Autore |
Messaggio |
Effe Esse
|
Inviato: 25/12/2009, 2:42 |
|
Iscritto il: 17/12/2009, 19:19 Messaggi: 571 Località: Miane (TV)
Nome: Franco Sandel
|
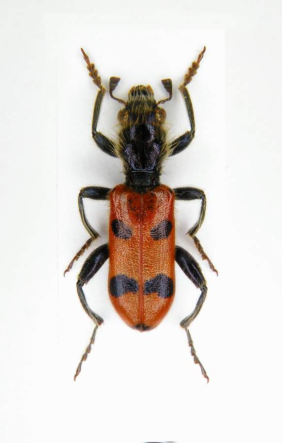
Trichodes sp. 2 raccolto in Turchia, Monte Mut, Isparta Prov. dall' amico Poletti Rolando. Dimensioni 13 mm. Franco Sandel
_________________ Effe Esse
|
|
Top |
|
 |
Enoplium
|
Inviato: 25/12/2009, 19:51 |
|
Iscritto il: 18/06/2009, 16:54 Messaggi: 1093 Località: Casalecchio di Reno (BO)
Nome: Iuri Zappi
|
Questo è facile! Gran bella bestia! Trichodes reichei (Mulsant & Rey, 1863)
|
|
Top |
|
 |
Enoplium
|
Inviato: 25/12/2009, 20:54 |
|
Iscritto il: 18/06/2009, 16:54 Messaggi: 1093 Località: Casalecchio di Reno (BO)
Nome: Iuri Zappi
|
Scusa Franco, non riesco a trovare il monte Mut. Dov'è? Mi puoi dare più o meno le coordinate geografiche su Google Earth se non ti scoccia. Ho trovato Mut ma è nella provincia di Icel. Purtroppo non sono mai stato in Turchia! 
|
|
Top |
|
 |
claudio sola
|
Inviato: 26/12/2009, 0:27 |
|
Iscritto il: 20/11/2009, 0:34 Messaggi: 571 Località: Vignola (Mo)
Nome: Claudio Sola
|
Enoplium ha scritto: Scusa Franco, non riesco a trovare il monte Mut. Dov'è? Mi puoi dare più o meno le coordinate geografiche su Google Earth se non ti scoccia. Ho trovato Mut ma è nella provincia di Icel. Purtroppo non sono mai stato in Turchia!  Ciao Iuri , sono Claudio di Modena , il cartellino è tragicamente sbagliato ! Io ero con Poletti quando ha raccolto l'animale , non esiste il monte Mut a Isparta , Mut è un bel Paesino che si trova tra Sylyfke e Sertavul , la Provincia é Icel , probabilmente Poletti ha dato un Barattolo a Franco con scritto da Mut a Isparta , fa spesso questo sbaglio ! Il problema è probabilmente risolvibile se io o Dodo abbiamo raccolto la stessa specie , basta che tu controlli nel database i dati delle determinazioni , tanto li hai determinati tutti tu . Ciao ! Buon Natale
_________________ merlino
|
|
Top |
|
 |
Enoplium
|
Inviato: 26/12/2009, 14:21 |
|
Iscritto il: 18/06/2009, 16:54 Messaggi: 1093 Località: Casalecchio di Reno (BO)
Nome: Iuri Zappi
|
Grazie Claudio! Pensa che la località più occidentale dell'areale di questa specie, che risulta dal mio database, è: Anatolia centrale, Konia, Goloren, 1000 m, VI-2003, leg. C. Sola (1 ex.) coll. Sola; Isparta sposterebbe molto più a occidente il limite a me noto. Che potrebbe anche essere....Mah? Certo che tra Mut e Isparta ci sono 300 km in linea d'aria. Dodo non l'ha trovato. Se ti ricordi che anche Rolando l'ha trovato insieme a te il problema è bello risolto. Altrimenti direi che è meglio trascurare il dato. La specie è certamente più frequente in alcune località della Turchia orientale. P.S. Come sai per certe bestie io inserisco le coordinate geografiche con la precisione del "secondo sessagesimale" come spero di poter fare per la bestiolina che vive vicino a casa tua. In primavera faccio un salto con Loris Colacurcio e ti sego tutte le querce che hai attorno a casa.  Riciao Iuri
|
|
Top |
|
 |
Effe Esse
|
Inviato: 27/12/2009, 22:52 |
|
Iscritto il: 17/12/2009, 19:19 Messaggi: 571 Località: Miane (TV)
Nome: Franco Sandel
|
Carissimi Iuri e Claudio, eccomi finalmente qui, questi giorni mentre io magari facevo bagordi  , voi siete stati cosi' gentili da determinarmi gli insetti. In effetti ho cartellinato tutto come Monte Mut, su indicazioni di Poletti. Non ho solo i Cleridi, ma bensi' anche Buprestidi e altro  . Comunque sia rifaccio i cartellini, secondo me Sola potresti darmi le giuste indicazioni, visto che eri con lui. Io personalmente non ho mai controllato su Google map l'esatezza del luogo, altrimenti mi sarei accorto. Se ricordi ti avevo chiesto l'altr' anno indicazioni sul nome specifico dei Trichodes, ma mi avevi detto che li avevi dati in studio per determinarli, molto probabilmente a Iuri. Ora ho un' altre due/tre specie, delle quali inseriro' foto e localita'. Carissimo Iuri, nell'attesa di avere le localita' del reichei, ti prego dai un'occhiata anche a queste , chissa' che non riusciamo a darle un nome . Vi ringrazio ancora entrambi e vi saluto, Ciao Franco Sandel
_________________ Effe Esse
|
|
Top |
|
 |
Plagionotus
|
Inviato: 28/12/2009, 12:48 |
|
Iscritto il: 21/05/2009, 14:59 Messaggi: 6994 Località: Parigi
Nome: Riccardo Poloni
|
ma tu pensa un po'  , dopo tante volte che glielo abbiamo detto, si è iscritto finalmente!!!! benvenuto Claudio!!  l'entomologo con più c...oleotteri della storia 
_________________ Riccardo Poloni La dignità degli elementi la libertà della poesia, al di là dei tradimenti degli uomini è magia, è magia, è magia... Negrita, Rotolando verso sud
|
|
Top |
|
 |
claudio sola
|
Inviato: 11/01/2010, 23:34 |
|
Iscritto il: 20/11/2009, 0:34 Messaggi: 571 Località: Vignola (Mo)
Nome: Claudio Sola
|
Ciao Franco , io sarei molto felice di aiutarti con le località , ma se non vedo il materiale o almeno un elenco delle specie mi è praticamente impossibile aiutarti , comunque ripensando al viaggio , noi siamo partiti da Goloren e siamo arrivati a Mut lo stesso giorno , quindi è molto realistico che rolando abbia preso la bestiola nel mio stesso luogo e che abbia conservato lo stesso barattolo fino a Mut raccogliendo nei vari luoghi di sosta , che mi sembra , così a memoria siano 2 o 3 , non di più , comunque il materiale di Mut lo puoi cartellinare Goksu Kanyon , la partenza è Mut durante le raccolte , ma abbiamo fatto parecchi Km cercando ambienti adatti , per parecchi dico anche 30 , però non ci sono paesi , quindi siamo sempre in difficoltà per determinare la località precisa . Comunque nel giorno della raccolta siamo partiti al mattino presto e siamo arrivati a Mut alla notte verso le 10 e 30 , in tempo per raccogliere Polyphylla , Prionus e Oryctes sotto ai lampioni , questi sì che sono di Mut , Julodis Perotis Purpuricenus e un poco di Potosia sono del Goksu Kanyon , penso che anche Iuri leggerà questo messaggio e gli sarà utile . Spero di riuscire a capire come potere inserire foto , per adesso non riesco , io ne ho un poco , ma non sono belle come le vostre , comunque potrebbero servire .
Ciao!
_________________ merlino
|
|
Top |
|
 |
Effe Esse
|
Inviato: 15/01/2010, 12:44 |
|
Iscritto il: 17/12/2009, 19:19 Messaggi: 571 Località: Miane (TV)
Nome: Franco Sandel
|
Ciao Claudio, grazie mille per le precisazioni sulla localita', io cartellino come mi hai indicato tu. In effetti Rolando mi ha anche dato alcune Polyphilla, Purpuricenus e buprestidi vari, sempre in un unico contenitore etichettato "Monte Mut". Lui ha la tendenza di ragruppare tutto in un'unica localita' anche se magari si raccoglie su 50/60 km. e su localita' diverse. Lo so' molto bene, perche' quano viene a Carabus con me sono io che poi gli diversifico e gli scrivo le etichette dei contenitori. Adesso quello che mi hai indicato e' tutto chiaro, ed anche corrispondono gli insetti che mi ha portato Rolando con i tuoi. Grazie ancora. Per inserire una foto spostati sotto e clicca su "sfoglia", ricerca la cartella e la foto che vuoi inserire, selezionala e poi clicca su "Aggiungi file". Puoi fare questa operazione per massimo 10 foto, inoltre le tue foto perche' vengano accettate devono avere una dimensione max. di 1024x1024 Pixel. Poi su ogni foto ci puoi scrivere anche un commento nello spazio di "commento file". Prova che voglio vedere qualche altro bel coleottero dei tuoi catturato sul ""Monte Mut"" e dintorni. Ciao Franco 
_________________ Effe Esse
|
|
Top |
|
 |
|