Benvenuto Ospite

Forum Entomologi Italiani

www.entomologiitaliani.net/forum
 
Oggi è 04/11/2025, 16:54

Tutti gli orari sono UTC + 1 ora [ ora legale ]

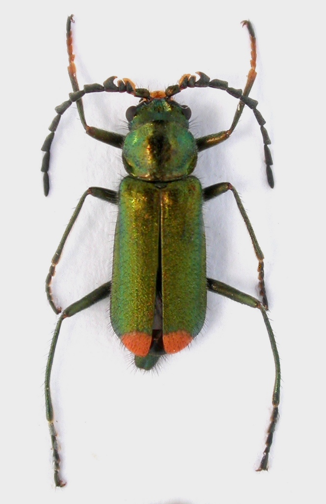
Malachius (Malachius) lusitanicus atlasicus Escalera, 1914 - Malachiidae

18.V.2017 - MAROCCO - EE, Meknes-Tafilalt, Strada P7231, 14,8 Km a 186° da Ifrane, R. Rattu leg.


nuovo argomento
rispondi
Pagina 1 di 1 [ 6 messaggi ]
Autore Messaggio
MessaggioInviato: 04/06/2017, 15:11 
Avatar utente

Iscritto il: 02/09/2009, 20:57
Messaggi: 8703
Località: Cagliari
Nome: Roberto Rattu
Esemplare lungo 6 mm:

DSCN2783.JPG



Top
profilo
 Oggetto del messaggio: Re: Malachiidae da id.
MessaggioInviato: 04/06/2017, 21:47 
Avatar utente

Iscritto il: 14/03/2009, 12:59
Messaggi: 3236
Località: Milano
Nome: Gabriele Franzini
Ciao, questa è la ssp. atlasicus del Malachius lusitanicus, ma dovessi dire se e quanto è davvero diverso da quelli della Penisola Iberica non saprei cosa rispondere :roll: :roll: .
Ciao G.


Top
profilo
 Oggetto del messaggio: Re: Malachiidae da id.
MessaggioInviato: 04/06/2017, 22:37 
Avatar utente

Iscritto il: 02/09/2009, 20:57
Messaggi: 8703
Località: Cagliari
Nome: Roberto Rattu
Ciao Gabriele, grazie :birra:

:hi:


Top
profilo
 Oggetto del messaggio: Re: Malachiidae da id.
MessaggioInviato: 05/06/2017, 6:51 
Avatar utente

Iscritto il: 30/12/2009, 22:20
Messaggi: 31564
Località: Roma
Nome: Maurizio Gigli
Chissà che ci fanno con quelle strane antenne. Forse li aiuta ad agganciarsi alla femmina durante l'accoppiamento?

_________________
Maurizio Gigli
http://utenti.romascuola.net/bups
http://bup.xoom.it/


Top
profilo
 Oggetto del messaggio: Re: Malachiidae da id.
MessaggioInviato: 05/06/2017, 9:42 
 

Iscritto il: 03/02/2015, 11:23
Messaggi: 984
Località: Policoro (MT)
Nome: Giuseppe Cancelliere
Julodis ha scritto:
Chissà che ci fanno con quelle strane antenne. Forse li aiuta ad agganciarsi alla femmina durante l'accoppiamento?


Come fanno alcuni Meloidi se non erro.


Top
profilo
MessaggioInviato: 06/06/2017, 21:03 
Avatar utente

Iscritto il: 14/03/2009, 12:59
Messaggi: 3236
Località: Milano
Nome: Gabriele Franzini
Ciao,
le strutture antennali e frontali del maschio dei Malachius s. str., come quelle all'apice delle elitre di molti altri generi di Malachiidae,servono nei preliminari, perchè emanano dei feromoni ad effetto eccitatorio.

Vedi per esempio questa foto: https://www.flickr.com/photos/chirpy_uk/4648016360.

:hi: :hi: G.


Top
profilo
Visualizza ultimi messaggi:  Ordina per  
nuovo argomento
rispondi
Pagina 1 di 1 [ 6 messaggi ]

Tutti gli orari sono UTC + 1 ora [ ora legale ]


Chi c’è in linea

Visitano il forum: Nessuno e 1 ospite


Non puoi aprire nuovi argomenti
Non puoi rispondere negli argomenti
Non puoi modificare i tuoi messaggi
Non puoi cancellare i tuoi messaggi
Non puoi inviare allegati

Cerca per:
Vai a: