Benvenuto Ospite

Forum Entomologi Italiani

www.entomologiitaliani.net/forum
 
Oggi è 23/05/2026, 8:09

Tutti gli orari sono UTC + 1 ora [ ora legale ]

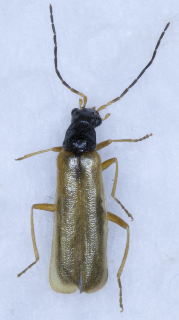
Rhagonycha (Rhagonycha) lignosa (O. F. Muller, 1764)

3.V.2021 - ITALIA - Lazio - RI, Ornaro Alto - 607 mslm


nuovo argomento
rispondi
Pagina 1 di 1 [ 3 messaggi ]
Autore Messaggio
MessaggioInviato: 25/05/2021, 17:49 
Avatar utente

Iscritto il: 05/05/2016, 11:22
Messaggi: 3008
Località: Santa Maria delle mole, Marino, Rm
Nome: Roberto Vanzini
Questa mi sembra una Rhagonycha ma non non se si può determinare.

Dim. 6 mm


2021-05-25 17-15-11 (B,Radius8,Smoothing4)2(1).jpg


_________________
Roberto Vanzini
Top
profilo
 Oggetto del messaggio: Re: Cantharidae?
MessaggioInviato: 25/05/2021, 17:56 
 

Iscritto il: 08/12/2013, 1:52
Messaggi: 7722
Località: Bagnacavallo (RA)
Nome: Giorgio Pezzi
Con le zampe interamente gialle penso ci sia solo Rhagonycha (Rhagonycha) lignosa (O. F. Muller, 1764). :hi:


Top
profilo
 Oggetto del messaggio: Re: Cantharidae?
MessaggioInviato: 25/05/2021, 18:19 
Avatar utente

Iscritto il: 05/05/2016, 11:22
Messaggi: 3008
Località: Santa Maria delle mole, Marino, Rm
Nome: Roberto Vanzini
Grazie mille Giorgio :hi:

_________________
Roberto Vanzini


Top
profilo
Visualizza ultimi messaggi:  Ordina per  
nuovo argomento
rispondi
Pagina 1 di 1 [ 3 messaggi ]

Tutti gli orari sono UTC + 1 ora [ ora legale ]


Chi c’è in linea

Visitano il forum: Nessuno e 1 ospite


Non puoi aprire nuovi argomenti
Non puoi rispondere negli argomenti
Non puoi modificare i tuoi messaggi
Non puoi cancellare i tuoi messaggi
Non puoi inviare allegati

Cerca per:
Vai a: