Benvenuto Ospite

Forum Entomologi Italiani

www.entomologiitaliani.net/forum
 
Oggi è 06/02/2026, 2:03

Tutti gli orari sono UTC + 1 ora [ ora legale ]

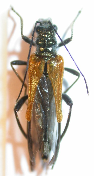
Oedemera (Oedemera) brevipennis Ganglbauer, 1881 - Oedemeridae Oedemerini

26.V.2011 - TURCHIA - EE, 18 Km N-W Sütçüler (Isparta), 37.561 N, 30.805 E, leg. R. Rattu


nuovo argomento
rispondi
Vai alla pagina 1, 2  Prossimo
Pagina 1 di 2 [ 16 messaggi ]
Autore Messaggio
MessaggioInviato: 06/06/2011, 11:48 
Avatar utente

Iscritto il: 02/09/2009, 20:57
Messaggi: 8703
Località: Cagliari
Nome: Roberto Rattu
Su fiori, soprattutto quelli di cisto, erano abbastanza frequenti degli Oedemeridi come questo: si tratta di una specie endemica di Turchia, che Marco mi ha prontamente determinato ma che non ricordo :oooner: :dead: . E' lungo circa 10 mm
DSCN7704.JPG



Top
profilo
 Oggetto del messaggio: Re: Oedemeridae da id.
MessaggioInviato: 06/06/2011, 11:49 
Avatar utente

Iscritto il: 04/02/2009, 17:49
Messaggi: 5551
Località: Cagliari
Nome: Daniele Sechi
Beeellllllaaaaaaa !
Ha giusto la colorazione simile ad un Cebrio che ho in collezione di Tunisia ... :D

_________________
:hi:
Daniele


Top
profilo
 Oggetto del messaggio: Re: Oedemeridae da id.
MessaggioInviato: 06/06/2011, 11:53 
Avatar utente

Iscritto il: 02/09/2009, 20:57
Messaggi: 8703
Località: Cagliari
Nome: Roberto Rattu
Daniele Sechi ha scritto:
Beeellllllaaaaaaa !
Ha giusto la colorazione simile ad un Cebrio che ho in collezione di Tunisia ... :D


:p :p :p ;) :mrgreen:


Top
profilo
 Oggetto del messaggio: Re: Oedemeridae da id.
MessaggioInviato: 06/06/2011, 11:56 
Avatar utente

Iscritto il: 17/02/2009, 0:05
Messaggi: 8521
Località: Isola d'Elba - Arcipelago Toscano
Nome: Leonardo Forbicioni
Sembra un "mix" tra Oedemera femorata (Scopoli, 1763) e Oedemera podagrariae (Linnaeus, 1767)! :lol: :lol: :lol:

_________________
"Stay hungry, stay foolish".
Steve Jobs, 2005
___________________
jjuniper8(at)gmail.com
Twitter: @weevil_forbix
cell. 339/5275910
___________________


Top
profilo
 Oggetto del messaggio: Re: Oedemeridae da id.
MessaggioInviato: 06/06/2011, 11:59 
Avatar utente

Iscritto il: 02/09/2009, 20:57
Messaggi: 8703
Località: Cagliari
Nome: Roberto Rattu
Ne ho raccolto anche di più strani e belli, devo solo scongelare ancora una quarantina di bustine zeppe di insetti e preparare....


Top
profilo
 Oggetto del messaggio: Re: Oedemeridae da id.
MessaggioInviato: 06/06/2011, 16:17 
Avatar utente

Iscritto il: 16/02/2009, 23:39
Messaggi: 1368
Località: Mirano (Venezia)
Nome: Enrico Ruzzier
direi Oedemera (Oedemera) brevipennis Ganglbauer, 1881 Oedemeridae Oedemerini

:hi:

_________________
«Discendiamo da scimmie evolute, non da angeli caduti» Robert Ardrey


Top
profilo
 Oggetto del messaggio: Re: Oedemeridae da id.
MessaggioInviato: 06/06/2011, 17:21 
Avatar utente

Iscritto il: 09/11/2009, 14:12
Messaggi: 5189
Località: Hradec Kralove,Czech republik
Nome: Jan Matějíček
specificatamente per Leonardo :bln:


Oedemera (Oedemera) brevipennis Ganglbauer, 1881.jpg


_________________
Research Fields
Taxonomy, ecology, biomonitoring , faunistic of Staphylinidae
Top
profilo
 Oggetto del messaggio: Re: Oedemeridae da id.
MessaggioInviato: 06/06/2011, 17:36 
Avatar utente

Iscritto il: 17/02/2009, 0:05
Messaggi: 8521
Località: Isola d'Elba - Arcipelago Toscano
Nome: Leonardo Forbicioni
:lol: :lol: Grazie Jan! :lol: :lol:

A parte il carattere delle elitre così ridotte (altrimenti perchè si sarebbe chiamata brevipennis), direi che sembra proprio una via di mezzo! :ok: :ok:
Non vi sembra?
L'ho detta proprio grossa!?!?!

_________________
"Stay hungry, stay foolish".
Steve Jobs, 2005
___________________
jjuniper8(at)gmail.com
Twitter: @weevil_forbix
cell. 339/5275910
___________________


Top
profilo
 Oggetto del messaggio: Re: Oedemeridae da id.
MessaggioInviato: 06/06/2011, 17:52 
Avatar utente

Iscritto il: 09/11/2009, 14:12
Messaggi: 5189
Località: Hradec Kralove,Czech republik
Nome: Jan Matějíček
differenza :gun: di colore sulle gambe :!:


Oedemera (Oedemera) brevipennis Ganglbauer, 1881.jpg


_________________
Research Fields
Taxonomy, ecology, biomonitoring , faunistic of Staphylinidae
Top
profilo
 Oggetto del messaggio: Re: Oedemeridae da id.
MessaggioInviato: 06/06/2011, 18:04 
Avatar utente

Iscritto il: 17/02/2009, 0:05
Messaggi: 8521
Località: Isola d'Elba - Arcipelago Toscano
Nome: Leonardo Forbicioni
:to: :to: :to:
Infatti!
1° e 2° paio di zampe come O.femorata.
Femore meno "nero" della O.podagrariae, ma non completamente nero come in O.femorata....una via di mezzo! ;)

P.S. - Jan, jsem byl jen vtip !.... zvláštní situaci!

Grazie comunque per le splendide immagini di confronto che ogni volta ci proponi!! :lov2: :lov2: :lov2: :lov2:
.....te lo dico anche in Ceco :lol: :lol: :lol:
I tak díky za krásné obrazy konfrontace že pokaždé, když navrhujeme!!! :lov2: :lov2: :lov2: :lov2:

(tanto c'è il traduttore)......potrei aver scritto qualsiasi cosa....senza saperlo! :ses :ses

_________________
"Stay hungry, stay foolish".
Steve Jobs, 2005
___________________
jjuniper8(at)gmail.com
Twitter: @weevil_forbix
cell. 339/5275910
___________________


Top
profilo
MessaggioInviato: 06/06/2011, 18:42 
Avatar utente

Iscritto il: 09/11/2009, 14:12
Messaggi: 5189
Località: Hradec Kralove,Czech republik
Nome: Jan Matějíček
Grazie Leonardo. :lov1:

_________________
Research Fields
Taxonomy, ecology, biomonitoring , faunistic of Staphylinidae


Top
profilo
MessaggioInviato: 09/06/2011, 16:13 
Avatar utente

Iscritto il: 02/09/2009, 20:57
Messaggi: 8703
Località: Cagliari
Nome: Roberto Rattu
Grazie a tutti e in particolare a Honza per le illustrazioni esplicative! :hp:

:hi:


Top
profilo
 Oggetto del messaggio: Re: Oedemeridae da id.
MessaggioInviato: 09/06/2011, 16:22 
Avatar utente

Iscritto il: 21/02/2011, 15:25
Messaggi: 3879
Località: Montecchio Emilia (RE)
Nome: Violi Michele
Fumea crassiorella ha scritto:
devo solo scongelare ancora una quarantina di bustine zeppe di insetti e preparare....
Mi fai :p solo alle parole "quarantina di bustine" :p :p :p

_________________
Michele :D


Top
profilo
MessaggioInviato: 10/06/2011, 11:55 
Avatar utente

Iscritto il: 02/09/2009, 20:57
Messaggi: 8703
Località: Cagliari
Nome: Roberto Rattu
Una foto dell'altro sesso:


DSCN7819.JPG

Top
profilo
MessaggioInviato: 10/06/2011, 12:16 
Avatar utente

Iscritto il: 17/02/2009, 0:05
Messaggi: 8521
Località: Isola d'Elba - Arcipelago Toscano
Nome: Leonardo Forbicioni
Certo che le elitre sono davvero molto ridotte......quasi non gli servono più!!! :lol: :lol: :lol:

_________________
"Stay hungry, stay foolish".
Steve Jobs, 2005
___________________
jjuniper8(at)gmail.com
Twitter: @weevil_forbix
cell. 339/5275910
___________________


Top
profilo
Visualizza ultimi messaggi:  Ordina per  
nuovo argomento
rispondi
Vai alla pagina 1, 2  Prossimo
Pagina 1 di 2 [ 16 messaggi ]

Tutti gli orari sono UTC + 1 ora [ ora legale ]


Chi c’è in linea

Visitano il forum: Nessuno e 0 ospiti


Non puoi aprire nuovi argomenti
Non puoi rispondere negli argomenti
Non puoi modificare i tuoi messaggi
Non puoi cancellare i tuoi messaggi
Non puoi inviare allegati

Cerca per:
Vai a:  
cron