Benvenuto Ospite

Forum Entomologi Italiani

www.entomologiitaliani.net/forum
 
Oggi è 07/11/2025, 23:26

Tutti gli orari sono UTC + 1 ora [ ora legale ]

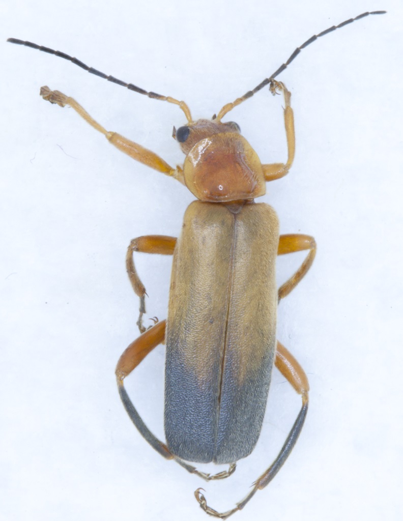
Cantharis livida Linnaeus, 1758 - Cantharidae

15.V.2021 - ITALIA - Lazio - RM, Santa Maria delle mole, Marino


nuovo argomento
rispondi
Pagina 1 di 1 [ 3 messaggi ]
Autore Messaggio
MessaggioInviato: 21/06/2021, 18:25 
Avatar utente

Iscritto il: 05/05/2016, 11:22
Messaggi: 2969
Località: Santa Maria delle mole, Marino, Rm
Nome: Roberto Vanzini
Dim. 11,4

Inizialmente l'ho scambiata per la solita R. fulva ma una volta osservata non mi ha convinto molto.
Non sarà invece una Cantharis livida?


2021-06-21 18-22-28 (B,Radius8,Smoothing4)2(1).jpg


_________________
Roberto Vanzini
Top
profilo
MessaggioInviato: 21/06/2021, 21:38 
 

Iscritto il: 08/12/2013, 1:52
Messaggi: 7534
Località: Bagnacavallo (RA)
Nome: Giorgio Pezzi
Penso sia lei (ha decine di forme) giacchè la molto simile Ancystronycha erichsoni Bach (che ha peraltro torace a lati più paralleli) e solo del Nord. :hi:


Top
profilo
MessaggioInviato: 21/06/2021, 22:26 
Avatar utente

Iscritto il: 05/05/2016, 11:22
Messaggi: 2969
Località: Santa Maria delle mole, Marino, Rm
Nome: Roberto Vanzini
Grazie Girorgio :birra:

_________________
Roberto Vanzini


Top
profilo
Visualizza ultimi messaggi:  Ordina per  
nuovo argomento
rispondi
Pagina 1 di 1 [ 3 messaggi ]

Tutti gli orari sono UTC + 1 ora [ ora legale ]


Chi c’è in linea

Visitano il forum: Nessuno e 0 ospiti


Non puoi aprire nuovi argomenti
Non puoi rispondere negli argomenti
Non puoi modificare i tuoi messaggi
Non puoi cancellare i tuoi messaggi
Non puoi inviare allegati

Cerca per:
Vai a: