Benvenuto Ospite

Forum Entomologi Italiani

www.entomologiitaliani.net/forum
 
Oggi è 20/04/2026, 19:29

Tutti gli orari sono UTC + 1 ora [ ora legale ]

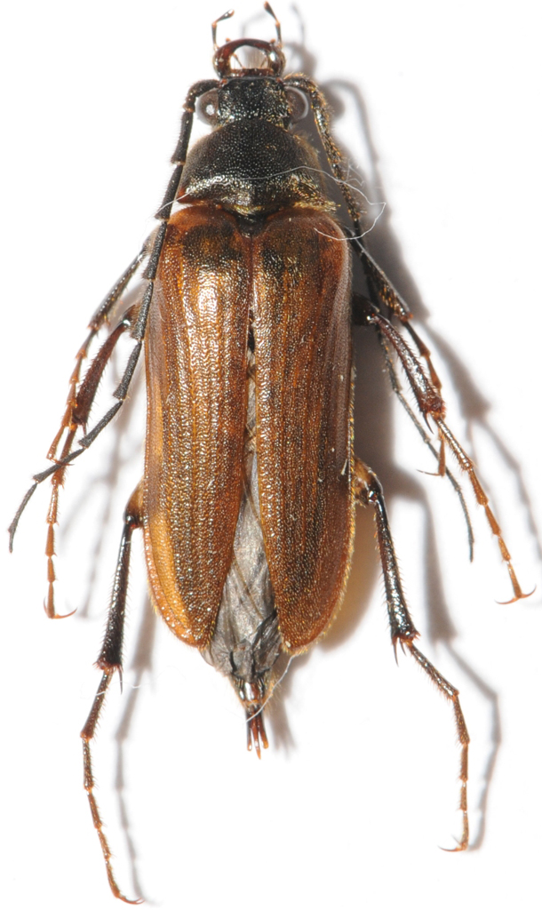
Cebrio (Cebrio) zuzartei Zapata & Sánchez-Ruiz, 2018 - Elateridae Cebrioninae

25.X.2013 - PORTOGALLO - EE, Valle de Pera near Albufeira, Algarve


nuovo argomento
rispondi
Pagina 1 di 1 [ 6 messaggi ]
Autore Messaggio
MessaggioInviato: 25/11/2013, 12:46 
 

Iscritto il: 17/10/2011, 16:33
Messaggi: 17
Nome: Olivier Boilly
Hello!

I have found this autumn few specimens of this Cebrionidae, all mâles:
Cebrio-1.jpg


Cebrio-2.jpg


I have no keys for this Family and need help to identify.

Many thanks

Regards

Olivier


Top
profilo
 Oggetto del messaggio: Re: Cebrio sp from Portugal
MessaggioInviato: 25/11/2013, 14:42 
Avatar utente

Iscritto il: 25/11/2009, 9:31
Messaggi: 8159
Località: Lecce
Nome: Maurizio Bollino
Dear Olivier,
please follow these instruction when uploading the images.

_________________
Maurizio Bollino


Top
profilo
 Oggetto del messaggio: Re: Cebrio sp from Portugal
MessaggioInviato: 11/12/2013, 15:33 
Avatar utente

Iscritto il: 30/12/2009, 22:20
Messaggi: 31564
Località: Roma
Nome: Maurizio Gigli
Immagino che Roberto non abbia visto questa discussione.

_________________
Maurizio Gigli
http://utenti.romascuola.net/bups
http://bup.xoom.it/


Top
profilo
 Oggetto del messaggio: Re: Cebrio sp from Portugal
MessaggioInviato: 11/12/2013, 17:45 
Avatar utente

Iscritto il: 02/09/2009, 20:57
Messaggi: 8703
Località: Cagliari
Nome: Roberto Rattu
Julodis ha scritto:
Immagino che Roberto non abbia visto questa discussione.

A suo tempo la vidi :) . Appena mi arrivano alcuni esemplari che Olivier mi ha spedito proverò ad arrivare alla specie.

:hi:


Top
profilo
MessaggioInviato: 27/06/2021, 20:09 
Amministratore
Avatar utente

Iscritto il: 02/02/2009, 23:30
Messaggi: 7107
Località: Capaci (Pa)
Nome: Marcello Romano
Riprendo e sposto questa vecchia discussione nuovamente in "Nuove richieste di determinazione..." per chiedere a Roberto se si può rinominare: Cebrio zuzartei Zapata & Sánchez-Ruiz, 2018.
Così mi pare alla luce di quanto scritto dai due Autori in questo articolo:
https://dialnet.unirioja.es/descarga/ar ... 604675.pdf

_________________
:hi: Marcello Romano


Top
profilo
MessaggioInviato: 28/06/2021, 10:43 
Avatar utente

Iscritto il: 02/09/2009, 20:57
Messaggi: 8703
Località: Cagliari
Nome: Roberto Rattu
Ciao Marcello, appena rinominato :ok: :)

:hi:


Top
profilo
Visualizza ultimi messaggi:  Ordina per  
nuovo argomento
rispondi
Pagina 1 di 1 [ 6 messaggi ]

Tutti gli orari sono UTC + 1 ora [ ora legale ]


Chi c’è in linea

Visitano il forum: Nessuno e 4 ospiti


Non puoi aprire nuovi argomenti
Non puoi rispondere negli argomenti
Non puoi modificare i tuoi messaggi
Non puoi cancellare i tuoi messaggi
Non puoi inviare allegati

Cerca per:
Vai a: