| Autore |
Messaggio |
|
Maw89
|
Inviato: 30/12/2010, 19:37 |
|
Iscritto il: 08/06/2009, 0:06 Messaggi: 3415 Località: Feltre(BL)
Nome: Nicola Dal Zotto
|
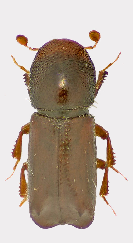
Altra delle prove, anche qui, se qualcuno lo vuole....
_________________ Nicola Dal Zotto
|
|
| Top |
|
 |
|
Julodis
|
Inviato: 30/12/2010, 20:16 |
|
Iscritto il: 30/12/2009, 22:20 Messaggi: 31564 Località: Roma
Nome: Maurizio Gigli
|
|
Devo dire che col tuo nuovo microscopio vengono delle belle foto. Peccato che in questo caso tu abbia smesso troppo presto di scattare, e il dorso sia rimasto fuori fuoco. Le prossime ti verranno sicuramente meglio. Vedo che anche col tuo microscopio si manifesta il problema dell'aberrazione cromatica (nota il bordo violaceo al margine posteriore delle elitre), anche se meno che con altri. La foto l'hai scattata con l'esemplare in orizzontale, ossia messo di traverso?
|
|
| Top |
|
 |
|
giuseppe55
|
Inviato: 30/12/2010, 20:18 |
|
Iscritto il: 10/07/2010, 14:42 Messaggi: 4869
Nome: Giuseppe Pace
|
|
Ciao Nicola, si tratta di uno Scolytidae (più recentemente Curculionidae Scolytinae). A "vista" direi Xylocleptes bispinus.
Giuseppe
|
|
| Top |
|
 |
|
Maw89
|
Inviato: 30/12/2010, 20:48 |
|
Iscritto il: 08/06/2009, 0:06 Messaggi: 3415 Località: Feltre(BL)
Nome: Nicola Dal Zotto
|
Julodis ha scritto: Devo dire che col tuo nuovo microscopio vengono delle belle foto. Peccato che in questo caso tu abbia smesso troppo presto di scattare, e il dorso sia rimasto fuori fuoco. Le prossime ti verranno sicuramente meglio. Vedo che anche col tuo microscopio si manifesta il problema dell'aberrazione cromatica (nota il bordo violaceo al margine posteriore delle elitre), anche se meno che con altri. La foto l'hai scattata con l'esemplare in orizzontale, ossia messo di traverso? Grazie!! Si, l'ho scattato in orizzontale, ed il terzo tubo va ad escludere l'oculare dx.
_________________ Nicola Dal Zotto
|
|
| Top |
|
 |
|
Maw89
|
Inviato: 30/12/2010, 20:49 |
|
Iscritto il: 08/06/2009, 0:06 Messaggi: 3415 Località: Feltre(BL)
Nome: Nicola Dal Zotto
|
giuseppe55 ha scritto: Ciao Nicola, si tratta di uno Scolytidae (più recentemente Curculionidae Scolytinae). A "vista" direi Xylocleptes bispinus.
Giuseppe Grazie!!! Nicola
_________________ Nicola Dal Zotto
|
|
| Top |
|
 |
|
Herzog
|
Inviato: 31/12/2010, 10:37 |
|
Iscritto il: 27/02/2009, 19:34 Messaggi: 857 Località: Belluno
Nome: Enzo GATTI
|
Ciao Nicola confermo Xylocleptes bispinus (in questo caso maschio). Specie che si sviluppa nelle Clematis sia spontanee che coltivate Ciao Enzo 
|
|
| Top |
|
 |
|
Maw89
|
Inviato: 02/01/2011, 0:38 |
|
Iscritto il: 08/06/2009, 0:06 Messaggi: 3415 Località: Feltre(BL)
Nome: Nicola Dal Zotto
|
Herzog ha scritto: Ciao Nicola confermo Xylocleptes bispinus (in questo caso maschio). Specie che si sviluppa nelle Clematis sia spontanee che coltivate Ciao Enzo  Grazie Enzo! Visto che è della provincia di BL, questo finisce nel pacchetto dei piccolini di cui non so cosa fare/a chi darli che vi porto quando verrò a trovarvi;) Nicola
_________________ Nicola Dal Zotto
|
|
| Top |
|
 |
|
hpl
|
Inviato: 02/01/2011, 0:41 |
|
Iscritto il: 04/04/2010, 22:20 Messaggi: 1041 Località: S.Pelagio (TS)
Nome: Alessandro Drago
|
giuseppe55 ha scritto: più recentemente Curculionidae Scolytinae O__O  O__O
_________________ - SoNo un PoMpIeRe -
|
|
| Top |
|
 |
|
Herzog
|
Inviato: 02/01/2011, 10:10 |
|
Iscritto il: 27/02/2009, 19:34 Messaggi: 857 Località: Belluno
Nome: Enzo GATTI
|
Maw89 ha scritto: Herzog ha scritto: Ciao Nicola confermo Xylocleptes bispinus (in questo caso maschio). Specie che si sviluppa nelle Clematis sia spontanee che coltivate Ciao Enzo  Grazie Enzo! Visto che è della provincia di BL, questo finisce nel pacchetto dei piccolini di cui non so cosa fare/a chi darli che vi porto quando verrò a trovarvi;) Nicola Grazie Nicola, sempre bene accetto, anche se da noi è una specie di Scolitidae comune. Comunque il tuo dato di raccolta l'ho già inserito tra le segnalazioni di questa specie per la Provincia di Belluno Ciao Enzo 
|
|
| Top |
|
 |
|