Benvenuto Ospite

Forum Entomologi Italiani

www.entomologiitaliani.net/forum
 
Oggi è 24/01/2026, 16:20

Tutti gli orari sono UTC + 1 ora [ ora legale ]

Pompilidae - Calabria

VI.1998 - ITALIA - Calabria - RC, Lazzaro


nuovo argomento
rispondi
Pagina 1 di 1 [ 2 messaggi ]
Autore Messaggio
 Oggetto del messaggio: Pompilidae - Calabria
MessaggioInviato: 21/12/2009, 14:42 
Avatar utente

Iscritto il: 11/11/2009, 20:54
Messaggi: 4850
Località: Pesaro
Nome: Marco Paglialunga
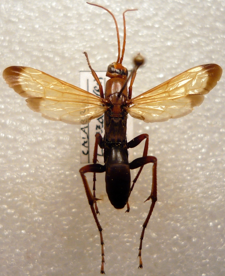
Sphecidae?
RC Lazzaro VI 98
18 mm
Icneumonidae sp..JPG


_________________
O voi ch'avete li 'ntelletti sani, mirate la dottrina che s'asconde sotto 'l velame de li versi strani
(InfeRRno - canto IX - vv. 61-63)


Top
profilo
 Oggetto del messaggio: Re: Hymenoptera
MessaggioInviato: 21/12/2009, 16:08 
Avatar utente

Iscritto il: 04/02/2009, 17:49
Messaggi: 5544
Località: Cagliari
Nome: Daniele Sechi
Pompilidae!

_________________
:hi:
Daniele


Top
profilo
Visualizza ultimi messaggi:  Ordina per  
nuovo argomento
rispondi
Pagina 1 di 1 [ 2 messaggi ]

Tutti gli orari sono UTC + 1 ora [ ora legale ]


Chi c’è in linea

Visitano il forum: Nessuno e 0 ospiti


Non puoi aprire nuovi argomenti
Non puoi rispondere negli argomenti
Non puoi modificare i tuoi messaggi
Non puoi cancellare i tuoi messaggi
Non puoi inviare allegati

Cerca per:
Vai a: