Benvenuto Ospite

Forum Entomologi Italiani

www.entomologiitaliani.net/forum
 
Oggi è 13/04/2026, 13:49

Tutti gli orari sono UTC + 1 ora [ ora legale ]

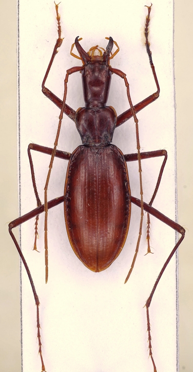
Troglopatrobus zhouchaoi Deuve, He & Tian, 2020 - Carabidae

IV.2023 - CINA - EE, Sichuan prov, Lianhuandong cave


nuovo argomento
rispondi
Pagina 1 di 1 [ 6 messaggi ]
Autore Messaggio
MessaggioInviato: 02/12/2024, 12:53 
Avatar utente

Iscritto il: 06/02/2009, 9:03
Messaggi: 6379
Località: Bubano di Mordano (Bologna)
Nome: Augusto Degiovanni
Bestia stupenda !!!
Dimensioni: 14 mm
tn_Troglopatrobus zhouchaoi Deuve, He & Tian, 2020.jpg


_________________
CIAO :hi: Augusto Degiovanni

http://anthicidaeecarabidae.altervista.org


Top
profilo
MessaggioInviato: 02/12/2024, 14:21 
Avatar utente

Iscritto il: 25/05/2011, 22:20
Messaggi: 555
Località: MILANO
Nome: FABIO SERENI
Che meraviglia.....
:hi:
Fabio

_________________
Fabio Sereni


Top
profilo
MessaggioInviato: 02/12/2024, 17:34 
Avatar utente

Iscritto il: 06/01/2021, 21:31
Messaggi: 148
Località: Fiorano Modenese
Nome: Matteo Remigio
me la facesti già vedere in foto, ma ogni volta che ricompare non posso che rimanere meravigliato e stupito!! che meraviglia Augusto :lov3: :lov3:

ps. non è che me ne prenderesti un paio in cambio di un abbraccio? :lol: :lol:

_________________
solo chi è stupido non ha paura
~Fabri Fibra

Matteo


Top
profilo
MessaggioInviato: 03/12/2024, 11:16 
Avatar utente

Iscritto il: 19/06/2012, 14:35
Messaggi: 5666
Località: Alfonsine (RA)
Nome: Marco Villani
Stupendo :o Di Trechini troglobi ce ne sono tanti, ma tra i Patrobini questo è veramente unico.


Top
profilo
MessaggioInviato: 03/12/2024, 15:07 
Avatar utente

Iscritto il: 06/02/2009, 9:03
Messaggi: 6379
Località: Bubano di Mordano (Bologna)
Nome: Augusto Degiovanni
Matteo Remigio 01 ha scritto:
me la facesti già vedere in foto, ma ogni volta che ricompare non posso che rimanere meravigliato e stupito!! che meraviglia Augusto :lov3: :lov3:

ps. non è che me ne prenderesti un paio in cambio di un abbraccio? :lol: :lol:


Se hai 1000 euro da spendere............... :gh:

_________________
CIAO :hi: Augusto Degiovanni

http://anthicidaeecarabidae.altervista.org


Top
profilo
MessaggioInviato: 03/12/2024, 18:16 
Avatar utente

Iscritto il: 06/01/2021, 21:31
Messaggi: 148
Località: Fiorano Modenese
Nome: Matteo Remigio
Notoxus59 ha scritto:
Se hai 1000 euro da spendere............... :gh:

se vuoi all'abbraccio aggiungo un bacetto :lol:

scherzi a parte, mi sono recuperato la pubblicazione ed è davvero bella anche quella! c'è pure una foto in altissima definizione della bestia viva

_________________
solo chi è stupido non ha paura
~Fabri Fibra

Matteo


Top
profilo
Visualizza ultimi messaggi:  Ordina per  
nuovo argomento
rispondi
Pagina 1 di 1 [ 6 messaggi ]

Tutti gli orari sono UTC + 1 ora [ ora legale ]


Chi c’è in linea

Visitano il forum: Nessuno e 31 ospiti


Non puoi aprire nuovi argomenti
Non puoi rispondere negli argomenti
Non puoi modificare i tuoi messaggi
Non puoi cancellare i tuoi messaggi
Non puoi inviare allegati

Cerca per:
Vai a: