Benvenuto Ospite

Forum Entomologi Italiani

www.entomologiitaliani.net/forum
 
Oggi è 27/05/2026, 21:04

Tutti gli orari sono UTC + 1 ora [ ora legale ]

Oncopsis cf. flavicollis (Linnaeus, 1761) - Cicadellidae, Macropsinae - Val Sarentino (BZ)

VIII.2010 - ITALIA - Trentino-Alto Adige - BZ, Val Sarentino


nuovo argomento
rispondi
Pagina 1 di 1 [ 6 messaggi ]
Autore Messaggio
MessaggioInviato: 27/08/2010, 15:52 
Avatar utente

Iscritto il: 05/02/2009, 17:25
Messaggi: 4894
Località: Zola Predosa (BO)
Nome: Loris Colacurcio
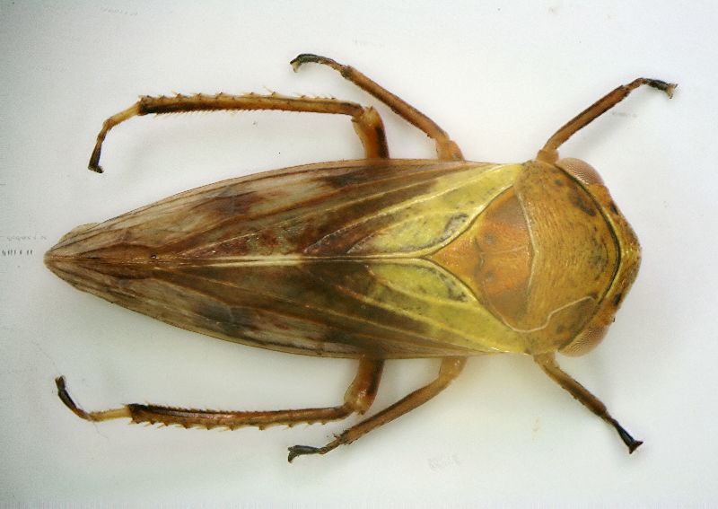
Cicaletta 01 - Val Sarentino (BZ)


Come già detto in altro post, ho cercato cicalette in ogni dove per il nostro Danilo...e non si dica che non penso agli amici ! 8-)

Questa piccolina dalla livrea particolarmente elegante, come per la stragrande maggioranza di queste bestiole l'ho trovata nel retino da sfalcio.

Val Sarentino (BZ), agosto 2010
Non specifico la località esatta.....perchè ho un tremendo attacco di "becchisia" (leggasi non me lo ricordo più). Sarò più preciso al più presto (quando torno a casa) :dead:

Z cicaletta 03.JPG


_________________
Loris


Top
profilo
 Oggetto del messaggio: Re: Cicaletta 01 - Val Sarentino (BZ)
MessaggioInviato: 27/08/2010, 17:12 
 

Iscritto il: 30/06/2009, 15:17
Messaggi: 331
Località: Bovolone (VR)
Nome: Francesco Sanna
In attesa di Danilo dico Oncopsis sp. - Cicadellidae Macropsinae.
Potresti indicare le dimensioni e inserire una foto fatta lateralmente, per piacere? :oops:

Ciao
Francesco


Top
profilo
 Oggetto del messaggio: Re: Cicaletta 01 - Val Sarentino (BZ)
MessaggioInviato: 27/08/2010, 21:43 
Avatar utente

Iscritto il: 06/02/2009, 9:15
Messaggi: 1468
Località: Vigevano PV
Nome: Danilo Mario Piccolino
;) Sicuramente sottofamiglia Macropsinae, Loris vedi se ti riesce di inserire una foto frontale, nei Macropsinae è utile osservare anche il disegno della faccia.

Grazie del contributo....ho passato due giorni in montagna in Val Vigezzo (VB) e non sono riuscito a trovare nessun rappresentante della sottofamiglia Macropsinae....è proprio vero che quando uno cerca qualcosa di specifico in una località difficilmente la trova al primo colpo.

:hi:

_________________
Danilo


Top
profilo
 Oggetto del messaggio: Re: Cicaletta 01 - Val Sarentino (BZ)
MessaggioInviato: 28/08/2010, 17:26 
Avatar utente

Iscritto il: 05/02/2009, 17:25
Messaggi: 4894
Località: Zola Predosa (BO)
Nome: Loris Colacurcio
Eccomi qua... :hi:

aZ cicaletta 03b.JPG


aZ cicaletta 03c.JPG


_________________
Loris


Top
profilo
 Oggetto del messaggio: Re: Cicaletta 01 - Val Sarentino (BZ)
MessaggioInviato: 29/08/2010, 0:09 
 

Iscritto il: 30/06/2009, 15:17
Messaggi: 331
Località: Bovolone (VR)
Nome: Francesco Sanna
Non riesci a fare una foto in cui si veda tutta la faccia/cicalina? :oops:
Comunque (almeno per me) dovrebbe essere un'Oncopsis carpini (+) o un'Oncopsis flavicollis (-).

Ciao
Francesco


Top
profilo
MessaggioInviato: 29/10/2010, 0:26 
Avatar utente

Iscritto il: 06/02/2009, 9:15
Messaggi: 1468
Località: Vigevano PV
Nome: Danilo Mario Piccolino
;) Come sempre Francesco ha visto giusto, ricontrollando il post con le ultime immagini di Loris possiamo concludere che ci troviamo di fronte ad una femmina di Oncopsis cf. flavicollis (Linnaeus, 1761)

I Macropsinae presentano notevoli problemi di identificazione, sono molto variabili all'interno delle specie sia come colorazione che come strutture degli edeagi e portano notevoli grattacapi anche sotto allo stereomicroscopio, al punto che anche per identificarli si è ricorso all'analisi delle emissioni sonore.

Un pò di biologia: il flavicollis è presente in ambienti forestali su Betula pendula o pubescens


Un grazie di cuore a Loris ed a Francesco.

:hi:

_________________
Danilo


Top
profilo
Visualizza ultimi messaggi:  Ordina per  
nuovo argomento
rispondi
Pagina 1 di 1 [ 6 messaggi ]

Tutti gli orari sono UTC + 1 ora [ ora legale ]


Chi c’è in linea

Visitano il forum: Nessuno e 1 ospite


Non puoi aprire nuovi argomenti
Non puoi rispondere negli argomenti
Non puoi modificare i tuoi messaggi
Non puoi cancellare i tuoi messaggi
Non puoi inviare allegati

Cerca per:
Vai a: