Benvenuto Ospite

Forum Entomologi Italiani

www.entomologiitaliani.net/forum
 
Oggi è 26/12/2025, 4:22

Tutti gli orari sono UTC + 1 ora [ ora legale ]

Stenosis (Stenosis) sardoa sardoa (Küster, 1848) - Tenebrionidae Pimeliinae Stenosini

SPAGNA - EE, Fraga


nuovo argomento
rispondi
Pagina 1 di 1 [ 4 messaggi ]
Autore Messaggio
MessaggioInviato: 22/08/2010, 18:29 
Avatar utente

Iscritto il: 26/10/2009, 14:34
Messaggi: 146
Località: POLSKA
Nome: "Rudy" Christopher
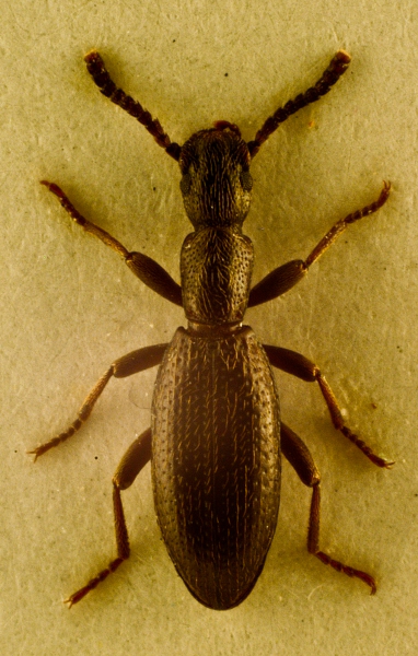
Spain, Fraga
6 mm


DSC_4304_382x600.jpg

Top
profilo
 Oggetto del messaggio: Re: Tenebrionidae, Spain
MessaggioInviato: 22/08/2010, 19:25 
Avatar utente

Iscritto il: 23/06/2010, 11:11
Messaggi: 2784
Località: Cagliari
Nome: Gianpaolo Ruzzante
Anticipo Piero :hp:
Stenosis sp.
speriamo bene

Ciao :hi:


Top
profilo
 Oggetto del messaggio: Re: Tenebrionidae, Spain
MessaggioInviato: 22/08/2010, 21:34 
Avatar utente

Iscritto il: 05/02/2009, 17:47
Messaggi: 7252
Località: Cagliari
Nome: Piero Leo
ruzzpa ha scritto:
Anticipo Piero :hp:
Stenosis sp.
speriamo bene
:ok: Esatto Gianpaolo. Un genere, come già detto altrove, piuttosto intricato.
In questo caso però le cose sono abbastanza semplici; con questa scultura del pronoto (ampi margini laterali privi di punti), unita alla provenienza (Spagna nord-orientale), c'è poco da sbagliare:
Stenosis (Stenosis) sardoa sardoa (Küster, 1848) - Tenebrionidae Pimeliinae Stenosini

:) Ciao
Piero


Top
profilo
MessaggioInviato: 22/08/2010, 21:41 
Avatar utente

Iscritto il: 26/10/2009, 14:34
Messaggi: 146
Località: POLSKA
Nome: "Rudy" Christopher
You are great. Thank you very much Piero. :ok:


Top
profilo
Visualizza ultimi messaggi:  Ordina per  
nuovo argomento
rispondi
Pagina 1 di 1 [ 4 messaggi ]

Tutti gli orari sono UTC + 1 ora [ ora legale ]


Chi c’è in linea

Visitano il forum: Nessuno e 0 ospiti


Non puoi aprire nuovi argomenti
Non puoi rispondere negli argomenti
Non puoi modificare i tuoi messaggi
Non puoi cancellare i tuoi messaggi
Non puoi inviare allegati

Cerca per:
Vai a:  
cron