Benvenuto Ospite

Forum Entomologi Italiani

www.entomologiitaliani.net/forum
 
Oggi è 26/12/2025, 9:05

Tutti gli orari sono UTC + 1 ora [ ora legale ]

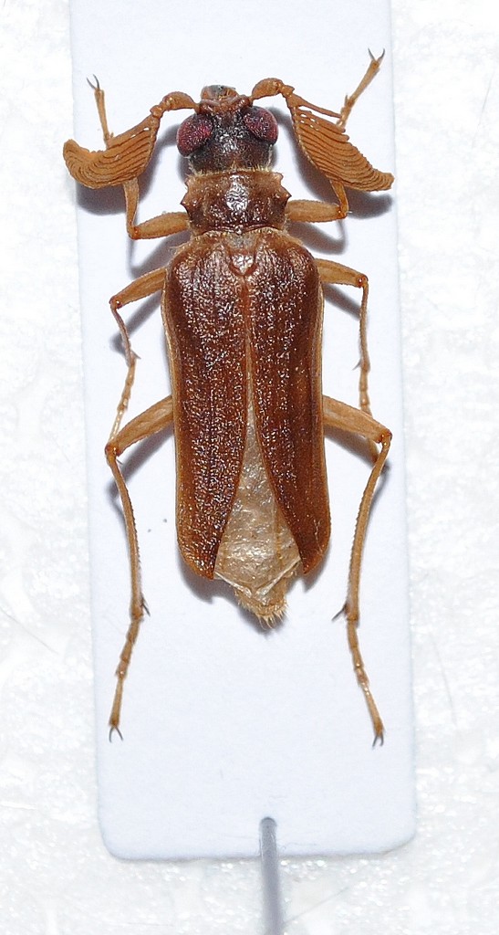
Microarthron komarowi (Dohrn, 1885) - Cerambycidae

7.IX.2002 - UZBEKISTAN - EE, Katta-Kum sands, Dzhar-Kurgarv


nuovo argomento
rispondi
Pagina 1 di 1 [ 2 messaggi ]
Autore Messaggio
MessaggioInviato: 14/11/2010, 1:14 
Avatar utente

Iscritto il: 16/05/2010, 14:26
Messaggi: 761
Località: United Kingdom
Nome: Zdenko Lucbauer
another small specie - 15mm

Uzbekistan, Katta-Kum sands, Dzhar-Kurgarv, 7.9.2002

whats right komarovi or komarowi ?


russia 167.JPG

Top
profilo
MessaggioInviato: 14/11/2010, 9:18 
Avatar utente

Iscritto il: 05/09/2009, 7:56
Messaggi: 3445
Località: Cesena
Nome: Gianfranco Sama
Microarthron komarowi (Dohrn, 1885)
According to Danilevsky (in Löbl & Smetana, 2010) :no1:

_________________
Gianfranco Sama

"Benedetto colui che ti aiuta a correggere i tuoi errori invece di scagliarteli contro"
___________________________________
Gershom Sholem


Top
profilo
Visualizza ultimi messaggi:  Ordina per  
nuovo argomento
rispondi
Pagina 1 di 1 [ 2 messaggi ]

Tutti gli orari sono UTC + 1 ora [ ora legale ]


Chi c’è in linea

Visitano il forum: Nessuno e 0 ospiti


Non puoi aprire nuovi argomenti
Non puoi rispondere negli argomenti
Non puoi modificare i tuoi messaggi
Non puoi cancellare i tuoi messaggi
Non puoi inviare allegati

Cerca per:
Vai a:  
cron