Benvenuto Ospite

Forum Entomologi Italiani

www.entomologiitaliani.net/forum
 
Oggi è 22/11/2025, 3:11

Tutti gli orari sono UTC + 1 ora [ ora legale ]

Cerceris sabulosa (Panzer, 1799) - Crabronidae Philanthinae

4.VII.2016 - ITALIA - Emilia-Romagna - RA, Monte Mauro, 515 m


nuovo argomento
rispondi
Pagina 1 di 1 [ 3 messaggi ]
Autore Messaggio
MessaggioInviato: 16/01/2021, 20:16 
 

Iscritto il: 08/12/2013, 1:52
Messaggi: 7563
Località: Bagnacavallo (RA)
Nome: Giorgio Pezzi
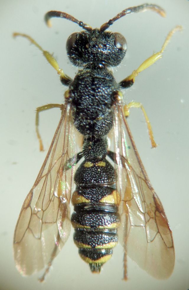
Questo maschio di mm 7 scarsi ho deciso di postarlo per il suo elevato grado di melanismo. E' l'unico così scuro e spicca tra gli altri esemplari molto più gialli, tanto che sembra una specie diversa.
:hi:
DSC05206.JPG



DSC05205.JPG

DSC05209.JPG

Top
profilo
MessaggioInviato: 16/01/2021, 20:37 
Avatar utente

Iscritto il: 01/07/2010, 22:26
Messaggi: 5650
Località: Viterbo
Nome: Marco Selis
Davvero bello! Qua in zona mi è capitato di trovare esemplari di sabulosa di tutte le varietà, anche esemplari particolarmente ricchi di disegni gialli, ma mai così scuri.


Top
profilo
MessaggioInviato: 16/01/2021, 21:00 
 

Iscritto il: 08/12/2013, 1:52
Messaggi: 7563
Località: Bagnacavallo (RA)
Nome: Giorgio Pezzi
Infatti ho la versione inversa, con primo tergite con due macule gialle ai lati, secondo tergite con stretto margine posteriore nero dal quale parte un debole piccolo disegno nerastro ad ancora verso l'avanti, terzo e sesto gialli, 4° e 5° con strettissimo triangolo nero anteriore. Protorace, tegule, propodeo, scapo e fronte con aree gialle oltremodo estese. :hi:


Top
profilo
Visualizza ultimi messaggi:  Ordina per  
nuovo argomento
rispondi
Pagina 1 di 1 [ 3 messaggi ]

Tutti gli orari sono UTC + 1 ora [ ora legale ]


Chi c’è in linea

Visitano il forum: Nessuno e 11 ospiti


Non puoi aprire nuovi argomenti
Non puoi rispondere negli argomenti
Non puoi modificare i tuoi messaggi
Non puoi cancellare i tuoi messaggi
Non puoi inviare allegati

Cerca per:
Vai a:  
cron