Benvenuto Ospite

Forum Entomologi Italiani

www.entomologiitaliani.net/forum
 
Oggi è 31/03/2026, 10:33

Tutti gli orari sono UTC + 1 ora [ ora legale ]

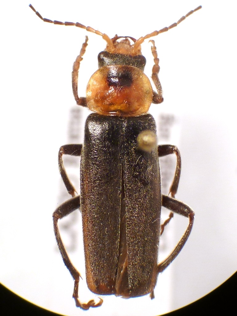
Cantharis (Cantharis) fusca Linnaeus 1758 - Cantharidae

6.IV.1960 - ITALIA - Lazio - RM, Ponte Galeria


nuovo argomento
rispondi
Pagina 1 di 1 [ 6 messaggi ]
Autore Messaggio
MessaggioInviato: 12/05/2020, 11:16 
Avatar utente

Iscritto il: 28/04/2010, 23:44
Messaggi: 2107
Località: Roma
Nome: Valerio Viglioglia
Quest esemplare, insieme ad un'altro (che pubblicherò probabilmente fra 4-5 anni) li ho determinati come Cantharis fusca.
Chiedo conferma o smentita

L. = 15 mm

P1030181.JPG

P1030183.JPG


_________________
Valerio V


Top
profilo
 Oggetto del messaggio: Re: Cantharis sp. - Cantharidae
MessaggioInviato: 13/05/2020, 11:29 
Avatar utente

Iscritto il: 14/10/2016, 16:39
Messaggi: 437
Località: Settimo Torinese (TO)
Nome: Federico Rosso
Ci sono decine di specie similerrime, non è assolutamente detto che sia C. fusca. Qualche tempo fa mi interessai un poco di Cantharidi, ma lasciai perdere per via della complessità del gruppo, che se avessi seguito mi avrebbe portato via troppo tempo per i buprestidi. Comunque con questi animali non ti consiglio di sbilanciarti in determinazioni specifiche senza farli vedere a uno specialista, ce ne sono davvero tanti molto molto simili. Di specialista ne conosco uno, ma non visita più il forum da anni.
:hi:

_________________
Federico Rosso

... venite pure con le ragioni e con le dimostrazioni, vostre o di Aristotile, e non con testi e nude autorità, perché i discorsi nostri hanno a essere intorno al mondo sensibile, e non sopra un mondo di carta. (Galileo Galilei)


Top
profilo
 Oggetto del messaggio: Re: Cantharis sp. - Cantharidae
MessaggioInviato: 13/05/2020, 11:39 
Avatar utente

Iscritto il: 28/04/2010, 23:44
Messaggi: 2107
Località: Roma
Nome: Valerio Viglioglia
Si so che sono ostici, per questo li raccolgo poco e ne metto un po' qui. Lo specialista che citi è Hutia? Mi sono accorto che il suo profilo non è più accessibile. Forse cancellato

_________________
Valerio V


Top
profilo
 Oggetto del messaggio: Re: Cantharis sp. - Cantharidae
MessaggioInviato: 13/05/2020, 11:47 
Avatar utente

Iscritto il: 14/10/2016, 16:39
Messaggi: 437
Località: Settimo Torinese (TO)
Nome: Federico Rosso
Valerio ha scritto:
Si so che sono ostici, per questo li raccolgo poco e ne metto un po' qui. Lo specialista che citi è Hutia? Mi sono accorto che il suo profilo non è più accessibile. Forse cancellato

Già, si è fatto cancellare dal forum, lunga storia. Ti mando un MP per fornirti due dati sui cantaridi :ok:

_________________
Federico Rosso

... venite pure con le ragioni e con le dimostrazioni, vostre o di Aristotile, e non con testi e nude autorità, perché i discorsi nostri hanno a essere intorno al mondo sensibile, e non sopra un mondo di carta. (Galileo Galilei)


Top
profilo
 Oggetto del messaggio: Re: Cantharis sp. - Cantharidae
MessaggioInviato: 16/05/2020, 19:36 
Avatar utente

Iscritto il: 28/04/2010, 23:44
Messaggi: 2107
Località: Roma
Nome: Valerio Viglioglia
F. Fanti conferma Cantharis fusca femmina
:hi:

_________________
Valerio V


Top
profilo
 Oggetto del messaggio: Re: Cantharis sp. - Cantharidae
MessaggioInviato: 16/05/2020, 19:58 
Avatar utente

Iscritto il: 14/10/2016, 16:39
Messaggi: 437
Località: Settimo Torinese (TO)
Nome: Federico Rosso
Valerio ha scritto:
F. Fanti conferma Cantharis fusca femmina
:hi:

:ok: a breve rinomino

_________________
Federico Rosso

... venite pure con le ragioni e con le dimostrazioni, vostre o di Aristotile, e non con testi e nude autorità, perché i discorsi nostri hanno a essere intorno al mondo sensibile, e non sopra un mondo di carta. (Galileo Galilei)


Top
profilo
Visualizza ultimi messaggi:  Ordina per  
nuovo argomento
rispondi
Pagina 1 di 1 [ 6 messaggi ]

Tutti gli orari sono UTC + 1 ora [ ora legale ]


Chi c’è in linea

Visitano il forum: Nessuno e 0 ospiti


Non puoi aprire nuovi argomenti
Non puoi rispondere negli argomenti
Non puoi modificare i tuoi messaggi
Non puoi cancellare i tuoi messaggi
Non puoi inviare allegati

Cerca per:
Vai a: