Benvenuto Ospite

Forum Entomologi Italiani

www.entomologiitaliani.net/forum
 
Oggi è 21/05/2026, 21:26

Tutti gli orari sono UTC + 1 ora [ ora legale ]

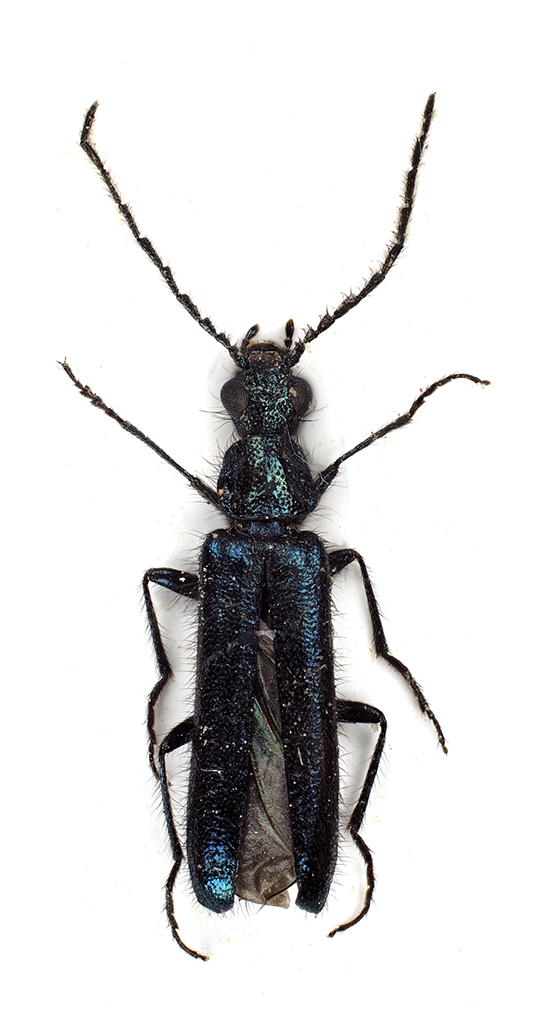
Dasytes caeruleus (De Geer, 1774) - Dasytidae

III.2022 - ITALIA - Marche - AN, Ancona


nuovo argomento
rispondi
Pagina 1 di 1 [ 7 messaggi ]
Autore Messaggio
MessaggioInviato: 23/03/2022, 21:53 
Avatar utente

Iscritto il: 10/05/2009, 15:30
Messaggi: 7183
Località: Ancona
Nome: Giacomo Giovagnoli
Ne sono sfarfallati alcuni da rami secchi di salice caduti.

Ancona (Italia); II e III.2022.

Dasytes... :roll:

[grazie zio per le foto!!! :birra: ]

Dimensioni: 7mm
Comb3692cr-19zL6.jpg


Comb3693cr-49zL6.jpg



Ciao :)

_________________
Immagine Giacomo


Top
profilo
 Oggetto del messaggio: Re: Dasytes da ID - Dasytidae
MessaggioInviato: 24/03/2022, 12:26 
Avatar utente

Iscritto il: 14/03/2009, 12:59
Messaggi: 3274
Località: Milano
Nome: Gabriele Franzini
Maschio di Dasytes caeruleus (De Geer, 1774).

:hi: :hi: G.


Top
profilo
 Oggetto del messaggio: Re: Dasytes da ID - Dasytidae
MessaggioInviato: 24/03/2022, 18:29 
Avatar utente

Iscritto il: 10/05/2009, 15:30
Messaggi: 7183
Località: Ancona
Nome: Giacomo Giovagnoli
Grazie.

Li tengo o li libero?

_________________
Immagine Giacomo


Top
profilo
MessaggioInviato: 24/03/2022, 18:37 
Avatar utente

Iscritto il: 14/03/2009, 12:59
Messaggi: 3274
Località: Milano
Nome: Gabriele Franzini
Liberali, è un animale molto diffuso.

Può essere interessante annotare che cosa esce da quei rami, per farsi un'idea di che specie possono avere mangiato durante la fase larvale...

:hi: :hi: G.


Top
profilo
MessaggioInviato: 24/03/2022, 18:39 
Avatar utente

Iscritto il: 10/05/2009, 15:30
Messaggi: 7183
Località: Ancona
Nome: Giacomo Giovagnoli
Ok. Non pensavo fossero specie predatrici da larve.

_________________
Immagine Giacomo


Top
profilo
MessaggioInviato: 24/03/2022, 19:06 
Avatar utente

Iscritto il: 14/03/2009, 12:59
Messaggi: 3274
Località: Milano
Nome: Gabriele Franzini
Eh sì, tu e loro siete in competizione...

:hi: :hi: G.


Top
profilo
MessaggioInviato: 24/03/2022, 20:11 
Avatar utente

Iscritto il: 10/05/2009, 15:30
Messaggi: 7183
Località: Ancona
Nome: Giacomo Giovagnoli
Ahahah, vincono loro a mani basse. :no1:

_________________
Immagine Giacomo


Top
profilo
Visualizza ultimi messaggi:  Ordina per  
nuovo argomento
rispondi
Pagina 1 di 1 [ 7 messaggi ]

Tutti gli orari sono UTC + 1 ora [ ora legale ]


Chi c’è in linea

Visitano il forum: Nessuno e 1 ospite


Non puoi aprire nuovi argomenti
Non puoi rispondere negli argomenti
Non puoi modificare i tuoi messaggi
Non puoi cancellare i tuoi messaggi
Non puoi inviare allegati

Cerca per:
Vai a: