Benvenuto Ospite

Forum Entomologi Italiani

www.entomologiitaliani.net/forum
 
Oggi è 05/11/2025, 18:45

Tutti gli orari sono UTC + 1 ora [ ora legale ]

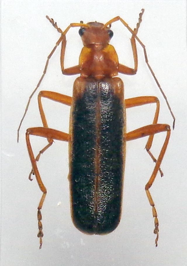
Armidia signata (Germar, 1814) - Cantharidae

3.VIII.2022 - ITALIA - Friuli-Venezia Giulia - UD, alta val Torre, presso Musi, m 650


nuovo argomento
rispondi
Pagina 1 di 1 [ 3 messaggi ]
Autore Messaggio
MessaggioInviato: 12/08/2022, 21:01 
 

Iscritto il: 08/12/2013, 1:52
Messaggi: 7530
Località: Bagnacavallo (RA)
Nome: Giorgio Pezzi
Un solo reperto non italiano qui viewtopic.php?f=291&t=71485&hilit=Armidia ; aspetto di una Rhagonycha, ma grande (13 mm), con due nette fossette laterali sul pronoto, elitre più o meno nerastre ma omeri sempre fulvi (pare). Antenne con secondo articolo lungo poco meno del terzo e come il secondo, unghie bifide. Mi pare di capire che l'autore sia Germar ma talora si riporta (Ahrens, 1814) come nel link.
:hi:
Arm 1.JPG



Arm crop.JPG

Top
profilo
MessaggioInviato: 13/08/2022, 14:27 
Avatar utente

Iscritto il: 22/05/2009, 21:00
Messaggi: 2774
Località: Pergine Valsugana (TN)
Nome: Andrea Carlin
:birra: Che bella bestiola! :shock: Complimenti! :birra:
:hi:

_________________
Andrea Carlin, Pergine Valsugana (TN) carlin.andrea(AT)gmail.com

Nota: tutti gli esemplari inseriti nelle discussioni aperte da me sono da ritenere "Andrea Carlin legit" se non diversamente specificato.


Top
profilo
MessaggioInviato: 13/08/2022, 21:57 
 

Iscritto il: 08/12/2013, 1:52
Messaggi: 7530
Località: Bagnacavallo (RA)
Nome: Giorgio Pezzi
Grazie, e non comune visto che è la prima che mi arriva alla luce, e la prima in assoluto. :hi:


Top
profilo
Visualizza ultimi messaggi:  Ordina per  
nuovo argomento
rispondi
Pagina 1 di 1 [ 3 messaggi ]

Tutti gli orari sono UTC + 1 ora [ ora legale ]


Chi c’è in linea

Visitano il forum: Nessuno e 0 ospiti


Non puoi aprire nuovi argomenti
Non puoi rispondere negli argomenti
Non puoi modificare i tuoi messaggi
Non puoi cancellare i tuoi messaggi
Non puoi inviare allegati

Cerca per:
Vai a: