Benvenuto Ospite

Forum Entomologi Italiani

www.entomologiitaliani.net/forum
 
Oggi è 26/04/2026, 13:51

Tutti gli orari sono UTC + 1 ora [ ora legale ]

Hemiptera Sternorrhyncha Psylloidea sp. al vaglio

19.I.2011 - ITALIA - Emilia-Romagna - BO, Sasso MArconi - Palazzo Rossi


nuovo argomento
rispondi
Pagina 1 di 1 [ 7 messaggi ]
Autore Messaggio
MessaggioInviato: 20/01/2011, 22:33 
Avatar utente

Iscritto il: 05/02/2009, 17:25
Messaggi: 4894
Località: Zola Predosa (BO)
Nome: Loris Colacurcio
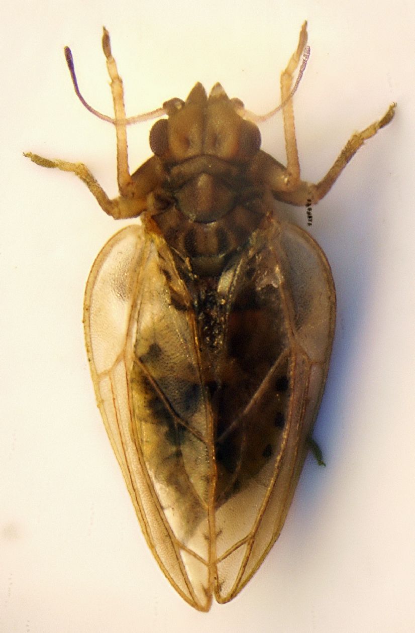
Coso da vaglio ??

Raccolto dopo aver scavato, lavato e setacciato un po' di terreno preso alla base di alcuni pali in cemento.
A prima vista l'avevo scambiato per una normale cicaletta, ma ora non ho proprio idea di cosa possa essere...

La testa, anzi le mandibole, mi ricordano alcuni vecchissimi film di fantascienza con improbabil mostri alieni.

Lunghezza: 2 mm.

Coso 02 2mm.JPG


Coso 03 2mm.JPG


Coso 04 2mm.JPG


Coso 01 2mm.JPG


_________________
Loris


Top
profilo
 Oggetto del messaggio: Re: Coso da vaglio ??
MessaggioInviato: 20/01/2011, 23:16 
Avatar utente

Iscritto il: 06/02/2009, 9:15
Messaggi: 1468
Località: Vigevano PV
Nome: Danilo Mario Piccolino
;) Se non mi sono bevuto il cervello, guardando le venature alari, dovrebbe trattarsi di una psilla.

Hemiptera Sternorrhyncha Psylloidea.

Bella ! :ok:

:hi:

_________________
Danilo


Top
profilo
 Oggetto del messaggio: Re: Coso da vaglio ??
MessaggioInviato: 21/01/2011, 9:25 
Avatar utente

Iscritto il: 05/02/2009, 17:25
Messaggi: 4894
Località: Zola Predosa (BO)
Nome: Loris Colacurcio
Sapevo di poter contare su dite :ok:
Bene, la aggiungo alle tue cicalette....

:hi:

_________________
Loris


Top
profilo
 Oggetto del messaggio: Re: Coso da vaglio ??
MessaggioInviato: 21/01/2011, 10:20 
Avatar utente

Iscritto il: 08/11/2010, 12:40
Messaggi: 1722
Località: Brescia
Nome: Mauro Agosti
Si tratta sicuramemte di uno Psillide :ok:
Le "mandibole" a cui penso ti riferisci sono dei processi chiamati coni frontali :hi:


Top
profilo
 Oggetto del messaggio: Re: Coso da vaglio ??
MessaggioInviato: 21/01/2011, 10:48 
Avatar utente

Iscritto il: 28/05/2009, 16:38
Messaggi: 5090
Nome: luigi lenzini
Ma il rostro non ce l'hanno? Forse, da adulti, non si nutrono, oppure è nascosto.

L'alternativa poteva essere uno psocottero ....., ma non me ne intendo .... :oops:
:hi: luigi


Top
profilo
 Oggetto del messaggio: Re: Coso da vaglio ??
MessaggioInviato: 21/01/2011, 11:04 
Avatar utente

Iscritto il: 08/11/2010, 12:40
Messaggi: 1722
Località: Brescia
Nome: Mauro Agosti
elleelle ha scritto:
Ma il rostro non ce l'hanno? Forse, da adulti, non si nutrono, oppure è nascosto.


Il rostro ce l'hanno eccome e da adulti si nutrono. In particolare negli Sternorryncha non si vede da sopra in quanto la base del rostro è posta fra le coxe delle zampe anteriori ;)


Top
profilo
 Oggetto del messaggio: Re: Coso da vaglio ??
MessaggioInviato: 22/01/2011, 16:42 
Avatar utente

Iscritto il: 06/02/2009, 9:15
Messaggi: 1468
Località: Vigevano PV
Nome: Danilo Mario Piccolino
Loriscola ha scritto:
Sapevo di poter contare su dite :ok:
Bene, la aggiungo alle tue cicalette....

:hi:



;) Gentilissimo come sempre, ma come vedi anche da Brescia abbiamo rinforzi qualificati, ringrazio Mauro.

Ah! naturalmente grazie Loris per l'aggiunta.

:hi:

_________________
Danilo


Top
profilo
Visualizza ultimi messaggi:  Ordina per  
nuovo argomento
rispondi
Pagina 1 di 1 [ 7 messaggi ]

Tutti gli orari sono UTC + 1 ora [ ora legale ]


Chi c’è in linea

Visitano il forum: Nessuno e 0 ospiti


Non puoi aprire nuovi argomenti
Non puoi rispondere negli argomenti
Non puoi modificare i tuoi messaggi
Non puoi cancellare i tuoi messaggi
Non puoi inviare allegati

Cerca per:
Vai a: