Benvenuto Ospite

Forum Entomologi Italiani

www.entomologiitaliani.net/forum
 
Oggi è 05/02/2026, 0:48

Tutti gli orari sono UTC + 1 ora [ ora legale ]

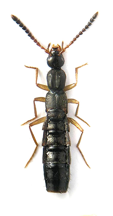
Drusilla sp. - Staphylinidae Aleocharinae

17.III.2015 - ITALIA - Abruzzo - PE, Micarone, Catignano, 160m


nuovo argomento
rispondi
Pagina 1 di 1 [ 5 messaggi ]
Autore Messaggio
MessaggioInviato: 16/04/2015, 12:52 
Avatar utente

Iscritto il: 23/06/2010, 19:05
Messaggi: 2588
Località: Pescara
Nome: Alessio Morelli
Proseguo con altri Alceocharini. Questa è con buona probabilità una Drusilla. Riguardo alla specie non ho la più pallida idea di quale possa essere.

Raccolta in pozze temporanee (che a lungo andare, anche per il leggero strato di alghe che si era creato, erano diventate delle vere e proprie trappole naturali per insetti).

Maschio
5mm
Drusilla 1 M.jpg


Drusilla 1 edeago.JPG


Femmina
5,5mm ca.
Drusilla 1 F.jpg


Drusilla 1 F palpi.JPG


Drusilla 1 F genitali.JPG



Top
profilo
MessaggioInviato: 16/04/2015, 14:52 
Avatar utente

Iscritto il: 09/11/2009, 14:12
Messaggi: 5189
Località: Hradec Kralove,Czech republik
Nome: Jan Matějíček
:?: Drusilla italica (Bernhauer, 1903)
Non lo so, non ho visto
Io non ho questo species di collezione :oops:


canalicu.jpg


_________________
Research Fields
Taxonomy, ecology, biomonitoring , faunistic of Staphylinidae
Top
profilo
MessaggioInviato: 16/04/2015, 16:54 
Avatar utente

Iscritto il: 23/06/2010, 19:05
Messaggi: 2588
Località: Pescara
Nome: Alessio Morelli
forse ho trovato il modo di spingermi un pochino oltre con le macro :sma: ... (i risultati ovviamente non sono paragonabili a quelli dei fotografi seri del forum :oops: )
Honza ha scritto:
Non lo so, non ho visto
Io non ho questo species di collezione

Un esemplare uguale dovrebbe trovarsi all'interno di una bustina che ti ho inviato ;) .
RIMG0003.JPG


RIMG0004.JPG



Top
profilo
MessaggioInviato: 16/04/2015, 18:21 
Avatar utente

Iscritto il: 09/11/2009, 14:12
Messaggi: 5189
Località: Hradec Kralove,Czech republik
Nome: Jan Matějíček
sì un esemplare :ok:

diverso da miei pezzi Drusilla canaliculata

_________________
Research Fields
Taxonomy, ecology, biomonitoring , faunistic of Staphylinidae


Top
profilo
MessaggioInviato: 11/07/2016, 17:58 
Avatar utente

Iscritto il: 09/11/2009, 14:12
Messaggi: 5189
Località: Hradec Kralove,Czech republik
Nome: Jan Matějíček
Ora sono sicuro che Drusilla italica (Bernhauer, 1903)


Prima segnalazione per la Sardegna di Drusilla italica (Bernhauer, 1903) (Coleoptera, Staphylinidae, Myrmedoniina).pdf [712.52 KiB]
Scaricato 109 volte
Drusilla italica.jpg


_________________
Research Fields
Taxonomy, ecology, biomonitoring , faunistic of Staphylinidae
Top
profilo
Visualizza ultimi messaggi:  Ordina per  
nuovo argomento
rispondi
Pagina 1 di 1 [ 5 messaggi ]

Tutti gli orari sono UTC + 1 ora [ ora legale ]


Chi c’è in linea

Visitano il forum: Nessuno e 0 ospiti


Non puoi aprire nuovi argomenti
Non puoi rispondere negli argomenti
Non puoi modificare i tuoi messaggi
Non puoi cancellare i tuoi messaggi
Non puoi inviare allegati

Cerca per:
Vai a: