Benvenuto Ospite

Forum Entomologi Italiani

www.entomologiitaliani.net/forum
 
Oggi è 06/05/2026, 3:28

Tutti gli orari sono UTC + 1 ora [ ora legale ]

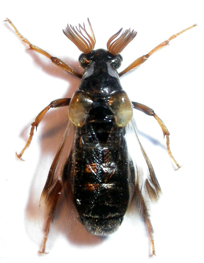
Ripiphorus subdipterus Bosc d'Antic, 1792 - Ripiphoridae

3.VI.2012 - ITALIA - Sardegna - CA, saline di Cagliari, leg. R. Rattu


nuovo argomento
rispondi
Vai alla pagina 1, 2  Prossimo
Pagina 1 di 2 [ 21 messaggi ]
Autore Messaggio
MessaggioInviato: 03/06/2012, 16:52 
Avatar utente

Iscritto il: 02/09/2009, 20:57
Messaggi: 8703
Località: Cagliari
Nome: Roberto Rattu
Uno dei coleotteri più straordinari della nostra fauna :o : Ripiphorus subdipterus. Oggi ho avuto per la prima volta la fortuna di trovarlo. E' lungo circa 8 mm

DSCN1105.JPG



Top
profilo
MessaggioInviato: 03/06/2012, 16:57 
Avatar utente

Iscritto il: 01/07/2010, 22:26
Messaggi: 5665
Località: Viterbo
Nome: Marco Selis
In che tipo di ambiente l'hai trovato? Mi piacerebbe trovarlo :)


Top
profilo
MessaggioInviato: 03/06/2012, 16:59 
Avatar utente

Iscritto il: 17/02/2009, 0:05
Messaggi: 8524
Località: Isola d'Elba - Arcipelago Toscano
Nome: Leonardo Forbicioni
Questo è un colpo basso!!! :( :(
....parto per la Sardegna!!
emoticons-cattive-061.gif


_________________
"Stay hungry, stay foolish".
Steve Jobs, 2005
___________________
jjuniper8(at)gmail.com
Twitter: @weevil_forbix
cell. 339/5275910
___________________


Top
profilo
MessaggioInviato: 03/06/2012, 17:04 
Avatar utente

Iscritto il: 30/12/2009, 22:20
Messaggi: 31564
Località: Roma
Nome: Maurizio Gigli
FORBIX ha scritto:
Questo è un colpo basso!!! :( :(
....parto per la Sardegna!!
emoticons-cattive-061.gif

Non c'è bisogno! Ricordatevi che a settembre scorso Andrea Hallgass ne ha trovati tre (due maschi ed una femmina) in un prataccio* vicino Mentana (RM).

*) L'ho girato tutto nella vana speranza di trovarne anche io nei giorni seguenti

_________________
Maurizio Gigli
http://utenti.romascuola.net/bups
http://bup.xoom.it/


Top
profilo
MessaggioInviato: 03/06/2012, 17:34 
Avatar utente

Iscritto il: 17/02/2009, 0:05
Messaggi: 8524
Località: Isola d'Elba - Arcipelago Toscano
Nome: Leonardo Forbicioni
Julodis ha scritto:
FORBIX ha scritto:
Questo è un colpo basso!!! :( :(
....parto per la Sardegna!!
emoticons-cattive-061.gif

Non c'è bisogno! Ricordatevi che a settembre scorso Andrea Hallgass ne ha trovati tre (due maschi ed una femmina) in un prataccio* vicino Mentana (RM).

*) L'ho girato tutto nella vana speranza di trovarne anche io nei giorni seguenti


Hai perfettamente ragione!
Faccio marcia indietro e li cerco all'Elba!!.....del resto questa è la mia terra ed è di quest'Isola che devo studiarne l'entomofauna!! :ok: :ok:
Comunque è una gran bella bestia!!

_________________
"Stay hungry, stay foolish".
Steve Jobs, 2005
___________________
jjuniper8(at)gmail.com
Twitter: @weevil_forbix
cell. 339/5275910
___________________


Top
profilo
MessaggioInviato: 03/06/2012, 17:41 
Avatar utente

Iscritto il: 30/12/2009, 22:20
Messaggi: 31564
Località: Roma
Nome: Maurizio Gigli
FORBIX ha scritto:
Hai perfettamente ragione!
Faccio marcia indietro e li cerco all'Elba!!.....del resto questa è la mia terra ed è di quest'Isola che devo studiarne l'entomofauna!! :ok: :ok:
Comunque è una gran bella bestia!!

E probabilmente ci sarà anche all'Elba. Il problema è che non si sa mai dove trovarli. Bisognerebbe studiare bene le condizioni necessarie all'ospite, ma anche così con bestie di questo tipo è sempre un terno al lotto, anche perchè credo che gli adulti abbiano vita breve (e tra l'altro ho idea che spesso si confondano con i ditteri, passando inosservati ai coleotterologi).

_________________
Maurizio Gigli
http://utenti.romascuola.net/bups
http://bup.xoom.it/


Top
profilo
MessaggioInviato: 03/06/2012, 18:08 
Avatar utente

Iscritto il: 02/09/2009, 20:57
Messaggi: 8703
Località: Cagliari
Nome: Roberto Rattu
Andricus ha scritto:
In che tipo di ambiente l'hai trovato? Mi piacerebbe trovarlo :)


In una zona praticamente priva di cespugli, piuttosto secca, con abbondanti Daucus carota, Dittrichia viscosa, Scabiosa sp.: sfalcia, sfalcia, sfalcia e ancora sfalcia!! :D

:hi:


Top
profilo
MessaggioInviato: 03/06/2012, 18:22 
Avatar utente

Iscritto il: 28/05/2009, 16:38
Messaggi: 5100
Nome: luigi lenzini
Mai visto!
Somiglia ad uno strepsittero gigante.
:hi: luigi


Top
profilo
MessaggioInviato: 03/06/2012, 21:05 
Avatar utente

Iscritto il: 02/09/2009, 20:57
Messaggi: 8703
Località: Cagliari
Nome: Roberto Rattu
Julodis ha scritto:
con bestie di questo tipo è sempre un terno al lotto, anche perchè credo che gli adulti abbiano vita breve


Ho dato uno sguardo alle varie discussioni del FEI dove compare questa specie: non so quanto vivano gli adulti (e in effetti non hanno l'aria di bestie longeve) ma pare che la loro presenza si distribuisca complessivamente in un numero di mesi abbastanza ampio: da maggio a settembre.

:hi:


Top
profilo
MessaggioInviato: 03/06/2012, 21:17 
Avatar utente

Iscritto il: 05/02/2009, 17:31
Messaggi: 9527
Località: milano
Nome: maurizio pavesi
io l'ho trovato due volte in vita mia: in sicilia a selinunte nell'agosto 1985 e a otranto a fine maggio l'anno scorso, in entrambi i casi l'ambiente erano prati incolti con abbondanti fioriture di Daucus e alberi isolati

_________________
*****************
Immagine maurizio


Top
profilo
MessaggioInviato: 03/06/2012, 21:23 
Avatar utente

Iscritto il: 16/09/2009, 22:40
Messaggi: 599
Località: Czech Republic
Amazing beautiful beetle!!! Congratulations! :ok:

_________________
Daniel

Ἦν τὸ φῶς τὸ ἀληθινόν, ὃ φωτίζει πάντα ἄνθρωπον, ἐρχόμενον εἰς τὸν κόσμον. (ΚΑΤΑ ΙΩΑΝΝΗΝ, 1,9)


Top
profilo
MessaggioInviato: 03/06/2012, 21:53 
Avatar utente

Iscritto il: 30/12/2009, 22:20
Messaggi: 31564
Località: Roma
Nome: Maurizio Gigli
Quelli di Mentana fotografati da Andrea (la coppia che ha raccolto me l'ha gentilmente regalata) sono stati presi la mattina presto aggrappati a piante erbacee (steli di ombrellifere) in un terreno di bassa collina coltivato ad olivi, tra i quali cresce una fitta vegetazione erbacea con prevalenza appunto di ombrellifere (uno dei tanti generi a fiori bianchi comuni anche a fine estate.
Qualcuno di recente mi diceva di averli trovati anni fa all'Insugherata (bella area verde alla periferia di Roma), in più occasioni, sempre nello stesso tratto di prato.

_________________
Maurizio Gigli
http://utenti.romascuola.net/bups
http://bup.xoom.it/


Top
profilo
MessaggioInviato: 04/06/2012, 9:19 
Avatar utente

Iscritto il: 04/02/2009, 17:49
Messaggi: 5558
Località: Cagliari
Nome: Daniele Sechi
Se può essere utile io l'ho trovato in Grecia in quota ad agosto, su infiorescenza di Daucus.

_________________
:hi:
Daniele


Top
profilo
MessaggioInviato: 04/06/2012, 13:18 
Avatar utente

Iscritto il: 22/12/2009, 13:31
Messaggi: 9646
Località: Napoli
Nome: Francesco Izzillo
Daniele Sechi ha scritto:
Se può essere utile io l'ho trovato in Grecia in quota ad agosto, su infiorescenza di Daucus.


Anch'io numeroso in volo e un esemplare a Policoro.

_________________
Francesco Izzillo


Top
profilo
MessaggioInviato: 04/06/2012, 13:20 
Avatar utente

Iscritto il: 07/02/2011, 21:42
Messaggi: 265
Nome: Alessandro Girodo
wow, mai visto nulla di simile! un insetto davvero affascinante. cosa si sa della vita da larva?

_________________
_________
Ale


Top
profilo
Visualizza ultimi messaggi:  Ordina per  
nuovo argomento
rispondi
Vai alla pagina 1, 2  Prossimo
Pagina 1 di 2 [ 21 messaggi ]

Tutti gli orari sono UTC + 1 ora [ ora legale ]


Chi c’è in linea

Visitano il forum: Nessuno e 0 ospiti


Non puoi aprire nuovi argomenti
Non puoi rispondere negli argomenti
Non puoi modificare i tuoi messaggi
Non puoi cancellare i tuoi messaggi
Non puoi inviare allegati

Cerca per:
Vai a:  
cron