Benvenuto Ospite

Forum Entomologi Italiani

www.entomologiitaliani.net/forum
 
Oggi è 13/12/2025, 22:13

Tutti gli orari sono UTC + 1 ora [ ora legale ]

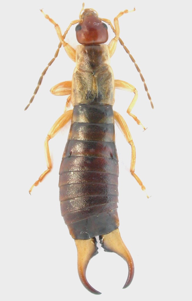
Dermaptera sp.

23.IV.2015 - MALTA - EE, isola di Gozo, Dweira, R. Rattu leg.


nuovo argomento
rispondi
Pagina 1 di 1 [ 2 messaggi ]
Autore Messaggio
 Oggetto del messaggio: Dermaptera sp.
MessaggioInviato: 21/06/2015, 13:02 
Avatar utente

Iscritto il: 02/09/2009, 20:57
Messaggi: 8703
Località: Cagliari
Nome: Roberto Rattu
Dermattero maltese, lungo 15 mm (cerci esclusi):

DSCN0108.JPG



Top
profilo
 Oggetto del messaggio: Re: Dermaptera sp.
MessaggioInviato: 07/11/2022, 20:33 
Avatar utente

Iscritto il: 30/12/2010, 11:51
Messaggi: 4548
Località: San Giovanni Valdarno (AR)
Nome: Giovanni Altadonna
Somiglia molto alla "nostra" Forficula decipiens Gené, 1832 - Forficulidae

_________________
"L' uomo che è cieco alle bellezze della natura ha perduto metà del piacere di vivere"
Sir Robert Baden Powell

Giovanni Altadonna


Top
profilo
Visualizza ultimi messaggi:  Ordina per  
nuovo argomento
rispondi
Pagina 1 di 1 [ 2 messaggi ]

Tutti gli orari sono UTC + 1 ora [ ora legale ]


Chi c’è in linea

Visitano il forum: Nessuno e 1 ospite


Non puoi aprire nuovi argomenti
Non puoi rispondere negli argomenti
Non puoi modificare i tuoi messaggi
Non puoi cancellare i tuoi messaggi
Non puoi inviare allegati

Cerca per:
Vai a: