Benvenuto Ospite

Forum Entomologi Italiani

www.entomologiitaliani.net/forum
 
Oggi è 21/11/2025, 20:23

Tutti gli orari sono UTC + 1 ora [ ora legale ]

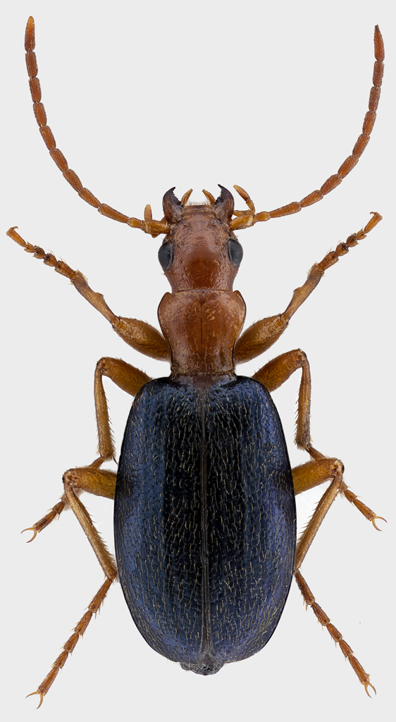
Brachinus sp. - Carabidae

2.V.2020 - ITALIA - Trentino-Alto Adige - TN, Susà di Pergine, 630 m/slm


nuovo argomento
rispondi
Pagina 1 di 1 [ 9 messaggi ]
Autore Messaggio
 Oggetto del messaggio: Brachinus sp. - Carabidae
MessaggioInviato: 05/05/2020, 23:17 
Avatar utente

Iscritto il: 22/05/2009, 21:00
Messaggi: 2776
Località: Pergine Valsugana (TN)
Nome: Andrea Carlin
:hi: Questo dovrebbe essere il Brachinus crepitans. :birra:
Lo ho trovato assieme ad un altro esemplare più grande (che inserirò in un altra discussione) che, all'apparenza sembrerebbe di un'altra specie, però..... :roll:

Lunghezza: 6,3 mm
Brachinus-crepitans.jpg



Grazie mille. :birra:

_________________
Andrea Carlin, Pergine Valsugana (TN) carlin.andrea(AT)gmail.com

Nota: tutti gli esemplari inseriti nelle discussioni aperte da me sono da ritenere "Andrea Carlin legit" se non diversamente specificato.


Top
profilo
 Oggetto del messaggio: Re: Brachinus cf crepitans
MessaggioInviato: 06/05/2020, 10:40 
Avatar utente

Iscritto il: 14/03/2009, 12:59
Messaggi: 3238
Località: Milano
Nome: Gabriele Franzini
Di che colore è il lato ventrale?

Ciao G.


Top
profilo
 Oggetto del messaggio: Re: Brachinus cf crepitans
MessaggioInviato: 06/05/2020, 10:52 
Avatar utente

Iscritto il: 22/05/2009, 21:00
Messaggi: 2776
Località: Pergine Valsugana (TN)
Nome: Andrea Carlin
:hi: ciao Gabriele.
Non si può dire nero perchè non lo è ma oscurato si...
:birra:

_________________
Andrea Carlin, Pergine Valsugana (TN) carlin.andrea(AT)gmail.com

Nota: tutti gli esemplari inseriti nelle discussioni aperte da me sono da ritenere "Andrea Carlin legit" se non diversamente specificato.


Top
profilo
 Oggetto del messaggio: Re: Brachinus cf crepitans
MessaggioInviato: 11/05/2020, 20:59 
Avatar utente

Iscritto il: 19/06/2012, 14:35
Messaggi: 5640
Località: Alfonsine (RA)
Nome: Marco Villani
Visto il ventre scuro, Brachinus (Brachynidius) glabratus Latreille & Dejean, 1822?
:hi:


Top
profilo
 Oggetto del messaggio: Re: Brachinus cf crepitans
MessaggioInviato: 11/05/2020, 22:25 
Avatar utente

Iscritto il: 22/05/2009, 21:00
Messaggi: 2776
Località: Pergine Valsugana (TN)
Nome: Andrea Carlin
Grazie Marco! :lov2:
:? mmh, la frangia di peletti al bordo apicale delle elitre c'è anche se sono molto molto corti...
piuttosto direi B. immaculicornis ma a nord del Po si può trovare? :oops:
:birra:

_________________
Andrea Carlin, Pergine Valsugana (TN) carlin.andrea(AT)gmail.com

Nota: tutti gli esemplari inseriti nelle discussioni aperte da me sono da ritenere "Andrea Carlin legit" se non diversamente specificato.


Top
profilo
 Oggetto del messaggio: Re: Brachinus cf crepitans
MessaggioInviato: 12/05/2020, 0:07 
Avatar utente

Iscritto il: 19/06/2012, 14:35
Messaggi: 5640
Località: Alfonsine (RA)
Nome: Marco Villani
L'habitus non mi sembra da immaculicornis o crepitans. Le elitre così poco costolute sono da glabratus e affini.
:hi:


Top
profilo
 Oggetto del messaggio: Re: Brachinus cf crepitans
MessaggioInviato: 12/05/2020, 11:28 
Avatar utente

Iscritto il: 14/03/2009, 12:59
Messaggi: 3238
Località: Milano
Nome: Gabriele Franzini
Potrebbe essere un crepitans con le antenne gialle. Se Andrea ci fa una foto dell'apice delle elitre si capirà qualcosa di più -- forse.

I B. immaculicornis più settentrionali che ho sono dell'Istria.

:hi: :hi: G.


Top
profilo
 Oggetto del messaggio: Re: Brachinus cf crepitans
MessaggioInviato: 12/05/2020, 17:14 
Avatar utente

Iscritto il: 22/05/2009, 21:00
Messaggi: 2776
Località: Pergine Valsugana (TN)
Nome: Andrea Carlin
:birra: grazie mille. Ora vedo se riesco ad immortalare le piccole setoline... ;)
:hi:

_________________
Andrea Carlin, Pergine Valsugana (TN) carlin.andrea(AT)gmail.com

Nota: tutti gli esemplari inseriti nelle discussioni aperte da me sono da ritenere "Andrea Carlin legit" se non diversamente specificato.


Top
profilo
 Oggetto del messaggio: Re: Brachinus cf crepitans
MessaggioInviato: 12/05/2020, 19:17 
Avatar utente

Iscritto il: 22/05/2009, 21:00
Messaggi: 2776
Località: Pergine Valsugana (TN)
Nome: Andrea Carlin
:hi: l'angolatura della ripresa fotografica non è delle migliori... però si vede la cortissima frangia chiara (biancastra) dell'apice elitrale! :roll:
Che ne dite?
apice-elitrale-Brachinus.jpg


:birra:

_________________
Andrea Carlin, Pergine Valsugana (TN) carlin.andrea(AT)gmail.com

Nota: tutti gli esemplari inseriti nelle discussioni aperte da me sono da ritenere "Andrea Carlin legit" se non diversamente specificato.


Top
profilo
Visualizza ultimi messaggi:  Ordina per  
nuovo argomento
rispondi
Pagina 1 di 1 [ 9 messaggi ]

Tutti gli orari sono UTC + 1 ora [ ora legale ]


Chi c’è in linea

Visitano il forum: Nessuno e 6 ospiti


Non puoi aprire nuovi argomenti
Non puoi rispondere negli argomenti
Non puoi modificare i tuoi messaggi
Non puoi cancellare i tuoi messaggi
Non puoi inviare allegati

Cerca per:
Vai a: