho incominciato a sbattere in qua e la finché ho trovato i primi esemplari, poi capita la specie di albero dove trovarli il gioco è fatto.
Praticamente tutti gli S. bicolor sono stati raccolti dalle parti terminali di piccoli alberelli di Celtis australis, qualcuno da una porzione di ramo cadente di Pioppo ma forse erano solo appoggiati, un paio di S. bicolor insieme ai Pogonocherus (forse ispidus, ma devo vederli con calma non sono molto bravo con i coleotteri…) su un fico che come tutti gli alberelli di Celtis, si vede nella foto, sono stati mordicchiati forse da caprioli o animali domestici (capre?) . Ho prelevato un po' di legna ma non son sicuro di aver scelto bene, mi sembra troppo secca anche se era ancora attaccata al fusto / ramo.
Questo il risultato, non mi sembra male.
Ciao Lucio
visione d'insieme
IMG20200430150906.jpg

la sporcizia che garantisco era dappertutto
IMG20200430150822.jpg

i piccoli fusti di Celtis australis decorticati
IMG20200430150934.jpg

la legna raccolta
IMG20200430171428.jpg

ex in natura
IMG20200430162125.jpg

risultato finale della raccolta pomeridiana
P4300004 (2).JPG


_________________
A VOLTE E' MEGLIO TACERE E SEMBRARE STUPIDI CHE APRIR BOCCA E TOGLIERE OGNI DUBBIO Oscar Wilde


Top
profilo
Visualizza ultimi messaggi:  Ordina per  
nuovo argomento
rispondi
Vai alla pagina 1, 2  Prossimo
Pagina 1 di 2 [ 29 messaggi ]

Tutti gli orari sono UTC + 1 ora [ ora legale ]


Chi c’è in linea

Visitano il forum: Nessuno e 1 ospite


Non puoi aprire nuovi argomenti
Non puoi rispondere negli argomenti
Non puoi modificare i tuoi messaggi
Non puoi cancellare i tuoi messaggi
Non puoi inviare allegati

Cerca per:
Vai a: