Benvenuto Ospite

Forum Entomologi Italiani

www.entomologiitaliani.net/forum
 
Oggi è 23/11/2025, 20:57

Tutti gli orari sono UTC + 1 ora [ ora legale ]

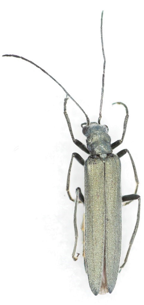
Oedemera (Oedemera) crassipes Ganglbauer, 1881 Dettagli della specie

20.V.2021 - ITALIA - Lazio - RM, Parco della Caffarella


nuovo argomento
rispondi
Pagina 1 di 1 [ 13 messaggi ]
Autore Messaggio
MessaggioInviato: 09/12/2021, 19:30 
Avatar utente

Iscritto il: 05/05/2016, 11:22
Messaggi: 2970
Località: Santa Maria delle mole, Marino, Rm
Nome: Roberto Vanzini
Dim. 7,37 mm

Personalmente come femmina di O. nobilis non mi convince molto. Ha la copertura alare troppo estesa ma magari sbaglio io. È lei o si tratta di altra specie?


2021-12-09 18-25-49 (B,Radius8,Smoothing3)2(1).jpg


_________________
Roberto Vanzini
Top
profilo
 Oggetto del messaggio: Re: Oedemeridae
MessaggioInviato: 09/12/2021, 20:48 
 

Iscritto il: 08/12/2013, 1:52
Messaggi: 7566
Località: Bagnacavallo (RA)
Nome: Giorgio Pezzi
Direi Oedemera gruppo lurida; foto degli ultimi sterniti please. Ambiente? xerico? :hi:


Top
profilo
 Oggetto del messaggio: Re: Oedemeridae
MessaggioInviato: 09/12/2021, 21:15 
Avatar utente

Iscritto il: 05/05/2016, 11:22
Messaggi: 2970
Località: Santa Maria delle mole, Marino, Rm
Nome: Roberto Vanzini
Domani la foto del ventre.
Ambiente assolutamente non xerico. Raccolta falciando un campo con erba alta quasi alla vita, vicino ad un corso d'acqua (una 30ina di metri).

_________________
Roberto Vanzini


Top
profilo
 Oggetto del messaggio: Re: Oedemeridae
MessaggioInviato: 09/12/2021, 22:56 
Avatar utente

Iscritto il: 13/10/2010, 18:21
Messaggi: 1990
Nome: Andrea Liberto
Caro Fabrrrrr...ops....Roberto

Le dimensioni suggerirebbero O. crassipes. Femmina. La possibile alternativa, come scriveva Giorgio, è O.lurida

Traggo dalla revisione di Svihla, 1999, quanto segue:

Ultimo sternite visibile con due elevazioni oblique, debolmente emarginato all'apice: crassipes

Ultimo sternite visibile con una stretta striscia longitudinale di colore bruno scuro, coincidente con una debolissima carena longitudinale anch'essa: lurida

In realtà, nel lavoro di Svihla le figure sembrano invertite. o comunque, non corrispondono bene ai caratteri forniti nella tabella scritta: la fig. 345 (attribuita a crassipes) mostra uno sternite NON emarginato all'apice, mentre la precedente fig. 343 (attribuita a lurida), mostra uno sternite con l'apice distintamente sinuato-emarginato.

Pagine 109-110 del lavoro che Giorgio conosce senz'altro, e che anche tu dovresti procurarti.

Casini tipografici, credo, l'incubo che ci perseguita, sia da lettori che da autori.

Resta da dire che nella sua revisione Svihla, descrivendo O. crassipes, fa riferimento ai margini dell'addome colorati di "giallo zafferano o color miele", cosa evidente nella tua foto. Non menziona invece detta colorazione scrivendo di O. lurida.

Se mi date un pò di tempo, guardo in collezione.

Se no, fate vobis. Fiat lux (ma....cave canem). Est est est.

A.


Top
profilo
 Oggetto del messaggio: Re: Oedemeridae
MessaggioInviato: 09/12/2021, 23:56 
 

Iscritto il: 08/12/2013, 1:52
Messaggi: 7566
Località: Bagnacavallo (RA)
Nome: Giorgio Pezzi
Vasquez (2002) dice che crassipes è di ambienti xerici nei quali sarebbe a mal partito virescens; lurida è molto adattabile. ma qui siamo in un parco e non so come sia definibile. L'ultimo sternite è:
lurida: ad apice largo e arrotondato;
crassipes: apice stretto, tronco e con leggero incavo (con ultimo tergite acuminato, ben più lungo dello sternite e con piccolo incavo);
virescens: apice più largo, con apice tronco incavato ad arco (con ultimo tergite poco più lungo e anch'esso incavato. :hi:


Top
profilo
 Oggetto del messaggio: Re: Oedemeridae
MessaggioInviato: 10/12/2021, 9:44 
Avatar utente

Iscritto il: 05/05/2016, 11:22
Messaggi: 2970
Località: Santa Maria delle mole, Marino, Rm
Nome: Roberto Vanzini
Stando a quanto dice Andrea interpreterei i caratteri come O. crassipes.
Per quello che dice Giorgio invece sono entrato in confusione :lol:
Poi chiaramente non ho esemplari di confronto, ne ce ne sono sul forum quindi potrei aver male interpretato tutto.
Non mi sembra comunque una cattiva presa visto che sul forum non ci sono crassipes accertate e di lurida ce n'è una sola del Veneto.


IMG_1638.jpg

2021-12-10 08-41-41 (B,Radius8,Smoothing3)2(1).jpg


_________________
Roberto Vanzini
Top
profilo
 Oggetto del messaggio: Re: Oedemeridae
MessaggioInviato: 10/12/2021, 12:29 
 

Iscritto il: 08/12/2013, 1:52
Messaggi: 7566
Località: Bagnacavallo (RA)
Nome: Giorgio Pezzi
Hai tagliato l'ultimo tergite ma pare molto più lungo dello sternite e molto acuminato: l'apice dello sternite non si vede bene se ha piccola smarginatura (a volte insignificante) ma tronco sì per cui direi proprio Oedemera (Oedemera) crassipes Ganglbauer, 1881. lurida, come le altre, ha sternite poco più breve del tergite e, al pari di virescens, con sinuatura laterale debole e dolce, non forte e "improvvisa" come questa . Concordo inoltre con Andrea che le figure su Svihla non sono rispondenti al testo. D'altra parte anche Vasquez ha fatto "casino" e a mio avviso devono apportarsi le seguenti correzioni:

nelle chiavi pagg. 41 e 42:
- ustulatus va corretto in melanurus:
- ferrugineus va corretto in ustulatus (per sinonimia del primo epiteto);

nelle descrizioni pag. 45 va corretto così:
- Anogcodes ustulatus (Scopoli, 1763) corretto in Anogcodes melanurus (F., 1787);
- Anogcodes ferrugineus (Schrank, 1776) corretto in Anogcodes ustulatus (Scopoli, 1763) = A. ferrugineus (Schrank, 1776).

nelle foto pag. 157 :
- fig. b = maschio di A. melanurus;
- figg. c = maschi di A. ustulatus;

e a pag. 157:
- la foto c (sx) = femmina di A. rufiventris;

e a pag. 158:
- figg. a + a = femmina di melanurus e ustulatus rispettivamente.
:hi:


Top
profilo
 Oggetto del messaggio: Re: Oedemeridae
MessaggioInviato: 10/12/2021, 15:38 
Avatar utente

Iscritto il: 05/05/2016, 11:22
Messaggi: 2970
Località: Santa Maria delle mole, Marino, Rm
Nome: Roberto Vanzini
Chalybion ha scritto:
Hai tagliato l'ultimo tergite ma pare molto più lungo dello sternite e molto acuminato: l'apice dello sternite non si vede bene se ha piccola smarginatura (a volte insignificante) ma tronco sì per cui direi proprio Oedemera (Oedemera) crassipes Ganglbauer, 1881. lurida, come le altre, ha sternite poco più breve del tergite e, al pari di virescens, con sinuatura laterale debole e dolce, non forte e "improvvisa" come questa . Concordo inoltre con Andrea che le figure su Svihla non sono rispondenti al testo. D'altra parte anche Vasquez ha fatto "casino" e a mio avviso devono apportarsi le seguenti correzioni:

nelle chiavi pagg. 41 e 42:
- ustulatus va corretto in melanurus:
- ferrugineus va corretto in ustulatus (per sinonimia del primo epiteto);

nelle descrizioni pag. 45 va corretto così:
- Anogcodes ustulatus (Scopoli, 1763) corretto in Anogcodes melanurus (F., 1787);
- Anogcodes ferrugineus (Schrank, 1776) corretto in Anogcodes ustulatus (Scopoli, 1763) = A. ferrugineus (Schrank, 1776).

nelle foto pag. 157 :
- fig. b = maschio di A. melanurus;
- figg. c = maschi di A. ustulatus;

e a pag. 157:
- la foto c (sx) = femmina di A. rufiventris;

e a pag. 158:
- figg. a + a = femmina di melanurus e ustulatus rispettivamente.
:hi:

Hai ragione ho tagliato male la foto. Comunque si è molto lungo ed acuminato.
Grazie per la conferma :birra:

_________________
Roberto Vanzini


Top
profilo
MessaggioInviato: 11/12/2021, 0:23 
Avatar utente

Iscritto il: 13/10/2010, 18:21
Messaggi: 1990
Nome: Andrea Liberto
Resto convinto che si tratti di una femmina di O. crassipes.

Basta incocciare il maschietto, che ha i metafemori leggermente "palestrati".

Stesso indirizzo, se ci ricapiti, lo prendi.

A.


Top
profilo
MessaggioInviato: 11/12/2021, 7:37 
Avatar utente

Iscritto il: 05/05/2016, 11:22
Messaggi: 2970
Località: Santa Maria delle mole, Marino, Rm
Nome: Roberto Vanzini
Primavera prossima sicuro. Quest'anno ci sono andato solo un paio di volte e non credo di averlo dentro altre boccette ma non si sa mai.

_________________
Roberto Vanzini


Top
profilo
MessaggioInviato: 11/12/2021, 21:13 
 

Iscritto il: 08/12/2013, 1:52
Messaggi: 7566
Località: Bagnacavallo (RA)
Nome: Giorgio Pezzi
Clickie ha scritto:
Resto convinto che si tratti di una femmina di O. crassipes.
A.

Appunto, chi ha detto il contrario? :D


Top
profilo
MessaggioInviato: 11/12/2021, 21:22 
Avatar utente

Iscritto il: 05/05/2016, 11:22
Messaggi: 2970
Località: Santa Maria delle mole, Marino, Rm
Nome: Roberto Vanzini
L'anno prossimo caccia al maschietto.

_________________
Roberto Vanzini


Top
profilo
MessaggioInviato: 13/12/2021, 14:16 
Avatar utente

Iscritto il: 21/05/2009, 14:59
Messaggi: 6994
Località: Parigi
Nome: Riccardo Poloni
Vedo la discussione solo ora e cnconrdo con Andrea, il pigidio non lascia dubbi: Oedemera (Oedemera) crassipes ;)

_________________
Riccardo Poloni
La dignità degli elementi
la libertà della poesia,
al di là dei tradimenti degli uomini
è magia, è magia, è magia...
Negrita, Rotolando verso sud


Top
profilo
Visualizza ultimi messaggi:  Ordina per  
nuovo argomento
rispondi
Pagina 1 di 1 [ 13 messaggi ]

Tutti gli orari sono UTC + 1 ora [ ora legale ]


Chi c’è in linea

Visitano il forum: Nessuno e 0 ospiti


Non puoi aprire nuovi argomenti
Non puoi rispondere negli argomenti
Non puoi modificare i tuoi messaggi
Non puoi cancellare i tuoi messaggi
Non puoi inviare allegati

Cerca per:
Vai a: