Benvenuto Ospite

Forum Entomologi Italiani

www.entomologiitaliani.net/forum
 
Oggi è 16/01/2026, 15:06

Tutti gli orari sono UTC + 1 ora [ ora legale ]

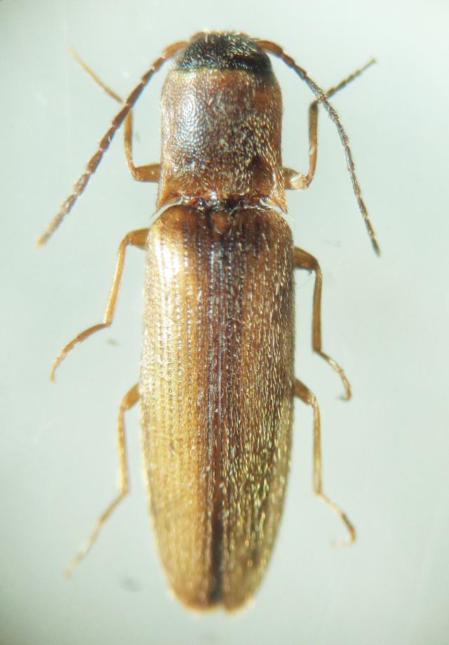
Dalopius marginatus (Linnaeus, 1758) - Elateridae

22.VI.2020 - ITALIA - Veneto - VI, nord di Gallio, m 1583


nuovo argomento
rispondi
Pagina 1 di 1 [ 3 messaggi ]
Autore Messaggio
MessaggioInviato: 18/07/2020, 22:26 
 

Iscritto il: 08/12/2013, 1:52
Messaggi: 7614
Località: Bagnacavallo (RA)
Nome: Giorgio Pezzi
mm 7: è lui? Carena laterale del pronoto continua.
Grazie. :hi:

DSC03298.JPG



DSC03299.JPG

Top
profilo
MessaggioInviato: 18/07/2020, 22:29 
Avatar utente

Iscritto il: 10/04/2016, 14:33
Messaggi: 1174
Località: Guidonia Montecelio (RM)
Nome: Edoardo Pulvirenti
:ok: :birra:

_________________
”Da un grande potere derivano grandi responsabilità”
-Ben Parker


EDOARDO PULVIRENTI


Top
profilo
MessaggioInviato: 24/07/2020, 21:24 
 

Iscritto il: 08/12/2013, 1:52
Messaggi: 7614
Località: Bagnacavallo (RA)
Nome: Giorgio Pezzi
Grazie Edoardo. :hi:


Top
profilo
Visualizza ultimi messaggi:  Ordina per  
nuovo argomento
rispondi
Pagina 1 di 1 [ 3 messaggi ]

Tutti gli orari sono UTC + 1 ora [ ora legale ]


Chi c’è in linea

Visitano il forum: Nessuno e 0 ospiti


Non puoi aprire nuovi argomenti
Non puoi rispondere negli argomenti
Non puoi modificare i tuoi messaggi
Non puoi cancellare i tuoi messaggi
Non puoi inviare allegati

Cerca per:
Vai a: