| Autore |
Messaggio |
|
Plagionotus
|
Inviato: 22/12/2010, 20:29 |
|
Iscritto il: 21/05/2009, 14:59 Messaggi: 6994 Località: Parigi
Nome: Riccardo Poloni
|
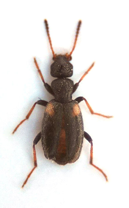
Mentre ero lì che mi crogiolavo al sole e mi abbronzavo passavano degli Anthicidi sulla sabbia, e ho pensato subito ad Augusto  . Gli altri li ho lasciati in alcool a 70° perchè magari bisogna estrarli, ma uno l'ho preparato per postarlo sul forum, anche se la foto fa...fa...fa....  . Purtroppo meglio di così non ho potuto fare. ITALY-SICILIA (AG) Spiaggia Scala dei turchi VIII.2010, Riccardo Poloni legit
_________________ Riccardo Poloni La dignità degli elementi la libertà della poesia, al di là dei tradimenti degli uomini è magia, è magia, è magia... Negrita, Rotolando verso sud
|
|
| Top |
|
 |
|
cosmln
|
Inviato: 22/12/2010, 20:34 |
|
Iscritto il: 26/03/2010, 14:55 Messaggi: 5986 Località: Romania
Nome: Cosmin-Ovidiu Manci
|
|
| Top |
|
 |
|
Plagionotus
|
Inviato: 22/12/2010, 20:36 |
|
Iscritto il: 21/05/2009, 14:59 Messaggi: 6994 Località: Parigi
Nome: Riccardo Poloni
|
|
_________________ Riccardo Poloni La dignità degli elementi la libertà della poesia, al di là dei tradimenti degli uomini è magia, è magia, è magia... Negrita, Rotolando verso sud
|
|
| Top |
|
 |
|
giuseppe55
|
Inviato: 22/12/2010, 20:38 |
|
Iscritto il: 10/07/2010, 14:42 Messaggi: 4807
Nome: Giuseppe Pace
|
|
Grazie alla nuova foto direi trattarsi di Anthicus fenestratus.
Ciao Giuseppe
|
|
| Top |
|
 |
|
StagBeetle
|
Inviato: 22/12/2010, 20:40 |
|
Iscritto il: 10/05/2009, 15:30 Messaggi: 7182 Località: Ancona
Nome: Giacomo Giovagnoli
|
Andrei abbastanza tranquillo su Anthicus fenestratus... Fregato sul tempo! Ciao 
_________________  Giacomo
|
|
| Top |
|
 |
|
Plagionotus
|
Inviato: 22/12/2010, 20:41 |
|
Iscritto il: 21/05/2009, 14:59 Messaggi: 6994 Località: Parigi
Nome: Riccardo Poloni
|
|
Grazie, immagino sia molto comune....
_________________ Riccardo Poloni La dignità degli elementi la libertà della poesia, al di là dei tradimenti degli uomini è magia, è magia, è magia... Negrita, Rotolando verso sud
|
|
| Top |
|
 |
|
hypotyphlus
|
Inviato: 22/12/2010, 21:19 |
|
Iscritto il: 10/05/2010, 22:31 Messaggi: 4371 Località: Gavorrano (GR)
Nome: marco bastianini
|
cosmln ha scritto: spero che non ti dispiaccia... A me non dispiacerebbe anche che tu ci dicessi come hai fatto, poichè anche le mie foto spesso sono come quella di Riccardo e mi piacerebbe migliorarle come hai fatto tu. Grazie
_________________ Marco"Le foreste a precedere le civiltà, i deserti a seguire."François-René de Chateaubriand
|
|
| Top |
|
 |
|
cosmln
|
Inviato: 22/12/2010, 21:29 |
|
Iscritto il: 26/03/2010, 14:55 Messaggi: 5986 Località: Romania
Nome: Cosmin-Ovidiu Manci
|
hypotyphlus ha scritto: cosmln ha scritto: spero che non ti dispiaccia... A me non dispiacerebbe anche che tu ci dicessi come hai fatto, poichè anche le mie foto spesso sono come quella di Riccardo e mi piacerebbe migliorarle come hai fatto tu. Grazie hihi... OK, but in english (for this was something like 15 second to work): used AdobePhotoshop, open > crop > rotate > CTRL+L (levels) and worked from there first to set the white and then from the slides to have a better contrast/details > used the "patch" tool to remove the dirt > resave and over 
_________________ Cosmin-Ovidiu Manci ********************** cosmln's place - my blogjust insectsDragonflies of Romania
|
|
| Top |
|
 |
|
hypotyphlus
|
Inviato: 22/12/2010, 21:33 |
|
Iscritto il: 10/05/2010, 22:31 Messaggi: 4371 Località: Gavorrano (GR)
Nome: marco bastianini
|
Plagionotus ha scritto: Mentre ero lì che mi crogiolavo al sole e mi abbronzavo Senti un pò Riccardo, l'hai preso mentre stavi in spiaggia e vorresti pure che fosse una specie interessante  .Non hai nessun rispetto per chi si infila in grotta con il fango fino agli occhi nella speranza di trovare una bestiolina poco comune  Nel frattempo è arrivata anche la risposta di Cosmin;molte grazie, ora traduco e cerco di mettere in atto i graditissimi consigli 
_________________ Marco"Le foreste a precedere le civiltà, i deserti a seguire."François-René de Chateaubriand
|
|
| Top |
|
 |
|
Plagionotus
|
Inviato: 23/12/2010, 18:21 |
|
Iscritto il: 21/05/2009, 14:59 Messaggi: 6994 Località: Parigi
Nome: Riccardo Poloni
|
|
_________________ Riccardo Poloni La dignità degli elementi la libertà della poesia, al di là dei tradimenti degli uomini è magia, è magia, è magia... Negrita, Rotolando verso sud
|
|
| Top |
|
 |
|
hypotyphlus
|
Inviato: 23/12/2010, 21:40 |
|
Iscritto il: 10/05/2010, 22:31 Messaggi: 4371 Località: Gavorrano (GR)
Nome: marco bastianini
|
Plagionotus ha scritto: Bè, considerato che c'è qualcuno che le cose interessanti le trova sotto casa Si, in effetti un pò di ragione ce l'hai;chissà se ad un altro Marco fischiano le orecchie. 
_________________ Marco"Le foreste a precedere le civiltà, i deserti a seguire."François-René de Chateaubriand
|
|
| Top |
|
 |
|
Notoxus59
|
Inviato: 23/12/2010, 22:32 |
|
Iscritto il: 06/02/2009, 9:03 Messaggi: 6373 Località: Bubano di Mordano (Bologna)
Nome: Augusto Degiovanni
|
StagBeetle ha scritto: Andrei abbastanza tranquillo su Anthicus fenestratus... Fregato sul tempo!  Ciao  Sicuramente Plagionotus ha scritto: Grazie, immagino sia molto comune.... In effetti si 
|
|
| Top |
|
 |
|