Benvenuto Ospite

Forum Entomologi Italiani

www.entomologiitaliani.net/forum
 
Oggi è 22/04/2026, 22:59

Tutti gli orari sono UTC + 1 ora [ ora legale ]

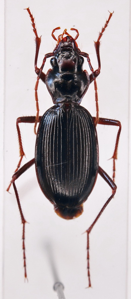
Nebria sp. (cf.) - Carabidae

4.VII.2024 - TURCHIA - EE, Mount Ararat


nuovo argomento
rispondi
Pagina 1 di 1 [ 3 messaggi ]
Autore Messaggio
 Oggetto del messaggio: Nebria sp. (cf.) - Carabidae
MessaggioInviato: 17/08/2024, 4:23 
Avatar utente

Iscritto il: 24/07/2014, 20:03
Messaggi: 71
Località: Armenia
Nome: Vahe Martirosyan
Hello,
Any ideas about this carabid? I think it is Deltomerus sp. but I am not sure. Any input would be greatly appreciated.
Was found near a snow line at height 3800 m.


IMG_6193.JPG


_________________
Vahe Martirosyan
Top
profilo
 Oggetto del messaggio: Re: Carabidae sp.
MessaggioInviato: 14/09/2024, 22:43 
 

Iscritto il: 25/01/2012, 21:39
Messaggi: 496
Località: athens, greece
Nome: Kakiopoulos George
It belongs to the genus Nebria, to my sense.
Probably Nebria (s. str.) sp.
But the Turkish fauna in this genus, is very difficult.
:hi: :hi:
George


Top
profilo
 Oggetto del messaggio: Re: Nebria sp. (cf.) - Carabidae
MessaggioInviato: 17/09/2024, 3:31 
Avatar utente

Iscritto il: 24/07/2014, 20:03
Messaggi: 71
Località: Armenia
Nome: Vahe Martirosyan
Thank you, George!

_________________
Vahe Martirosyan


Top
profilo
Visualizza ultimi messaggi:  Ordina per  
nuovo argomento
rispondi
Pagina 1 di 1 [ 3 messaggi ]

Tutti gli orari sono UTC + 1 ora [ ora legale ]


Chi c’è in linea

Visitano il forum: Nessuno e 1 ospite


Non puoi aprire nuovi argomenti
Non puoi rispondere negli argomenti
Non puoi modificare i tuoi messaggi
Non puoi cancellare i tuoi messaggi
Non puoi inviare allegati

Cerca per:
Vai a: