Benvenuto Ospite

Forum Entomologi Italiani

www.entomologiitaliani.net/forum
 
Oggi è 23/03/2026, 19:16

Tutti gli orari sono UTC + 1 ora [ ora legale ]

Stenus flavipes Stephens, 1833 (cf.) - Staphylinidae

7.IX.2010 - ITALIA - Toscana - LI, Capoliveri (LI) - Piano di Mola - Sfalcio su incolto.


nuovo argomento
rispondi
Pagina 1 di 1 [ 3 messaggi ]
Autore Messaggio
MessaggioInviato: 10/09/2010, 0:24 
Avatar utente

Iscritto il: 17/02/2009, 0:05
Messaggi: 8524
Località: Isola d'Elba - Arcipelago Toscano
Nome: Leonardo Forbicioni
07.IX.2010 - Capoliveri (LI) - Piano di Mola - Sfalcio su incolto.
Staphylinidae Stenus sp1.JPG


_________________
"Stay hungry, stay foolish".
Steve Jobs, 2005
___________________
jjuniper8(at)gmail.com
Twitter: @weevil_forbix
cell. 339/5275910
___________________


Top
profilo
MessaggioInviato: 10/09/2010, 7:39 
Avatar utente

Iscritto il: 09/11/2009, 14:12
Messaggi: 5196
Località: Hradec Kralove,Czech republik
Nome: Jan Matějíček
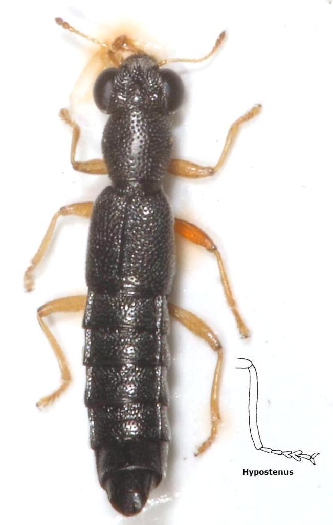
Non determinare nella figura Stenus (Hemistenus,Hypostenus) Credo che Hypostenus


Staphylinidae%20Stenus%20sp1[1].JPG

Bez názvu - Kopie.jpg


_________________
Research Fields
Taxonomy, ecology, biomonitoring , faunistic of Staphylinidae
Top
profilo
MessaggioInviato: 14/10/2010, 17:53 
 

Iscritto il: 18/02/2010, 18:58
Messaggi: 81
Località: Absurdistan
Nome: liptaster
Stenus flavipes Steph.

To Honza: you should have known this one.


Top
profilo
Visualizza ultimi messaggi:  Ordina per  
nuovo argomento
rispondi
Pagina 1 di 1 [ 3 messaggi ]

Tutti gli orari sono UTC + 1 ora [ ora legale ]


Chi c’è in linea

Visitano il forum: Nessuno e 3 ospiti


Non puoi aprire nuovi argomenti
Non puoi rispondere negli argomenti
Non puoi modificare i tuoi messaggi
Non puoi cancellare i tuoi messaggi
Non puoi inviare allegati

Cerca per:
Vai a: