Benvenuto Ospite

Forum Entomologi Italiani

www.entomologiitaliani.net/forum
 
Oggi è 15/12/2025, 2:39

Tutti gli orari sono UTC + 1 ora [ ora legale ]

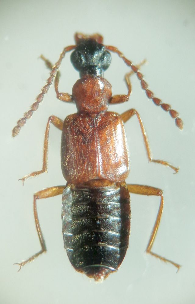
Deleaster dichrous (Gravenhorst, 1802) - Staphylinidae

22.VI.2020 - ITALIA - Veneto - VI, sopra Gallio, m 1583, rif. Campomuletto


nuovo argomento
rispondi
Pagina 1 di 1 [ 3 messaggi ]
Autore Messaggio
MessaggioInviato: 15/10/2020, 23:27 
 

Iscritto il: 08/12/2013, 1:52
Messaggi: 7581
Località: Bagnacavallo (RA)
Nome: Giorgio Pezzi
mm 6, alla luce UV. Grazie per ogni indicazione.
:hi:
DSC03920.JPG



DSC03922.JPG

DSC03921.JPG

Top
profilo
 Oggetto del messaggio: Re: Stafilinidae da ID
MessaggioInviato: 15/10/2020, 23:41 
 

Iscritto il: 02/11/2010, 22:33
Messaggi: 991
Nome: Aleksei Kovalev
Deleaster dichrous (Gravenhorst, 1802)
:hi:


Top
profilo
 Oggetto del messaggio: Re: Stafilinidae da ID
MessaggioInviato: 16/10/2020, 20:34 
 

Iscritto il: 08/12/2013, 1:52
Messaggi: 7581
Località: Bagnacavallo (RA)
Nome: Giorgio Pezzi
Easy...for you!! Thank's a lot!
:hi:


Top
profilo
Visualizza ultimi messaggi:  Ordina per  
nuovo argomento
rispondi
Pagina 1 di 1 [ 3 messaggi ]

Tutti gli orari sono UTC + 1 ora [ ora legale ]


Chi c’è in linea

Visitano il forum: Nessuno e 0 ospiti


Non puoi aprire nuovi argomenti
Non puoi rispondere negli argomenti
Non puoi modificare i tuoi messaggi
Non puoi cancellare i tuoi messaggi
Non puoi inviare allegati

Cerca per:
Vai a:  
cron