Benvenuto Ospite

Forum Entomologi Italiani

www.entomologiitaliani.net/forum
 
Oggi è 29/04/2026, 18:06

Tutti gli orari sono UTC + 1 ora [ ora legale ]

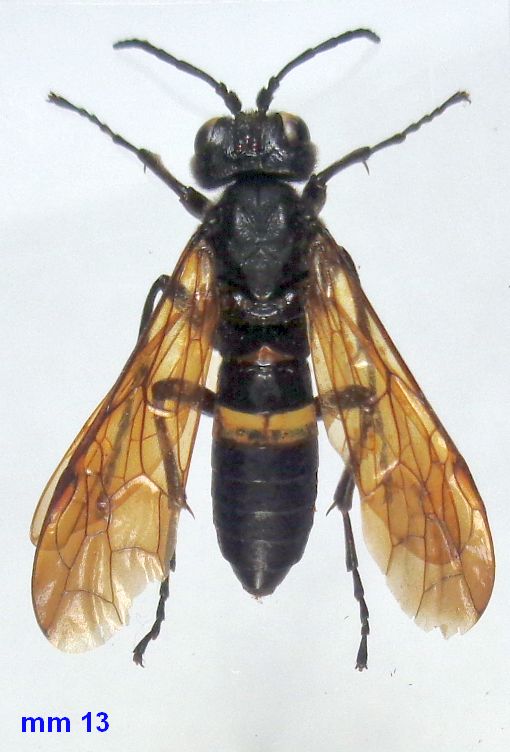
Tenthredo (Cephaledo) caucasica cinctaria Enslin, 1912 - Tenthredinidae

21.VII.2020 - SVIZZERA - EE, Chatel St. Denis, loc. Rathvel, m. 1220


nuovo argomento
rispondi
Pagina 1 di 1 [ 6 messaggi ]
Autore Messaggio
MessaggioInviato: 04/08/2020, 20:55 
 

Iscritto il: 08/12/2013, 1:52
Messaggi: 7704
Località: Bagnacavallo (RA)
Nome: Giorgio Pezzi
Chiedo conferma di questa femmina, reperita su ombrellifera assieme a T. crassa e T. arcuata; rispetto a T. bifasciata mi ha colpito per le tibie tutte nere. mm 13. Grazie.
:hi:


DSC04683.JPG

DSC03452.JPG

DSC03450.JPG

DSC03451.JPG

DSC03449.JPG

Top
profilo
MessaggioInviato: 05/08/2020, 2:52 
Avatar utente

Iscritto il: 22/11/2010, 18:16
Messaggi: 1130
Località: Donzy (Bourgogne : Dipart. Nièvre) - Francia
Nome: Jean-Pierre Balmer
Superb capture, Excellent identification, very nice photos , BRAVO !


Top
profilo
MessaggioInviato: 05/08/2020, 11:03 
Avatar utente

Iscritto il: 05/02/2009, 17:31
Messaggi: 9527
Località: milano
Nome: maurizio pavesi
bellissima :p :p :p

_________________
*****************
Immagine maurizio


Top
profilo
MessaggioInviato: 05/08/2020, 19:00 
 

Iscritto il: 08/12/2013, 1:52
Messaggi: 7704
Località: Bagnacavallo (RA)
Nome: Giorgio Pezzi
Grazie a entrambi, ma almeno la foto 1 è scarsa per indisponibilità di fotocamera adeguata. Però immaginavo fosse un buon reperto. :hi:


Top
profilo
MessaggioInviato: 06/08/2020, 11:53 
Avatar utente

Iscritto il: 22/11/2010, 18:16
Messaggi: 1130
Località: Donzy (Bourgogne : Dipart. Nièvre) - Francia
Nome: Jean-Pierre Balmer
A precision : caucasica caucasica was never captured in Europe, but only in the Caucasus.


Top
profilo
MessaggioInviato: 17/09/2025, 20:04 
 

Iscritto il: 08/12/2013, 1:52
Messaggi: 7704
Località: Bagnacavallo (RA)
Nome: Giorgio Pezzi
Grazie a Maurizio Pavesi che mi ha ricordato questo topic e mostrato interesse all'esemplare ;) ; ne ho approfittato per cambiare la prima foto con una migliore. Inoltre pare che Cephaledo sia oggi accettato come genere. :hi:


Top
profilo
Visualizza ultimi messaggi:  Ordina per  
nuovo argomento
rispondi
Pagina 1 di 1 [ 6 messaggi ]

Tutti gli orari sono UTC + 1 ora [ ora legale ]


Chi c’è in linea

Visitano il forum: Nessuno e 0 ospiti


Non puoi aprire nuovi argomenti
Non puoi rispondere negli argomenti
Non puoi modificare i tuoi messaggi
Non puoi cancellare i tuoi messaggi
Non puoi inviare allegati

Cerca per:
Vai a: