Benvenuto Ospite

Forum Entomologi Italiani

www.entomologiitaliani.net/forum
 
Oggi è 26/10/2025, 7:12

Tutti gli orari sono UTC + 1 ora [ ora legale ]

Stenichnus sp. - Staphylinidae Scydmaeninae

3.I.2011 - ITALIA - Lazio - RM, Tolfa


nuovo argomento
rispondi
Vai alla pagina 1, 2  Prossimo
Pagina 1 di 2 [ 23 messaggi ]
Autore Messaggio
MessaggioInviato: 10/01/2011, 1:46 
Avatar utente

Iscritto il: 30/12/2009, 22:20
Messaggi: 31564
Località: Roma
Nome: Maurizio Gigli
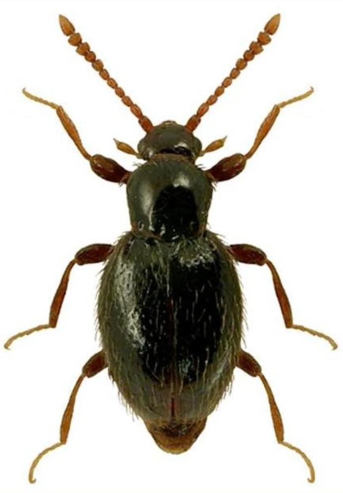
Il più piccolo Scydmaenino che abbia trovato senza vagliare

Lazio, Roma, Tolfa, 3.I.2011, sotto pietre, M. Gigli legit
1,4 mm
Scydmaeninae_Tolfa_3-I-2011_1,4mm.jpg


_________________
Maurizio Gigli
http://utenti.romascuola.net/bups
http://bup.xoom.it/


Top
profilo
MessaggioInviato: 10/01/2011, 10:49 
Avatar utente

Iscritto il: 05/02/2009, 17:28
Messaggi: 3226
Nome: Marco Uliana
Appartiene al genere Stenichnus.


Top
profilo
MessaggioInviato: 10/01/2011, 13:13 
Avatar utente

Iscritto il: 31/01/2010, 13:28
Messaggi: 171
Località: Prague, Czech republic
Nome: Adam Šíma
Could be female of Stenichnus scutellaris, but it only is a tip because of the sex ;)


Top
profilo
MessaggioInviato: 10/01/2011, 20:18 
 

Iscritto il: 10/07/2010, 14:42
Messaggi: 4780
Nome: Giuseppe Pace
Centrotoma ha scritto:
Could be female of Stenichnus scutellaris, but it only is a tip because of the sex

Ciao Adam,
non sono uno specialista di questa Famiglia e probabilmente hai ragione.
Gli esemplari raccolti nella stessa località li ho determinati come Stenichnus helferi.
Ho determinato S. scutellaris, specie molto simile, gli esemplari con setole elitrali ancora più lunghe ed irte dell'esemplare di Maurizio.

Giuseppe


Top
profilo
MessaggioInviato: 10/01/2011, 22:23 
Avatar utente

Iscritto il: 31/01/2010, 13:28
Messaggi: 171
Località: Prague, Czech republic
Nome: Adam Šíma
Hi Giuseppe!
If I understand well it could also be S. helferi. I cannot say so because this species is not presented in my collection.


Top
profilo
MessaggioInviato: 10/01/2011, 22:53 
Avatar utente

Iscritto il: 09/11/2009, 14:12
Messaggi: 5145
Località: Hradec Kralove,Czech republik
Nome: Jan Matějíček
Stenichnus scutellaris (Müller et Kunze, 1822)


Stenichnus scutellaris (Müller et Kunze, 1822)
Stenichnus scutellaris (Müller et Kunze, 1822).jpg


_________________
Research Fields
Taxonomy, ecology, biomonitoring , faunistic of Staphylinidae
Top
profilo
MessaggioInviato: 10/01/2011, 23:26 
Avatar utente

Iscritto il: 30/12/2009, 22:20
Messaggi: 31564
Località: Roma
Nome: Maurizio Gigli
Grazie per la determinazione, almeno del genere.
Setole elitrali a parte, ci sono altre differenze visibili tra le due specie?

_________________
Maurizio Gigli
http://utenti.romascuola.net/bups
http://bup.xoom.it/


Top
profilo
MessaggioInviato: 11/01/2011, 0:19 
Avatar utente

Iscritto il: 09/11/2009, 14:12
Messaggi: 5145
Località: Hradec Kralove,Czech republik
Nome: Jan Matějíček
Sì, è :)


Bez názvu.jpg


_________________
Research Fields
Taxonomy, ecology, biomonitoring , faunistic of Staphylinidae
Top
profilo
MessaggioInviato: 11/01/2011, 0:26 
Avatar utente

Iscritto il: 05/02/2009, 17:28
Messaggi: 3226
Nome: Marco Uliana
Julodis ha scritto:
Setole elitrali a parte, ci sono altre differenze visibili tra le due specie?


L'edeago, of course. ;) [ecco, Honza mi ha preceduto!]

La struttura dei femori anteriori è diagnostica per i maschi.
Possiamo escludere il maschio di S. scutellaris, i cui femori anteriori terminano con un dente molto evidente.
Non sembra nemmeno un maschio di helferi, che ha i femori con un angolo ottuso nella parte distale un po' più evidente e piatto di quanto si vede in foto (o sono un po' schiacciati dall'effetto prospettico?)

Fra le femmine di helferi e scutellaris la distinzione è ardua... forse impossibile.


Top
profilo
MessaggioInviato: 11/01/2011, 8:03 
Avatar utente

Iscritto il: 30/12/2009, 22:20
Messaggi: 31564
Località: Roma
Nome: Maurizio Gigli
Neanche ci provo ad estrarre l'edeago di una bestiola di queste dimensioni!

Credo che resterà un sp. finchè non finirà nella collezione di qualcuno che conosce il gruppo!

_________________
Maurizio Gigli
http://utenti.romascuola.net/bups
http://bup.xoom.it/


Top
profilo
MessaggioInviato: 11/01/2011, 21:22 
 

Iscritto il: 10/07/2010, 14:42
Messaggi: 4780
Nome: Giuseppe Pace
Glaphyrus ha scritto:
La struttura dei femori anteriori è diagnostica per i maschi.
Possiamo escludere il maschio di S. scutellaris, i cui femori anteriori terminano con un dente molto evidente.
Non sembra nemmeno un maschio di helferi, che ha i femori con un angolo ottuso nella parte distale un po' più evidente e piatto di quanto si vede in foto (o sono un po' schiacciati dall'effetto prospettico?)

Conosco il carattere dei femori dei maschi di Stenichnus.
Praticamente sono allargati e troncati dritti all'apice e la tibia sembra inserita nella parte inferiore della troncatura (nei maschi dei miei esemplari di Tolfa). In altre specie la troncatura è obliqua e si nota meno, oppure con femore tubercolato superiormente, tale che la troncatura apicale sembra enorme.
Le mie determinazioni, ad uso personale per separare le varie specie della collezione, le ho fatte anche tenendo conto di questi caratteri e per confronto con esemplari determinati.
Logicamente possono essere correttissime oppure tutte sbagliate e, non avendone certezza, non indicherò i nomi delle presunte varie specie perchè fuorvianti.

Ciao a tutti
Giuseppe


Top
profilo
MessaggioInviato: 11/01/2011, 21:50 
Avatar utente

Iscritto il: 09/11/2009, 14:12
Messaggi: 5145
Località: Hradec Kralove,Czech republik
Nome: Jan Matějíček
specie sono di colori diversi...........diverse curve .......... elitre, scudo


Stenichnus.jpg


_________________
Research Fields
Taxonomy, ecology, biomonitoring , faunistic of Staphylinidae
Top
profilo
MessaggioInviato: 11/01/2011, 21:55 
Avatar utente

Iscritto il: 09/11/2009, 14:12
Messaggi: 5145
Località: Hradec Kralove,Czech republik
Nome: Jan Matějíček
Stenichnus collaris (Müller et Kunze, 1822) :)


Stenichnus collaris (Müller et Kunze, 1822).jpg


_________________
Research Fields
Taxonomy, ecology, biomonitoring , faunistic of Staphylinidae
Top
profilo
MessaggioInviato: 12/01/2011, 21:02 
 

Iscritto il: 10/07/2010, 14:42
Messaggi: 4780
Nome: Giuseppe Pace
Honza ha scritto:
specie sono di colori diversi...........diverse curve .......... elitre, scudo

Ciao Jan,
grazie alle tue bellissime "iconografie" le discussioni sono più semplici.
Praticamente mi hai confermato le determinazioni di collaris, godarti e pusillus.
Lo scutellaris è identico ai miei helferi, ma penso di aver capito che le due specie sono molto simili e che dovrò ricontrollare i miei esemplari, considerandoli per il momento scutellaris/helferi.
Dovrò rivedere anche i miei scutellaris, sono praticamente dei pelliceus completamente scuri.

Quanto all'esemplare di Maurizio penso sia corretto indicarli Stenichnus scutellaris/helferi.
Cosa ne pensi ?

Ciao
Giuseppe


Top
profilo
MessaggioInviato: 12/01/2011, 21:44 
Avatar utente

Iscritto il: 09/11/2009, 14:12
Messaggi: 5145
Località: Hradec Kralove,Czech republik
Nome: Jan Matějíček
Stenichnus helferi non nella mia collezione :cry:

Forse questo aiuterà :)


http://www.coleo-net.de/coleo/texte/stenichnus.htm

_________________
Research Fields
Taxonomy, ecology, biomonitoring , faunistic of Staphylinidae


Ultima modifica di Honza il 12/01/2011, 22:23, modificato 1 volta in totale.

Top
profilo
Visualizza ultimi messaggi:  Ordina per  
nuovo argomento
rispondi
Vai alla pagina 1, 2  Prossimo
Pagina 1 di 2 [ 23 messaggi ]

Tutti gli orari sono UTC + 1 ora [ ora legale ]


Chi c’è in linea

Visitano il forum: Nessuno e 1 ospite


Non puoi aprire nuovi argomenti
Non puoi rispondere negli argomenti
Non puoi modificare i tuoi messaggi
Non puoi cancellare i tuoi messaggi
Non puoi inviare allegati

Cerca per:
Vai a: