Benvenuto Ospite

Forum Entomologi Italiani

www.entomologiitaliani.net/forum
 
Oggi è 15/03/2026, 14:49

Tutti gli orari sono UTC + 1 ora [ ora legale ]

Corixide notturno - Sasso Marconi (BO)



nuovo argomento
rispondi
Pagina 1 di 1 [ 2 messaggi ]
Autore Messaggio
MessaggioInviato: 28/06/2010, 15:40 
Avatar utente

Iscritto il: 05/02/2009, 17:25
Messaggi: 4894
Località: Zola Predosa (BO)
Nome: Loris Colacurcio
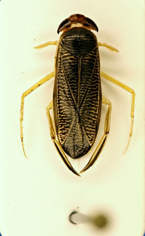
Tra le tante bestiole accorse in massa alla nostra trappola luminosa (Iuri ed il sottoscritto), sono arrivate anche un paio di notonette....
Capisco che sia alquanto arduo arrivare alla specie, da una semplice foto, ma sono rimasto colpito dalla splendida livrea tigrata e ovviamente la voglio condividere con voi .....nonostante la mediocre foto. :x

Sasso Marconi (BO) - Palazzo Rossi, giugno 2010
Lunghezza: 6 mm circa

Notonecta 01 notte.JPG


_________________
Loris


Top
profilo
MessaggioInviato: 28/06/2010, 15:43 
Avatar utente

Iscritto il: 06/02/2009, 9:07
Messaggi: 1706
Località: W-Mediterraneo
Nome: Davide Badano
Non è una Notonecta (Notonectidae) ma un Corixidae.


Top
profilo
Visualizza ultimi messaggi:  Ordina per  
nuovo argomento
rispondi
Pagina 1 di 1 [ 2 messaggi ]

Tutti gli orari sono UTC + 1 ora [ ora legale ]


Chi c’è in linea

Visitano il forum: Nessuno e 1 ospite


Non puoi aprire nuovi argomenti
Non puoi rispondere negli argomenti
Non puoi modificare i tuoi messaggi
Non puoi cancellare i tuoi messaggi
Non puoi inviare allegati

Cerca per:
Vai a: