Benvenuto Ospite

Forum Entomologi Italiani

www.entomologiitaliani.net/forum
 
Oggi è 16/01/2026, 7:49

Tutti gli orari sono UTC + 1 ora [ ora legale ]

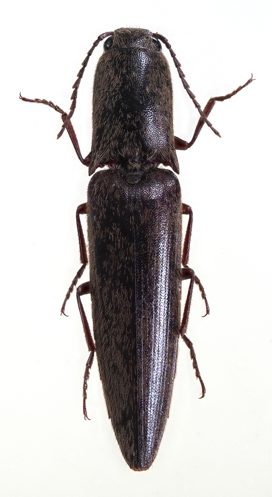
Aphanobius sp. - Elateridae

15.VI.2023 - MALESIA - EE, Babagon


nuovo argomento
rispondi
Pagina 1 di 1 [ 3 messaggi ]
Autore Messaggio
 Oggetto del messaggio: Aphanobius sp. - Elateridae
MessaggioInviato: 03/11/2023, 11:50 
 

Iscritto il: 06/08/2015, 9:33
Messaggi: 83
Nome: Michel GYMENT
For this one, I am somewhat ashamed, because I have no clue to propose. :roll:


Dos.jpg

Top
profilo
 Oggetto del messaggio: Re: Elateridae from Borneo
MessaggioInviato: 03/11/2023, 21:20 
Avatar utente

Iscritto il: 24/09/2009, 20:40
Messaggi: 1953
Nome: Giuseppe Platia
Aphanobius sp. (only one species is recorded from Borneo, longithorax (Wiedemann)!

:hi: :hi:


Top
profilo
 Oggetto del messaggio: Re: Elateridae from Borneo
MessaggioInviato: 03/11/2023, 21:44 
 

Iscritto il: 06/08/2015, 9:33
Messaggi: 83
Nome: Michel GYMENT
Great ! Many thanks :hi:


Top
profilo
Visualizza ultimi messaggi:  Ordina per  
nuovo argomento
rispondi
Pagina 1 di 1 [ 3 messaggi ]

Tutti gli orari sono UTC + 1 ora [ ora legale ]


Chi c’è in linea

Visitano il forum: Nessuno e 0 ospiti


Non puoi aprire nuovi argomenti
Non puoi rispondere negli argomenti
Non puoi modificare i tuoi messaggi
Non puoi cancellare i tuoi messaggi
Non puoi inviare allegati

Cerca per:
Vai a:  
cron