Benvenuto Ospite

Forum Entomologi Italiani

www.entomologiitaliani.net/forum
 
Oggi è 26/01/2026, 5:23

Tutti gli orari sono UTC + 1 ora [ ora legale ]

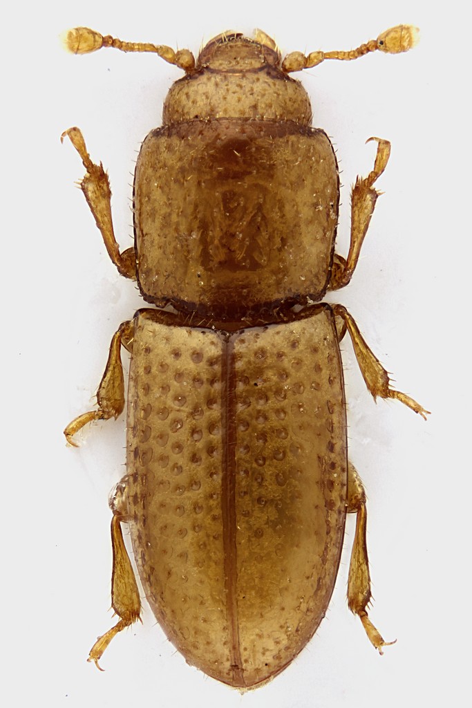
Anommatus (Anommatus) diecki Reitter, 1875 - Teredidae Anommatinae

15.XI.2012 - ITALIA - Lazio - RM, Roma, Via di Settebagni


nuovo argomento
rispondi
Pagina 1 di 1 [ 6 messaggi ]
Autore Messaggio
MessaggioInviato: 18/11/2012, 21:54 
Avatar utente

Iscritto il: 30/12/2009, 22:20
Messaggi: 31564
Località: Roma
Nome: Maurizio Gigli
Nel terreno superficiale in una piccola pioppeta lungo un fossetto.
Dopo quello preso al Bosco di Manziana (Rm) l'anno scorso, sempre a novembre, è la prima volta che ritrovo questi insetti. Stavolta proprio a Roma.

Anommatus sp. - Bothrideridae

Lazio, Roma, Via di Settebagni, 15.XI.2012, M. Gigli legit

1,55 mm
Anommatus_Via_di_Settebagni_14-XI-2012_1,55mm_grey.jpg


_________________
Maurizio Gigli
http://utenti.romascuola.net/bups
http://bup.xoom.it/


Top
profilo
MessaggioInviato: 19/11/2012, 0:09 
 

Iscritto il: 21/09/2009, 9:34
Messaggi: 1535
Località: Padova
Nome: Gianfranco Salvato
Caro Maurizio

A vista mi pare il duodecimstriatus ma (come ti ho già chiesto nel messaggio precedente) se puoi tienimene qualcuno.
Bella foto!
Ciao
Gianfranco


Top
profilo
MessaggioInviato: 19/11/2012, 1:05 
Avatar utente

Iscritto il: 30/12/2009, 22:20
Messaggi: 31564
Località: Roma
Nome: Maurizio Gigli
Stavolta ne ho trovati due. Purtroppo mentre preparavo l'altro mi è scappato una starnuto, e con lo spillo ho spezzato una tibia anteriore, anche se l'ho incollata. Comunque li ho presi a 5 minuti da casa, perciò ci tornerò in settimana, se possibile, per vedere se riesco a prenderne una serietta.

Vorrei provare a rifotografarlo, perchè ho usato un diffusore sbagliato, e il risultato mi piace poco.

_________________
Maurizio Gigli
http://utenti.romascuola.net/bups
http://bup.xoom.it/


Top
profilo
MessaggioInviato: 19/11/2012, 15:43 
 

Iscritto il: 21/09/2009, 9:34
Messaggi: 1535
Località: Padova
Nome: Gianfranco Salvato
Julodis ha scritto:
con lo spillo ho spezzato una tibia anteriore, anche se l'ho incollata. .



Caro Maurizio

A me vanno bene anche se danneggiati. Mi interessa innanzi tutto la località.
Ciao
Gianfranco


Top
profilo
MessaggioInviato: 19/11/2012, 16:03 
Avatar utente

Iscritto il: 30/12/2009, 22:20
Messaggi: 31564
Località: Roma
Nome: Maurizio Gigli
Ok, ma se riesco a trovarne una serie, è meglio. Voglio provare col lavaggio del terreno, tanto lì vicino c'è un fossetto da cui potrei prendere l'acqua. E magari ci trovo anche qualche altra cosa.

_________________
Maurizio Gigli
http://utenti.romascuola.net/bups
http://bup.xoom.it/


Top
profilo
MessaggioInviato: 26/11/2025, 17:31 
Avatar utente

Iscritto il: 19/06/2012, 14:35
Messaggi: 5661
Località: Alfonsine (RA)
Nome: Marco Villani
Si tratta di Anommatus (Anommatus) diecki Reitter, 1875. E' specie partenogenetica, facilmente riconoscibile per il margine posteriore del pronoto nettamente inciso prima degli angoli. Tra le specie dell'Italia peninsulare è di gran lunga la più comune e diffusa. Risulta già nota di una località prossima: Lunghezza, nella periferia di Roma.
:hi:


Top
profilo
Visualizza ultimi messaggi:  Ordina per  
nuovo argomento
rispondi
Pagina 1 di 1 [ 6 messaggi ]

Tutti gli orari sono UTC + 1 ora [ ora legale ]


Chi c’è in linea

Visitano il forum: Nessuno e 0 ospiti


Non puoi aprire nuovi argomenti
Non puoi rispondere negli argomenti
Non puoi modificare i tuoi messaggi
Non puoi cancellare i tuoi messaggi
Non puoi inviare allegati

Cerca per:
Vai a:  
cron