Benvenuto Ospite

Forum Entomologi Italiani

www.entomologiitaliani.net/forum
 
Oggi è 05/11/2025, 1:34

Tutti gli orari sono UTC + 1 ora [ ora legale ]

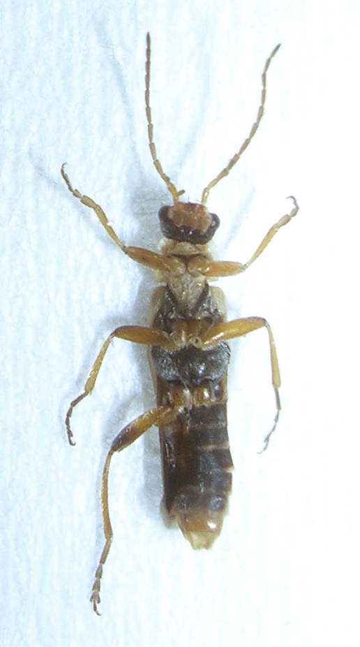
Cantharis (Cantharis) figurata Mannerheim, 1843 - Cantharidae

25.V.2012 - ITALIA - Umbria - PG, Scheggia e Pascelupo - Loc. Il Marchigiano


nuovo argomento
rispondi
Pagina 1 di 1 [ 2 messaggi ]
Autore Messaggio
MessaggioInviato: 30/05/2012, 18:32 
Avatar utente

Iscritto il: 09/07/2011, 13:43
Messaggi: 2210
Località: Marmirolo (MN)
Nome: Maura Bocci
Questa piccolina (7 mm) era decisamente troppo fragile per uscire indenne da una trappola a vino e frutta.

Image1.jpg


Image2.jpg


Image4.jpg


_________________
Maura
(Mitakuye oyasin)


Top
profilo
MessaggioInviato: 27/10/2013, 15:25 
 
direi che non è la figurata :no1: :no1:


Top
Visualizza ultimi messaggi:  Ordina per  
nuovo argomento
rispondi
Pagina 1 di 1 [ 2 messaggi ]

Tutti gli orari sono UTC + 1 ora [ ora legale ]


Chi c’è in linea

Visitano il forum: Nessuno e 0 ospiti


Non puoi aprire nuovi argomenti
Non puoi rispondere negli argomenti
Non puoi modificare i tuoi messaggi
Non puoi cancellare i tuoi messaggi
Non puoi inviare allegati

Cerca per:
Vai a: