Benvenuto Ospite

Forum Entomologi Italiani

www.entomologiitaliani.net/forum
 
Oggi è 28/03/2026, 22:00

Tutti gli orari sono UTC + 1 ora [ ora legale ]

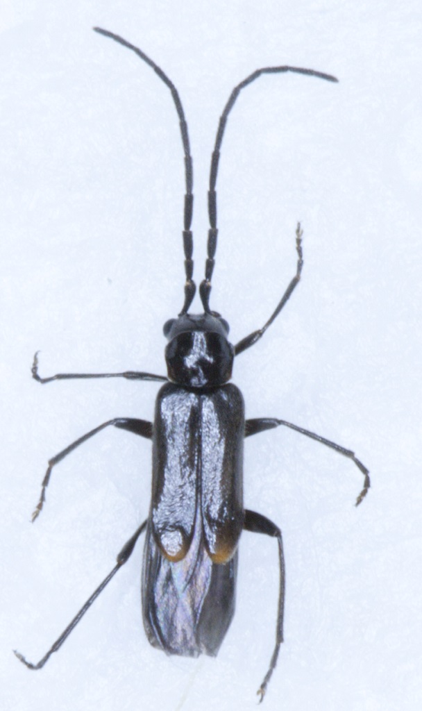
Malthodes sp. - Cantharidae

16.IV.2021 - ITALIA - Lazio - RM, Santa Maria delle mole, Marino


nuovo argomento
rispondi
Pagina 1 di 1 [ 1 messaggio ]
Autore Messaggio
 Oggetto del messaggio: Malthodes sp. - Cantharidae
MessaggioInviato: 27/04/2021, 12:48 
Avatar utente

Iscritto il: 05/05/2016, 11:22
Messaggi: 2999
Località: Santa Maria delle mole, Marino, Rm
Nome: Roberto Vanzini
Dim. 3,5 mm

Non so se passa Fabrizio Fanti per un consiglio anche su questo Cantharide.


2021-04-27 12-35-35 (B,Radius8,Smoothing4)2(1).jpg


_________________
Roberto Vanzini
Top
profilo
Visualizza ultimi messaggi:  Ordina per  
nuovo argomento
rispondi
Pagina 1 di 1 [ 1 messaggio ]

Tutti gli orari sono UTC + 1 ora [ ora legale ]


Chi c’è in linea

Visitano il forum: Nessuno e 0 ospiti


Non puoi aprire nuovi argomenti
Non puoi rispondere negli argomenti
Non puoi modificare i tuoi messaggi
Non puoi cancellare i tuoi messaggi
Non puoi inviare allegati

Cerca per:
Vai a: