Benvenuto Ospite

Forum Entomologi Italiani

www.entomologiitaliani.net/forum
 
Oggi è 20/01/2026, 16:41

Tutti gli orari sono UTC + 1 ora [ ora legale ]

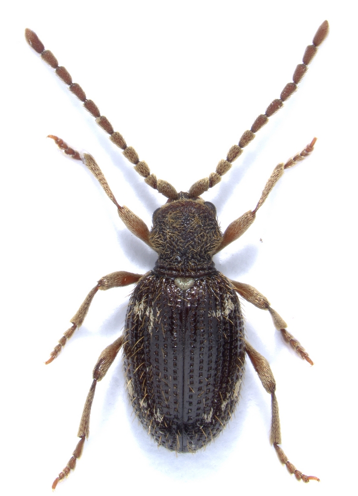
Ptinus (Ptinus) calcaratus Kiesenwetter, 1877 - Anobiidae Ptininae

3.I.2023 - ROMANIA - EE, Romania, Maramuresc county, near Ulmoasa


nuovo argomento
rispondi
Pagina 1 di 1 [ 3 messaggi ]
Autore Messaggio
MessaggioInviato: 27/01/2023, 9:54 
Avatar utente

Iscritto il: 31/08/2010, 7:16
Messaggi: 3041
Località: Romania
Nome: Pintilioaie Alexandru Mihai
A female obtained from old Cynipidae galls, it can be ID-ed? :hi:
lenght 3.5 mm

Experiment-576-Extended Depth of Focus-08.jpg



Experiment-577-Extended Depth of Focus-09 (1).jpg


_________________
alexandrupintilioaie(AT)gmail.com


Top
profilo
 Oggetto del messaggio: Re: Ptinus sp.
MessaggioInviato: 27/01/2023, 20:12 
 

Iscritto il: 10/07/2010, 14:42
Messaggi: 4844
Nome: Giuseppe Pace
Sembrerebbe una femmina di:
Ptinus (Ptinus) calcaratus Kiesenwetter, 1877.

Ciao
Giuseppe


Top
profilo
 Oggetto del messaggio: Re: Ptinus sp.
MessaggioInviato: 28/01/2023, 9:37 
Avatar utente

Iscritto il: 31/08/2010, 7:16
Messaggi: 3041
Località: Romania
Nome: Pintilioaie Alexandru Mihai
Thanks! If you need any other pictures with the specimen, to be 100% of the identification, please let me know :hi: :hi:

_________________
alexandrupintilioaie(AT)gmail.com


Top
profilo
Visualizza ultimi messaggi:  Ordina per  
nuovo argomento
rispondi
Pagina 1 di 1 [ 3 messaggi ]

Tutti gli orari sono UTC + 1 ora [ ora legale ]


Chi c’è in linea

Visitano il forum: Nessuno e 0 ospiti


Non puoi aprire nuovi argomenti
Non puoi rispondere negli argomenti
Non puoi modificare i tuoi messaggi
Non puoi cancellare i tuoi messaggi
Non puoi inviare allegati

Cerca per:
Vai a: