Benvenuto Ospite

Forum Entomologi Italiani

www.entomologiitaliani.net/forum
 
Oggi è 29/04/2026, 18:57

Tutti gli orari sono UTC + 1 ora [ ora legale ]

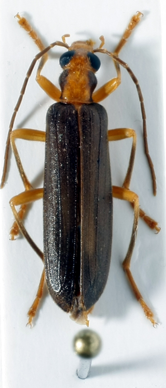
Nacerdes (Xanthochroa) carniolica carniolica (Gistl, 1834) Dettagli della specie

1.VIII.2010 - ITALIA - Emilia-Romagna - MO, Rocca Malatina 600 m


nuovo argomento
rispondi
Pagina 1 di 1 [ 7 messaggi ]
Autore Messaggio
MessaggioInviato: 02/09/2010, 20:07 
Avatar utente

Iscritto il: 09/06/2009, 13:19
Messaggi: 1229
Località: Modena
Nome: Omar Pacchioni
Località Rocca Malatina (MO) 600 m slm Emilia Romagna - 1 agosto 2010

Secondo me questo non è un cerambiciade


IMG_2231.jpg


_________________
..OOOO.......OOO.....OO......OOO......OOOO
OO.....OO....OO..O.O..O....OO....O....OO....O
OO.....OO....OO....O...O....OOOOO....OOOO
..OOOO.......OO.........O....OO....O....OO....O
Top
profilo
 Oggetto del messaggio: Re: Emilia Romagna
MessaggioInviato: 02/09/2010, 20:32 
Avatar utente

Iscritto il: 11/11/2009, 20:54
Messaggi: 4857
Località: Pesaro
Nome: Marco Paglialunga
Già....:no:
Xanthochroa carniolica (Gisti, 1834) Oedemeridae

_________________
O voi ch'avete li 'ntelletti sani, mirate la dottrina che s'asconde sotto 'l velame de li versi strani
(InfeRRno - canto IX - vv. 61-63)


Top
profilo
 Oggetto del messaggio: Re: Emilia Romagna
MessaggioInviato: 02/09/2010, 21:18 
Avatar utente

Iscritto il: 05/09/2009, 7:56
Messaggi: 3445
Località: Cesena
Nome: Gianfranco Sama
E' comunque interessante :hp:

_________________
Gianfranco Sama

"Benedetto colui che ti aiuta a correggere i tuoi errori invece di scagliarteli contro"
___________________________________
Gershom Sholem


Top
profilo
 Oggetto del messaggio: Re: Emilia Romagna
MessaggioInviato: 02/09/2010, 21:23 
Avatar utente

Iscritto il: 09/06/2009, 13:19
Messaggi: 1229
Località: Modena
Nome: Omar Pacchioni
perchè Gianfranco dici che è interessante?

_________________
..OOOO.......OOO.....OO......OOO......OOOO
OO.....OO....OO..O.O..O....OO....O....OO....O
OO.....OO....OO....O...O....OOOOO....OOOO
..OOOO.......OO.........O....OO....O....OO....O


Top
profilo
 Oggetto del messaggio: Re: Emilia Romagna
MessaggioInviato: 02/09/2010, 23:29 
Avatar utente

Iscritto il: 21/05/2009, 14:59
Messaggi: 6996
Località: Parigi
Nome: Riccardo Poloni
Con le trappole ne ho trovate ma non ne ho tenute tranne forse una o due :cry: :cry:

_________________
Riccardo Poloni
La dignità degli elementi
la libertà della poesia,
al di là dei tradimenti degli uomini
è magia, è magia, è magia...
Negrita, Rotolando verso sud


Top
profilo
MessaggioInviato: 03/09/2010, 9:14 
Avatar utente

Iscritto il: 05/09/2009, 7:56
Messaggi: 3445
Località: Cesena
Nome: Gianfranco Sama
Non so se sia la Nacerdes (Xanthochroa) carniolica Gistl (bisognerebbe sottoporla a identificazione certa), ma, se è questa, ha una distribuzione piuttosto limitata lungo l'Appennino. Io l'ho allevata da Abies alba e questo (la pianta ospite) potrebbe spiegarne la distribuzione puntiforme in tutto l'areale di distribuzione. Ricordo che esistono tre ssp.: oletre alla ssp. tipica, anche pelopennesica Svihla, 1993 e atlantica (Allemand, 1993).
Bisognerebbe recuperare le revisioni di Svihla (1991) e di Allemand (1993). Qualche neofita degli Oedemeridae potrebbe farsi avanti e illuminarci :mrgreen:
Vedi anche http://www.sea-entomologia.org/PDF/ZAPA ... 03-035.pdf

_________________
Gianfranco Sama

"Benedetto colui che ti aiuta a correggere i tuoi errori invece di scagliarteli contro"
___________________________________
Gershom Sholem


Top
profilo
MessaggioInviato: 03/09/2010, 9:26 
Avatar utente

Iscritto il: 17/02/2009, 0:05
Messaggi: 8524
Località: Isola d'Elba - Arcipelago Toscano
Nome: Leonardo Forbicioni
Se a qualcuno interessano ne ho moltissimi esemplari (un centinaio), conservati in alcool, catturati con le trappole dolci, su Leccio.
Se qualcuno se le vuole studiare, gliele passo ben volentieri.......per di più sono Elbane!!! :gh:

_________________
"Stay hungry, stay foolish".
Steve Jobs, 2005
___________________
jjuniper8(at)gmail.com
Twitter: @weevil_forbix
cell. 339/5275910
___________________


Top
profilo
Visualizza ultimi messaggi:  Ordina per  
nuovo argomento
rispondi
Pagina 1 di 1 [ 7 messaggi ]

Tutti gli orari sono UTC + 1 ora [ ora legale ]


Chi c’è in linea

Visitano il forum: Nessuno e 0 ospiti


Non puoi aprire nuovi argomenti
Non puoi rispondere negli argomenti
Non puoi modificare i tuoi messaggi
Non puoi cancellare i tuoi messaggi
Non puoi inviare allegati

Cerca per:
Vai a: