Benvenuto Ospite

Forum Entomologi Italiani

www.entomologiitaliani.net/forum
 
Oggi è 22/10/2025, 13:32

Tutti gli orari sono UTC + 1 ora [ ora legale ]

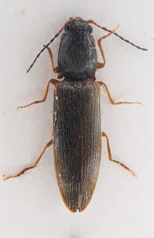
Athous (Haplathous) subfuscus (O.F. Muller,1767) - Elateridae

25.VI.2020 - ITALIA - Emilia-Romagna - PR, Corniglio, dintorni del Lago Scuro, circa 1500 m slm


nuovo argomento
rispondi
Pagina 1 di 1 [ 4 messaggi ]
Autore Messaggio
MessaggioInviato: 23/11/2020, 20:16 
Avatar utente

Iscritto il: 22/01/2019, 15:55
Messaggi: 312
Località: Massa (MS)
Nome: Francesco Adamo
Ciao a tutti, è possibile determinare la specie di questo elateride? Lunghezza 9 mm. Grazie in anticipo!


25.VI.2020,20.jpg


_________________
Francesco
Top
profilo
 Oggetto del messaggio: Re: Elateridae da identificare 6
MessaggioInviato: 23/11/2020, 20:38 
Avatar utente

Iscritto il: 10/04/2016, 14:33
Messaggi: 1174
Località: Guidonia Montecelio (RM)
Nome: Edoardo Pulvirenti
Ciao! È un Athous (Haplathous) subfuscus (O.F. Muller,1767) :hi:

_________________
”Da un grande potere derivano grandi responsabilità”
-Ben Parker


EDOARDO PULVIRENTI


Top
profilo
MessaggioInviato: 24/11/2020, 9:35 
Avatar utente

Iscritto il: 10/04/2016, 14:33
Messaggi: 1174
Località: Guidonia Montecelio (RM)
Nome: Edoardo Pulvirenti
Scusate ma qualcuno dovrebbe modificare il titolo in quanto ho sbagliato l’anno: è 1764 non 1767. Grazie mille

_________________
”Da un grande potere derivano grandi responsabilità”
-Ben Parker


EDOARDO PULVIRENTI


Top
profilo
MessaggioInviato: 24/11/2020, 12:45 
Avatar utente

Iscritto il: 22/01/2019, 15:55
Messaggi: 312
Località: Massa (MS)
Nome: Francesco Adamo
Grazie mille! :D :hi:

_________________
Francesco


Top
profilo
Visualizza ultimi messaggi:  Ordina per  
nuovo argomento
rispondi
Pagina 1 di 1 [ 4 messaggi ]

Tutti gli orari sono UTC + 1 ora [ ora legale ]


Chi c’è in linea

Visitano il forum: Nessuno e 1 ospite


Non puoi aprire nuovi argomenti
Non puoi rispondere negli argomenti
Non puoi modificare i tuoi messaggi
Non puoi cancellare i tuoi messaggi
Non puoi inviare allegati

Cerca per:
Vai a: