Benvenuto Ospite

Forum Entomologi Italiani

www.entomologiitaliani.net/forum
 
Oggi è 24/05/2026, 14:37

Tutti gli orari sono UTC + 1 ora [ ora legale ]

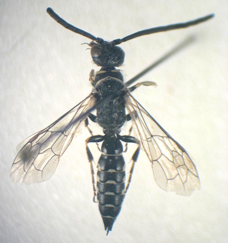
Meria sp. (cf.) - Tiphiidae

24.VII.2020 - ITALIA - Sardegna - NU, Fonni - Monte Spada - G.Ruzzante legit


nuovo argomento
rispondi
Pagina 1 di 1 [ 3 messaggi ]
Autore Messaggio
 Oggetto del messaggio: Meria sp. (cf.) - Tiphiidae
MessaggioInviato: 29/07/2020, 12:00 
Avatar utente

Iscritto il: 23/06/2010, 11:11
Messaggi: 2784
Località: Cagliari
Nome: Gianpaolo Ruzzante
mm 12
Mentre cercavo inutilmente una farfalla per un amico, mi sono imbattuto nel mio primo Tiphiidae, raccolto nella stessa localita di questo viewtopic.php?f=391&t=47120&hilit=Tiphiidae :hi:


mm 12.jpg

Top
profilo
 Oggetto del messaggio: Re: Tiphiidae
MessaggioInviato: 29/07/2020, 17:34 
Avatar utente

Iscritto il: 28/05/2009, 16:38
Messaggi: 5114
Nome: luigi lenzini
Dovrebbe essere del genere Meria.
Io li incontro spesso sui fiori.


Top
profilo
 Oggetto del messaggio: Re: Tiphiidae
MessaggioInviato: 30/07/2020, 9:37 
Avatar utente

Iscritto il: 23/06/2010, 11:11
Messaggi: 2784
Località: Cagliari
Nome: Gianpaolo Ruzzante
elleelle ha scritto:
Dovrebbe essere del genere Meria.
Io li incontro spesso sui fiori.


Grazie Luigi :hi:


Top
profilo
Visualizza ultimi messaggi:  Ordina per  
nuovo argomento
rispondi
Pagina 1 di 1 [ 3 messaggi ]

Tutti gli orari sono UTC + 1 ora [ ora legale ]


Chi c’è in linea

Visitano il forum: Nessuno e 0 ospiti


Non puoi aprire nuovi argomenti
Non puoi rispondere negli argomenti
Non puoi modificare i tuoi messaggi
Non puoi cancellare i tuoi messaggi
Non puoi inviare allegati

Cerca per:
Vai a: