Benvenuto Ospite

Forum Entomologi Italiani

www.entomologiitaliani.net/forum
 
Oggi è 04/11/2025, 21:27

Tutti gli orari sono UTC + 1 ora [ ora legale ]

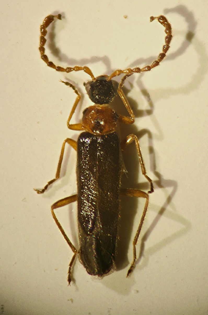
Malthodes ganglbaueri florentinus Liberti, 2015 - Cantharidae

30.VIII.2015 - ITALIA - Emilia-Romagna - BO, Castel d'Aiano - Monte Spe mt. 800


nuovo argomento
rispondi
Pagina 1 di 1 [ 4 messaggi ]
Autore Messaggio
MessaggioInviato: 10/09/2015, 0:15 
Avatar utente

Iscritto il: 05/02/2009, 17:25
Messaggi: 4894
Località: Zola Predosa (BO)
Nome: Loris Colacurcio
Solitamente ho una certa allergia a questi coleotteri, non me ne volere Hutia, ma i tegumenti molli e la "scarsa resa" una volta preparati proprio non la riesco a digerire :oops:
Ultimamente cerco comunque di raccoglierli, visto l'interesse di alcuni e questo in particolare mi ha subito colpito per le strane appendici sull'ultimo articolo antennale.

Raccolto battendo alcuni noccioli.

Lunghezza: sui 4 mm.

01 AIANO 30.VIII.2015.JPG


_________________
Loris


Top
profilo
 Oggetto del messaggio: Re: Cantharide ??
MessaggioInviato: 10/09/2015, 11:47 
 
Malthodes ganglbaueri florentinus Liberti, 2015 (Coleoptera, Cantharidae)

nei Malthodes serve vedere le appendici maschili e per rimanere buono devi farci vedere gli altri esemplari raccolti :gh: :gh: :gh: :gh: :gh: :gh: :gh: :gh: :gh: :gh: :gh: :gh:
:hi:


Top
 Oggetto del messaggio: Re: Cantharide ??
MessaggioInviato: 10/09/2015, 16:27 
Avatar utente

Iscritto il: 02/09/2009, 20:57
Messaggi: 8703
Località: Cagliari
Nome: Roberto Rattu
hutia ha scritto:
Malthodes ganglbaueri florentinus Liberti, 2015 (Coleoptera, Cantharidae)

Fabri, ma perché hai specificato che si tratta di un coleottero? Tanto si sa che i Molliccioptera sono un ordine a sé :mrgreen:

:hi:


Top
profilo
MessaggioInviato: 10/09/2015, 18:27 
 
:gh: :gh: :gh: :gh: :sma: :sma: :sma:


Top
Visualizza ultimi messaggi:  Ordina per  
nuovo argomento
rispondi
Pagina 1 di 1 [ 4 messaggi ]

Tutti gli orari sono UTC + 1 ora [ ora legale ]


Chi c’è in linea

Visitano il forum: Nessuno e 0 ospiti


Non puoi aprire nuovi argomenti
Non puoi rispondere negli argomenti
Non puoi modificare i tuoi messaggi
Non puoi cancellare i tuoi messaggi
Non puoi inviare allegati

Cerca per:
Vai a: